Benvenuto Ospite

Forum Entomologi Italiani

www.entomologiitaliani.net/forum
 
Oggi è 20/04/2026, 20:27

Tutti gli orari sono UTC + 1 ora [ ora legale ]

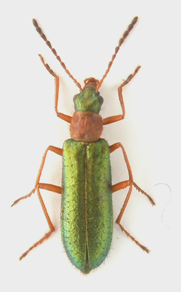
Lobonyx gracilis Reitter, 1872 - Prionoceridae Lobonychini

11.V.2017 - MAROCCO - EE, MEKNES-TAFILALT – Route touristique des Cedres – 10.2 Km a 65° da Aïn Leuh, R. Rattu leg.


nuovo argomento
rispondi
Pagina 1 di 1 [ 6 messaggi ]
Autore Messaggio
MessaggioInviato: 24/12/2017, 10:48 
Avatar utente

Iscritto il: 02/09/2009, 20:57
Messaggi: 8703
Località: Cagliari
Nome: Roberto Rattu
Un'elegante piccola specie raccolta in serie battendo fiori di biancospino: Lobonyx gracilis, rispettivamente maschio e femmina; è nota di Marocco, Algeria e Penisola Iberica. Gli esemplari misurano circa 5 mm:

DSCN3235.JPG


DSCN3236.JPG



Top
profilo
MessaggioInviato: 24/12/2017, 16:19 
Avatar utente

Iscritto il: 05/02/2009, 17:28
Messaggi: 3228
Nome: Marco Uliana
Bello... non lo avevo mai visto!


Top
profilo
MessaggioInviato: 24/12/2017, 16:53 
Avatar utente

Iscritto il: 02/09/2009, 20:57
Messaggi: 8703
Località: Cagliari
Nome: Roberto Rattu
Ciao Marco, grazie :) . Sul campo pensavo si trattasse di un Oedemeridae; poi Liberto mi ha messo sulla retta via.

:hi:


Top
profilo
MessaggioInviato: 24/12/2017, 19:47 
Avatar utente

Iscritto il: 21/05/2009, 14:59
Messaggi: 6995
Località: Parigi
Nome: Riccardo Poloni
Molto carino!!

_________________
Riccardo Poloni
La dignità degli elementi
la libertà della poesia,
al di là dei tradimenti degli uomini
è magia, è magia, è magia...
Negrita, Rotolando verso sud


Top
profilo
MessaggioInviato: 24/12/2017, 20:05 
Avatar utente

Iscritto il: 30/12/2009, 22:20
Messaggi: 31564
Località: Roma
Nome: Maurizio Gigli
Mai trovato. L'avrei preso anch'io per un Oedemeridae.

_________________
Maurizio Gigli
http://utenti.romascuola.net/bups
http://bup.xoom.it/


Top
profilo
MessaggioInviato: 24/12/2017, 20:39 
Avatar utente

Iscritto il: 13/10/2010, 18:21
Messaggi: 2004
Nome: Andrea Liberto
Su 'sto forum siamo ormai al virtuosismo delle "determinazioni" telefoniche... :mrgreen:
Scherzi a parte, i Prionoceridae formano una simpatica famigliola di Cleroidei con alcuni generi dalle livree assai belle, ad esempio Idgia, coinvolti in catene mimetiche con Lycidae e Meloidae.
Peccato ci abbia messo le adunche mani quel flagello di Pic, ragion per cui non ci si capirà mai più nulla.
Mi piacerebbe tornare indietro nel tempo per dare a Pic quel che è di Pic, come a Cesare quel che è di Cesare: ventitré pugnalate. Ciao, A.


Top
profilo
Visualizza ultimi messaggi:  Ordina per  
nuovo argomento
rispondi
Pagina 1 di 1 [ 6 messaggi ]

Tutti gli orari sono UTC + 1 ora [ ora legale ]


Chi c’è in linea

Visitano il forum: Nessuno e 1 ospite


Non puoi aprire nuovi argomenti
Non puoi rispondere negli argomenti
Non puoi modificare i tuoi messaggi
Non puoi cancellare i tuoi messaggi
Non puoi inviare allegati

Cerca per:
Vai a: