Benvenuto Ospite

Forum Entomologi Italiani

www.entomologiitaliani.net/forum
 
Oggi è 20/03/2026, 17:38

Tutti gli orari sono UTC + 1 ora [ ora legale ]

Laccotrephes sp. - Nepidae

 


nuovo argomento
rispondi
Pagina 1 di 1 [ 5 messaggi ]
Autore Messaggio
 Oggetto del messaggio: Laccotrephes sp. - Nepidae
MessaggioInviato: 16/07/2015, 11:58 
 

Iscritto il: 08/12/2013, 1:52
Messaggi: 7678
Località: Bagnacavallo (RA)
Nome: Giorgio Pezzi
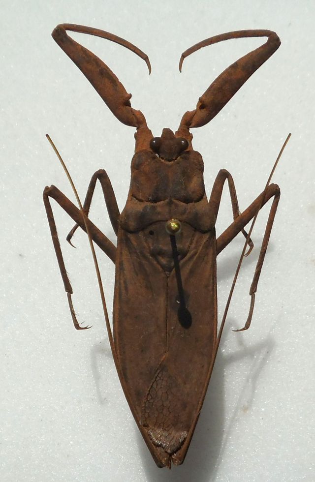
Unico non lepidottero del lotto regalato senza indicazioni di raccolta, ma so che viene dall'Africa sudsahariana.
mm 35, escluse appendici. Grazie per ogni info. Se servono dettagli provvederò :hi:
DSCF1873.JPG



Top
profilo
 Oggetto del messaggio: Re: Nepidae da ID
MessaggioInviato: 16/07/2015, 15:04 
Amministratore
Avatar utente

Iscritto il: 06/02/2009, 9:16
Messaggi: 6919
Località: Portici (Napoli)
Nome: Claudio Labriola
Ciao Giorgio,
con molta probabilità si tratta di Laccotrephes sp. - Nepidae.

Su semplice confronto fotografico da materiale trovato in rete potrebbe trattarsi di Laccotrephes cf. fabricii Stål, 1868 :oooner: la mia è ovviamente solo un'indicazione :oops:

:hi:

_________________
Immagine Claudio Labriola
Buona Vita!!!!


Top
profilo
 Oggetto del messaggio: Re: Nepidae da ID
MessaggioInviato: 16/07/2015, 19:03 
 

Iscritto il: 08/12/2013, 1:52
Messaggi: 7678
Località: Bagnacavallo (RA)
Nome: Giorgio Pezzi
Grazie. Avevo già postato qualcosa del genere ma non me lo ritrovo. forse l'ho dato a qualcuno. :hi:


Top
profilo
 Oggetto del messaggio: Re: Nepidae da ID
MessaggioInviato: 17/07/2015, 9:22 
Amministratore
Avatar utente

Iscritto il: 06/02/2009, 9:16
Messaggi: 6919
Località: Portici (Napoli)
Nome: Claudio Labriola
Giorgio qui ho trovato un'altra tua discussione con Laccotrephes annulipes vicinus (Signoret, 1863) determinato da Attilio.

:hi:

_________________
Immagine Claudio Labriola
Buona Vita!!!!


Top
profilo
 Oggetto del messaggio: Re: Nepidae da ID
MessaggioInviato: 22/07/2015, 10:08 
 

Iscritto il: 08/12/2013, 1:52
Messaggi: 7678
Località: Bagnacavallo (RA)
Nome: Giorgio Pezzi
Grazie: l'ho ritrovato in una scatola con Belostomatidi
:hi:


Top
profilo
Visualizza ultimi messaggi:  Ordina per  
nuovo argomento
rispondi
Pagina 1 di 1 [ 5 messaggi ]

Tutti gli orari sono UTC + 1 ora [ ora legale ]


Chi c’è in linea

Visitano il forum: Nessuno e 1 ospite


Non puoi aprire nuovi argomenti
Non puoi rispondere negli argomenti
Non puoi modificare i tuoi messaggi
Non puoi cancellare i tuoi messaggi
Non puoi inviare allegati

Cerca per:
Vai a: