Benvenuto Ospite

Forum Entomologi Italiani

www.entomologiitaliani.net/forum
 
Oggi è 22/04/2026, 12:44

Tutti gli orari sono UTC + 1 ora [ ora legale ]

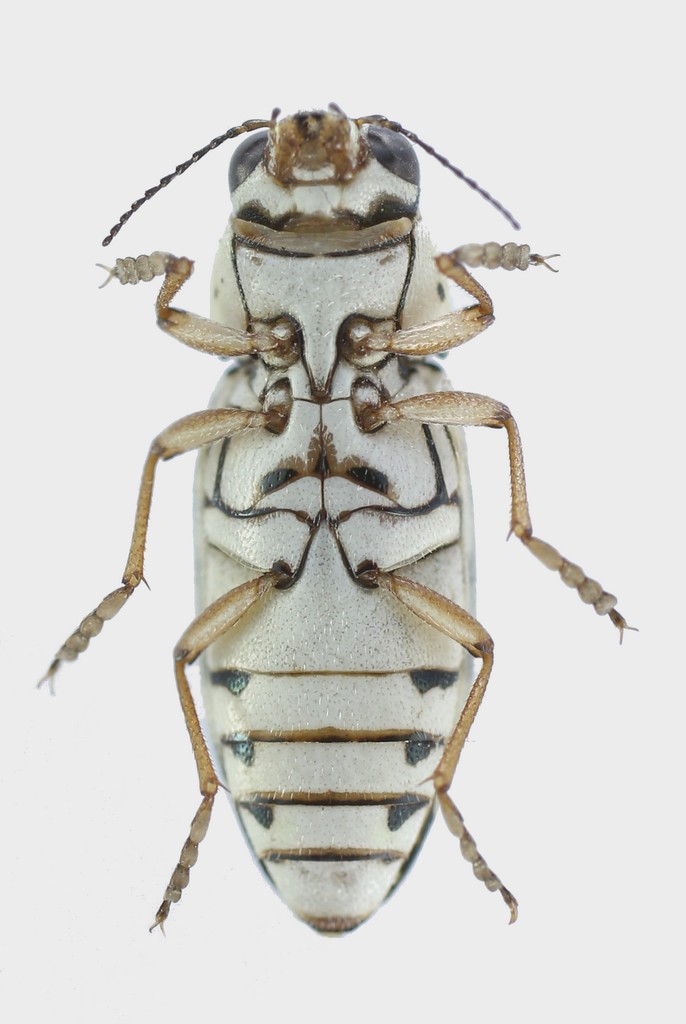
Buprestis (Pseudyamina) bilyi Novak & Kubàn, 1993 - Buprestidae

30.VII.2012 - MAROCCO - EE, (Ouarzazate) Mhamid, m 560 legit Sechi


nuovo argomento
rispondi
Vai alla pagina 1, 2, 3  Prossimo
Pagina 1 di 3 [ 33 messaggi ]
Autore Messaggio
MessaggioInviato: 30/07/2012, 16:56 
Avatar utente

Iscritto il: 04/02/2009, 17:49
Messaggi: 5557
Località: Cagliari
Nome: Daniele Sechi
Oggi mi è nato uno di questi, così, invio qualche scatto singolo di questa bella specie.

Buprestis (Pseudyamina) bilyi Novak & Kubàn, 1993 ex larva da rami di piante vive di Tamarix aphylla.
E' un maschio lungo 9 mm.

Distribuzione: Algeria e Marocco.
bily stack forum.jpg


bily ventre forum.jpg


IMG_3816.jpg


IMG_3817.jpg


_________________
:hi:
Daniele


Top
profilo
MessaggioInviato: 30/07/2012, 16:59 
Avatar utente

Iscritto il: 21/05/2009, 14:59
Messaggi: 6995
Località: Parigi
Nome: Riccardo Poloni
è spettacolare :o :o .

_________________
Riccardo Poloni
La dignità degli elementi
la libertà della poesia,
al di là dei tradimenti degli uomini
è magia, è magia, è magia...
Negrita, Rotolando verso sud


Top
profilo
MessaggioInviato: 30/07/2012, 17:02 
Avatar utente

Iscritto il: 21/02/2011, 15:25
Messaggi: 3879
Località: Montecchio Emilia (RE)
Nome: Violi Michele
Sbaglio o non e' ancora pigmentato? L'hai gia' ucciso?

_________________
Michele :D


Top
profilo
MessaggioInviato: 30/07/2012, 17:10 
Avatar utente

Iscritto il: 09/06/2012, 20:57
Messaggi: 4283
Località: Mesola (FE)
Nome: Daniele Maccapani
:shock: Non avevo mai visto un buprestide con disegni del genere! E' veramente bellissimo :ok:

:hi:

_________________
"Lasciate questo mondo un po' migliore di come lo avete trovato" (Sir Robert Baden Powell)
Immagine Daniele


Top
profilo
MessaggioInviato: 30/07/2012, 17:17 
Avatar utente

Iscritto il: 04/02/2009, 17:49
Messaggi: 5557
Località: Cagliari
Nome: Daniele Sechi
Mikiphasmide ha scritto:
Sbaglio o non e' ancora pigmentato? L'hai gia' ucciso?


No Michele è la sua colorazione definitiva, particolarmente chiara come molti insetti deserticoli.

_________________
:hi:
Daniele


Top
profilo
MessaggioInviato: 30/07/2012, 18:01 
Avatar utente

Iscritto il: 22/12/2009, 13:31
Messaggi: 9646
Località: Napoli
Nome: Francesco Izzillo
Molto bello, Daniele.

_________________
Francesco Izzillo


Top
profilo
MessaggioInviato: 30/07/2012, 18:14 
Avatar utente

Iscritto il: 18/02/2009, 0:24
Messaggi: 3909
Località: Asciano (Siena)
Nome: Andrea Petrioli
Davvero una chicca :hp: :hp: :hp: :hp: :hp:

Bravo Daniele!!!! :birra:

_________________
:hi:
______
Andrea


Top
profilo
MessaggioInviato: 30/07/2012, 18:28 
Avatar utente

Iscritto il: 05/02/2009, 17:47
Messaggi: 7252
Località: Cagliari
Nome: Piero Leo
A me sembra comunque troppo sbiadito, come se l'avessi lavato con varechina. Ho provato a modificare un po' l'immagine; dimmi se ti sembra più rispondente alla realtà.

Originale
55_1c1abbdbf030e076d21830f8f6709d0c.jpg




Modificato
55_1c1abbdbf030e076d21830 copia.jpg



:) Ciao
Piero


Top
profilo
MessaggioInviato: 30/07/2012, 18:38 
Avatar utente

Iscritto il: 25/11/2009, 9:31
Messaggi: 8159
Località: Lecce
Nome: Maurizio Bollino
Daniele Sechi ha scritto:
Mikiphasmide ha scritto:
Sbaglio o non e' ancora pigmentato? L'hai gia' ucciso?


No Michele è la sua colorazione definitiva, particolarmente chiara come molti insetti deserticoli.


Non conosco la specie, ma quelle elitre così diafane, con le ali che si vedono in trasparenza, mi sembrano comunque ..... strane....

_________________
Maurizio Bollino


Top
profilo
MessaggioInviato: 30/07/2012, 18:39 
Avatar utente

Iscritto il: 04/02/2009, 17:49
Messaggi: 5557
Località: Cagliari
Nome: Daniele Sechi
Tenebrio ha scritto:
A me sembra comunque troppo sbiadito, come se l'avessi lavato con varechina. Ho provato a modificare un po' l'immagine; dimmi se ti sembra più rispondente alla realtà.
:) Ciao
Piero


Boh Piero, a me sembra più simile alla mia foto. Inizialmente sono praticamente bianchi, poi qualche giorno dopo la morte diventano giallini. Vedi le foto che ho fatto sul rametto!

_________________
:hi:
Daniele


Top
profilo
MessaggioInviato: 30/07/2012, 18:41 
Avatar utente

Iscritto il: 04/02/2009, 17:49
Messaggi: 5557
Località: Cagliari
Nome: Daniele Sechi
Maurizio Bollino ha scritto:
Daniele Sechi ha scritto:
Mikiphasmide ha scritto:
Sbaglio o non e' ancora pigmentato? L'hai gia' ucciso?


No Michele è la sua colorazione definitiva, particolarmente chiara come molti insetti deserticoli.


Non conosco la specie, ma quelle elitre così diafane, con le ali che si vedono in trasparenza, mi sembrano comunque ..... strane....


Insomma ragazzi, che ci posso fare se ha le elitre semitrasparenti, sono tutti così :!:
Si possono vedere al binoculare attraverso le elitre i tergiti addominali.

_________________
:hi:
Daniele


Top
profilo
MessaggioInviato: 30/07/2012, 18:48 
Amministratore
Avatar utente

Iscritto il: 02/02/2009, 23:30
Messaggi: 7107
Località: Capaci (Pa)
Nome: Marcello Romano
La cosa più strana è che altri esemplari (o forse è sempre lo stesso?) fotografati dal vivo su Meloidae.com sono nettamente più gialli.
Vedi qui.

_________________
:hi: Marcello Romano


Top
profilo
MessaggioInviato: 30/07/2012, 19:10 
Avatar utente

Iscritto il: 04/02/2009, 17:49
Messaggi: 5557
Località: Cagliari
Nome: Daniele Sechi
Velvet Ant ha scritto:
La cosa più strana è che altri esemplari (o forse è sempre lo stesso?) fotografati dal vivo su Meloidae.com sono nettamente più gialli.
Vedi qui.


Si Marcello, quelle foto le conosco da tempo, molto belle. Quell'esemplare di Merzouga è molto diverso dai miei che hanno la maculatura elitrale estremamente più ridotta e una colorazione di fondo, da vivi, quasi bianca.
Avevo controllato anche la revisione di Novak & Kubàn ed ero arrivato a bilyi per i miei. Appena la ripesco verifico se anche quello di Merzouga è un bilyi, ma credo di si.

_________________
:hi:
Daniele


Top
profilo
MessaggioInviato: 30/07/2012, 19:47 
Avatar utente

Iscritto il: 28/03/2011, 14:46
Messaggi: 634
Località: Cadiz, España
Nome: Antonio Verdugo
Molto bello Daniele !! :ok: :ok:

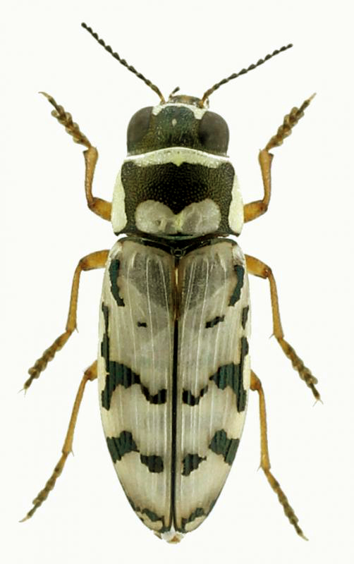
A mi también me sembra un poco inmaturo....
Así son también los Buprestis douei inmaduros de Cordoba (Spagna)
cari saluti
Antonio


Bup douei.JPG


_________________
Antonio Verdugo
https://sites.google.com/site/unentomologoandaluz/
Top
profilo
MessaggioInviato: 30/07/2012, 19:57 
Avatar utente

Iscritto il: 21/02/2011, 15:25
Messaggi: 3879
Località: Montecchio Emilia (RE)
Nome: Violi Michele
Daniele sei sicuro che con quelle elitre semitrasparenti sia già completamente pigmentato? Prova ad allevarne uno per un po' per vedere se si scurisce :roll:

_________________
Michele :D


Top
profilo
Visualizza ultimi messaggi:  Ordina per  
nuovo argomento
rispondi
Vai alla pagina 1, 2, 3  Prossimo
Pagina 1 di 3 [ 33 messaggi ]

Tutti gli orari sono UTC + 1 ora [ ora legale ]


Chi c’è in linea

Visitano il forum: Nessuno e 2 ospiti


Non puoi aprire nuovi argomenti
Non puoi rispondere negli argomenti
Non puoi modificare i tuoi messaggi
Non puoi cancellare i tuoi messaggi
Non puoi inviare allegati

Cerca per:
Vai a: