Benvenuto Ospite

Forum Entomologi Italiani

www.entomologiitaliani.net/forum
 
Oggi è 20/03/2026, 12:10

Tutti gli orari sono UTC + 1 ora [ ora legale ]

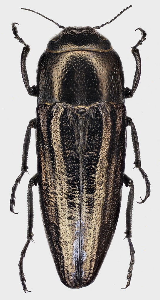
Sphenoptera (Sphenoptera) laticeps Jakovlev, 1886 (cf.) - Buprestidae

8.V.2014 - KAZAKHSTAN - EE, Karatau Mountains, Kentau, Bayaldyr river, 785 m


nuovo argomento
rispondi
Pagina 1 di 1 [ 1 messaggio ]
Autore Messaggio
MessaggioInviato: 03/03/2018, 22:25 
Avatar utente

Iscritto il: 30/12/2009, 22:20
Messaggi: 31564
Località: Roma
Nome: Maurizio Gigli
Sphenoptera (Sphenoptera) laticeps Jakovlev, 1886 (cf.)

Questo esemplare mi è arrivatoi identificato come Sphenoptera (Sphenoptera) manderstjernae Jakovlev, 1886, però è un po' diverso dagli altri miei esemplari che ho da anni identificati così, mentre mi sembra quasi identico ad un esemplare di Sphenoptera (Sphenoptera) laticeps Jakovlev, 1886 che ho ricevuto anni fa dall'Uzbekistan.

Le due specie sono molto simili, come potete vedere qui (laticeps) e qui (manderstiernae), e probabilmente convivono, almeno in parte del loro areale. Tanto che mi vien da pensare che potrebbero essere solo forme della stessa specie. Ma non ho esaminato i genitali.
Per ora, determino questo esemplare come Sphenoptera (Sphenoptera) laticeps Jakovlev, 1886, ma con dubbio.

Kazakhstan, Karatau Mountains, Kentau, Bayaldyr river, 785 m, 8.V.2014, A. Shapovalov legit
13 mm
Sphenoptera_manderstjernae_o_laticeps_Kazakhstan_Karatau_Mts_Bayaldyr_riv_Kentau_785m_8-V-2014_A_Shapovalov_13mm_grey.jpg


_________________
Maurizio Gigli
http://utenti.romascuola.net/bups
http://bup.xoom.it/


Top
profilo
Visualizza ultimi messaggi:  Ordina per  
nuovo argomento
rispondi
Pagina 1 di 1 [ 1 messaggio ]

Tutti gli orari sono UTC + 1 ora [ ora legale ]


Chi c’è in linea

Visitano il forum: Nessuno e 1 ospite


Non puoi aprire nuovi argomenti
Non puoi rispondere negli argomenti
Non puoi modificare i tuoi messaggi
Non puoi cancellare i tuoi messaggi
Non puoi inviare allegati

Cerca per:
Vai a: