| Autore |
Messaggio |
|
Loriscola
|
Inviato: 06/02/2010, 14:29 |
|
Iscritto il: 05/02/2009, 17:25 Messaggi: 4894 Località: Zola Predosa (BO)
Nome: Loris Colacurcio
|
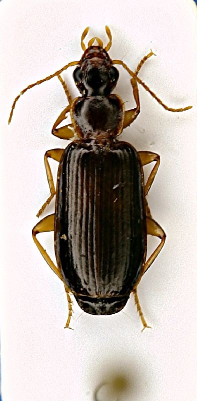
Ieri ero a casa, con un'incontenibile voglia di fare quattro passi...e allora che fare ? Purtroppo la nostre felsinee lande sono ancora ricoperte da un soffice quanto antipatico manto nevoso e mi ero già convinto a non andare a trovare la mia cara località prediletta  Poi mi sono detto: vuoi che non riesca a trovare qualcosa anche sotto la neve ?? E quindi sono partito all'avventura...  In 15 minuti sono arrivato, il tempo di parcheggiare, indossare un paio di robusti stivali, armarmi con l'attrezzatura necessaria e si inizia ! Come potete vedere, la neve regna ancora sovrana.... Ricordando ormai con una certa precisione, dove si trovano alcune assi di legno abbandonate, ho rimosso la neve per poi esplorare i legnetti, che già mi avevano regalato un sacco di bestiole....questa volta, invece, trovo ben poco: Un piccolo Anthicus niger congelato ...e alcuni Drasterius bimaculatus, ugualmente ghiacciati  Prosegueo nell'esplorazione e tanto per provare qualcosa di nuovo, provo a ispezionare un cespuglio di sambuco: alcuni rametti sono ormai disseccati e presentano un "invitante" cavità....proviamo a guardare: Ecco apparire un sacco di tenebrionidi, dei Nalassu sp. direi.. Poi è la volta di uno splendido Ptinide, del genere Cyphoderes, probabilmente: ed ecco anche l'elegante livrea di un coccinellide, forse una Platynaspis luteorubra
_________________ Loris
|
|
| Top |
|
 |
|
Loriscola
|
Inviato: 06/02/2010, 14:46 |
|
Iscritto il: 05/02/2009, 17:25 Messaggi: 4894 Località: Zola Predosa (BO)
Nome: Loris Colacurcio
|
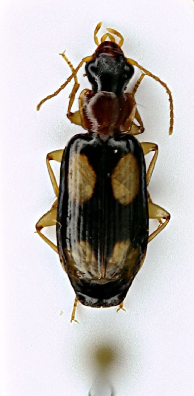
...è il momento di fare una visitina ai miei "amati" Platani....e alla loro ricchissima fauna. Come già detto in altre occasioni, la mia attrezzatura consta di una paletta metallica ed una comune bacinella rettangolare (che ho appena rotto  ): Subito al primo albero vengo premiato con due vecchie conoscenze, due agili carabidi del genere Dromius. Dromius agilis (Fabr. 1787) ...e Dromius quadrimaculatus (Linné, 1758) E subito dopo, ecco anche alcuni Elateridi, direi dei Cardiophorus goezei, che da queste parti è comunissimo (in inverno) sotto ogni tipo di corteccia, anche in numero... Non mancano i Curculionidi, anzi, ne raccolgo numerose specie: per alcune di esse basandomi su somiglianze con altri esemplari determinati, tento di dare lo un nome (o almeno un genere  ). Tychius cf.cuprifer Mecinus sp Questo potrebbe essere invece un Larinus, ma è di una specie che non ho mai raccolto prima: Non mancano certo i Dorytomus.... Questo potrebbe essere una forma rossa del D. lognimanus
_________________ Loris
|
|
| Top |
|
 |
|
Loriscola
|
Inviato: 06/02/2010, 14:59 |
|
Iscritto il: 05/02/2009, 17:25 Messaggi: 4894 Località: Zola Predosa (BO)
Nome: Loris Colacurcio
|
...e questo (sempre con molti se) potrebbe essere il Dorytomus ictor Per questi ultimi tre, invece non ho speranze Di sicuro questo è un Otiorrhynchus... Ogni tanto, trovo poi dei "nidi" letteralmento ricolmi di questo piccolo Anthicide Formicomus pedestris (Rossi, 1790) Uno degli alberi ispezionati, ha la base ricoperta da uno spesso strato di muschio: esaminadolo con più attenzione, ecco apparire un carabide.....genere Amara (che sia la lucida ?) ...e con un po' di attenzione si possono osservare bestiole davvero minuscole, come questo Staphylinide lungo appena 1 mm. o poco più Oppure come questo, credo un Latridiide Cosa per me nuova, salta fuori anche uno Scirtide, probabilmente del genere Microcara Parte di questa fitta copertura "muschiosa" me la sono poi portata a casa per vagliarla e già questa mattina, ho avuto i primi regali....la difficoltà sarà scoprire cosa sono 
_________________ Loris
|
|
| Top |
|
 |
|
Loriscola
|
Inviato: 06/02/2010, 15:06 |
|
Iscritto il: 05/02/2009, 17:25 Messaggi: 4894 Località: Zola Predosa (BO)
Nome: Loris Colacurcio
|
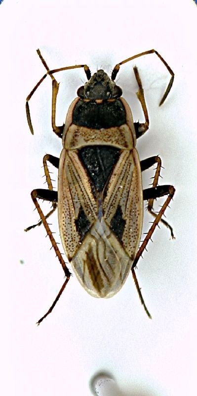
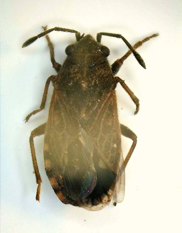
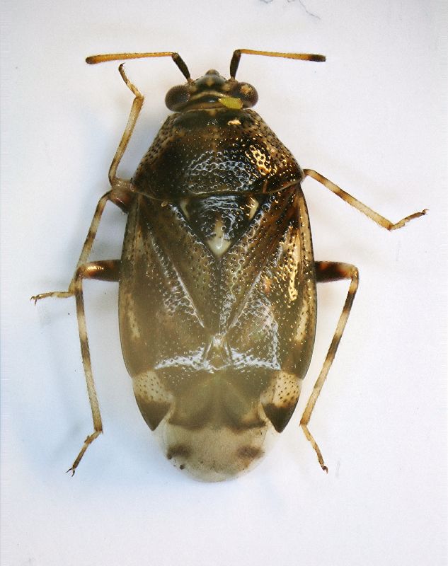
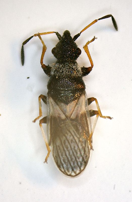
Non mancano neanche gli Heterotteri, anch'essi al riparo sotto la corteccia dei Platani Un Lygeide... Un Geocoris sp. Questi potrebbero essere invece due Deraeocoris sp. Invece questa è......una Monosteira ? Per altri, invece, non azzardo alcunché.....
_________________ Loris
|
|
| Top |
|
 |
|
Loriscola
|
Inviato: 06/02/2010, 15:15 |
|
Iscritto il: 05/02/2009, 17:25 Messaggi: 4894 Località: Zola Predosa (BO)
Nome: Loris Colacurcio
|
Arriva anche un altro Anthicide, comunissimo ovunque, ma che io non trovo quasi mai: (Hirticomus quadriguttatus (Rossi, 1792) ..poco prima di abbandonare gli "amati" Platani, ecco le ultime sorpese: un minuscolo coleottero (1,3 mm.) di cui non riesco a dirvi di più... ...e un altro "misterioso" rinvenuto già cadavere (e da un pezzo !). Bestiola mai vista prima, penso possa essere un Anobide, del genere Dorcatoma E' il momento di cambiare aria e questa volta vorrei andare a vedere il grande parco a ridosso del parco, zeppo di piante "aliene" (c'è pure una Sequoia !). Sotto (la corteccia) di un grande Ippocastano ecco un altro Coccinellide ...seguiti da due (forse) Phalacridi. Il primo potrebbe essere del genere Phalacrus
_________________ Loris
|
|
| Top |
|
 |
|
Loriscola
|
Inviato: 06/02/2010, 15:27 |
|
Iscritto il: 05/02/2009, 17:25 Messaggi: 4894 Località: Zola Predosa (BO)
Nome: Loris Colacurcio
|
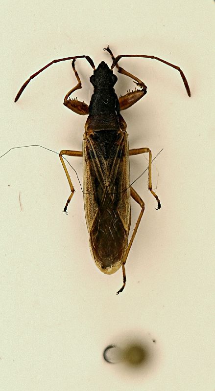
...ma è il momento di passare ad alcuni vecchi e bucherellati Pini, completamente ricoperti da robuste edere....purtroppo la corteccia dei Pini (solo alcune scaglie già secche, nulla di violento, lo voglio precisare) non mi danno alcun risultato. Provando invece a battere le rigogliose edere che crescono sui tronchi, arrivano invece un sacco di bestiole che solitamente non degno di uno sguardo, ma che stavolta ho voluto conservare e condividere con voi....e credo che alcuni sarano contenti di questa scelta Ad esempio, ecco che arrivano due leggiadre Chrysoperla (o almeno spero)...Ovviamente sono già sotto alcool a vista e da profano, sembrerebbero due specie distinte: I rametti secchi dell'edera, sono poi ricchi di un caratteristico Heterottero che non avevo mai notato prima: Ma tantissimi sono soprattutto gli imenotteri, in particolare minuscole "vespine" di pochi millimetri...
_________________ Loris
|
|
| Top |
|
 |
|
Loriscola
|
Inviato: 06/02/2010, 15:32 |
|
Iscritto il: 05/02/2009, 17:25 Messaggi: 4894 Località: Zola Predosa (BO)
Nome: Loris Colacurcio
|
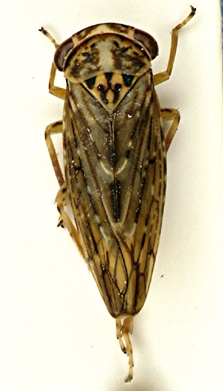
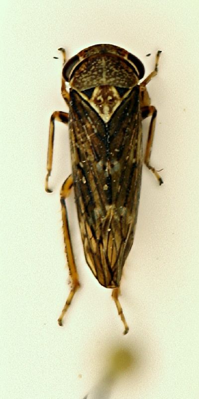
..salta fuori anche un imenottero un po' più grandicello, forse un icneumonide ? Ed infine le vere abitanti dell'edera.....la cicaline !! Erano dappertutto, soprattuto forme giovanili, ma è saltato fuori anche qualche adulto Insomma una bella mattinata....nulla di eccezionale, ma tre orette perse tra la neve e gli insetti: cosa volete di più ? Ovviamente se potete darmi una mano per i numerosissimi sconosciuti, ve ne sarò oltremodo grato 
_________________ Loris
|
|
| Top |
|
 |
|
Maw89
|
Inviato: 06/02/2010, 15:53 |
|
Iscritto il: 08/06/2009, 0:06 Messaggi: 3415 Località: Feltre(BL)
Nome: Nicola Dal Zotto
|
|
Bellissimi!!!! Mi spieghi come cerchi sotto corteccia, cosi ci provo anch io domani??? Grazie!!!!
_________________ Nicola Dal Zotto
|
|
| Top |
|
 |
|
neurottero
|
Inviato: 06/02/2010, 21:14 |
|
Iscritto il: 06/02/2009, 9:17 Messaggi: 1025 Località: Roma
Nome: Agostino Letardi
|
|
La prima delle due Chrysoperla direi proprio che sia una C.pallida.
Ma quante belle cosette che hai trovato!!!
Buone cose
|
|
| Top |
|
 |
|
Loriscola
|
Inviato: 06/02/2010, 21:57 |
|
Iscritto il: 05/02/2009, 17:25 Messaggi: 4894 Località: Zola Predosa (BO)
Nome: Loris Colacurcio
|
Maw89 ha scritto: Bellissimi!!!! Mi spieghi come cerchi sotto corteccia, cosi ci provo anch io domani??? Grazie!!!! Beh è facile, ma solo con i Platani o altre essenze che possono sfaldarsi facilmente: con la paletta passi sul tronco e si staccano le scaglie di corteccia...sotto tieni la bacinella aderente al tronco...togli la "roba grossa" dalla bacinella e controlli se vi sono bestioline. Fine della tecnica, semplice, vero ? 
_________________ Loris
|
|
| Top |
|
 |
|
Plagionotus
|
Inviato: 06/02/2010, 22:07 |
|
Iscritto il: 21/05/2009, 14:59 Messaggi: 6994 Località: Parigi
Nome: Riccardo Poloni
|
Loris, sei una strega  , io che non mi posso quasi muovere e tu che mi posti pure uno Ptinide stupendo  , ma quand'è che mi porti con te?  , senza contare le altre cose che hai postato 
_________________ Riccardo Poloni La dignità degli elementi la libertà della poesia, al di là dei tradimenti degli uomini è magia, è magia, è magia... Negrita, Rotolando verso sud
|
|
| Top |
|
 |
|
Maw89
|
Inviato: 06/02/2010, 22:25 |
|
Iscritto il: 08/06/2009, 0:06 Messaggi: 3415 Località: Feltre(BL)
Nome: Nicola Dal Zotto
|
Loriscola ha scritto: Maw89 ha scritto: Bellissimi!!!! Mi spieghi come cerchi sotto corteccia, cosi ci provo anch io domani??? Grazie!!!! Beh è facile, ma solo con i Platani o altre essenze che possono sfaldarsi facilmente: con la paletta passi sul tronco e si staccano le scaglie di corteccia...sotto tieni la bacinella aderente al tronco...togli la "roba grossa" dalla bacinella e controlli se vi sono bestioline. Fine della tecnica, semplice, vero ?  Si,grazie mille! Domani provo!!! Speriamo bene!
_________________ Nicola Dal Zotto
|
|
| Top |
|
 |
|
elleelle
|
Inviato: 07/02/2010, 0:07 |
|
Iscritto il: 28/05/2009, 16:38 Messaggi: 5071
Nome: luigi lenzini
|
... sotto le cortecce di eucalipto, che sono più spaziose, oltre agli insetti piccoli, si trova anche roba grossa, come Tentyria e Akis. Io ci ho trovato anche una scolopendra di quasi 10 cm.  luigi
|
|
| Top |
|
 |
|
Anillus
|
Inviato: 07/02/2010, 1:02 |
|
Iscritto il: 18/02/2009, 0:24 Messaggi: 3909 Località: Asciano (Siena)
Nome: Andrea Petrioli
|
elleelle ha scritto: ... sotto le cortecce di eucalipto, che sono più spaziose, oltre agli insetti piccoli, si trova anche roba grossa, come Tentyria e Akis. Io ci ho trovato anche una scolopendra di quasi 10 cm.  luigi si, si, anche roba più grossa come i gechi, per esempio... 
_________________ ______ Andrea
|
|
| Top |
|
 |
|
Eopteryx
|
Inviato: 07/02/2010, 13:47 |
|
Iscritto il: 06/02/2009, 9:02 Messaggi: 1429 Località: Verona - Roma - Foggia e sporadicamente Padova
Nome: Filippo Di Giovanni
|
Per quanto riguarda gli imenotteri: i primi 2 minuscoli sono Calcidoidei sui quali però non mi pronuncio (ma volendo alla famiglia si arriva) il terzo, su sfondo blu e attaccato lateralmente su cartellino triangolare, è un Ichneumonidae, direi un maschietto di Orthocentrinae (la faccia protrusa in avanti è caratteristica). Dovrebbe essere lungo un paio di millimetri... Per sperare di arrivare ad una det c'è bisogno di ottimo binoculare e tanta pazienza il quarto, su sfondo blu e sempre su cartellino, più grandicello, è invece un Braconidae. A presto 
_________________ "Non posso separare il piacere estetico che provo nel vedere una farfalla dal piacere scientifico di sapere che cosa è" (V.Nabokov)
|
|
| Top |
|
 |
|