Benvenuto Ospite

Forum Entomologi Italiani

www.entomologiitaliani.net/forum
 
Oggi è 31/01/2026, 19:12

Tutti gli orari sono UTC + 1 ora [ ora legale ]

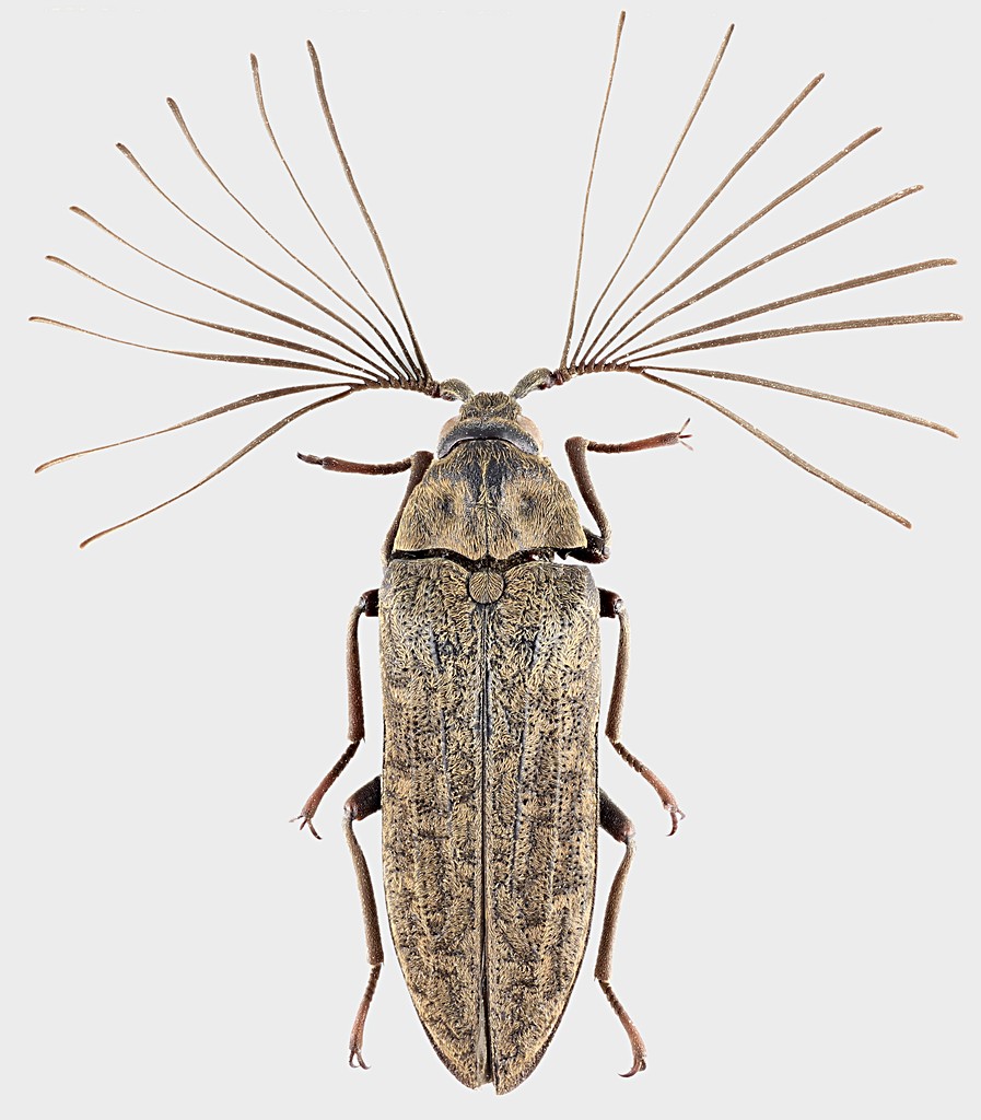
Callirhipis sp. - Callirhipidae

VII.2014 - FILIPPINE - EE, Mindanao, Bukidnon, Kalatungan


nuovo argomento
rispondi
Pagina 1 di 1 [ 8 messaggi ]
Autore Messaggio
 Oggetto del messaggio: Callirhipis sp. - Callirhipidae
MessaggioInviato: 21/03/2015, 19:23 
Avatar utente

Iscritto il: 30/12/2009, 22:20
Messaggi: 31564
Località: Roma
Nome: Maurizio Gigli
Questo mi è arrivato come Callirphidae, ma su questa famiglia ho trovato pochissimo, sempre che il nome sia valido.

Mi pare di aver già visto una bestia simile sul Forum, ma non riesco a ritrovarla.

Philippines, Mindanao, Bukidnon, Kalatungan, VII.2014, raccoglitore ignoto

19 mm
Philippines_Mindanao_Bukidnon_Kalatungan_VII-2014_19mm_grey.jpg


_________________
Maurizio Gigli
http://utenti.romascuola.net/bups
http://bup.xoom.it/


Top
profilo
 Oggetto del messaggio: Re: Coleottero filippino
MessaggioInviato: 21/03/2015, 19:26 
Amministratore
Avatar utente

Iscritto il: 02/02/2009, 23:30
Messaggi: 7105
Località: Capaci (Pa)
Nome: Marcello Romano
Julodis ha scritto:
Questo mi è arrivato come Callirphidae, ma su questa famiglia ho trovato pochissimo, sempre che il nome sia valido.

Mi pare di aver già visto una bestia simile sul Forum, ma non riesco a ritrovarla.

Philippines, Mindanao, Bukidnon, Kalatungan, VII.2014, raccoglitore ignoto

19 mm
Philippines_Mindanao_Bukidnon_Kalatungan_VII-2014_19mm_grey.jpg


Forse ti riferisci a queste immagini di Paolo?

_________________
:hi: Marcello Romano


Top
profilo
 Oggetto del messaggio: Re: Coleottero filippino
MessaggioInviato: 21/03/2015, 19:26 
Avatar utente

Iscritto il: 01/07/2010, 22:26
Messaggi: 5652
Località: Viterbo
Nome: Marco Selis
Julodis ha scritto:
Questo mi è arrivato come Callirphidae, ma su questa famiglia ho trovato pochissimo, sempre che il nome sia valido.
Mi pare di aver già visto una bestia simile sul Forum, ma non riesco a ritrovarla.


Scarsa memoria? :gh:


Top
profilo
 Oggetto del messaggio: Re: Coleottero filippino
MessaggioInviato: 21/03/2015, 19:33 
Avatar utente

Iscritto il: 30/12/2009, 22:20
Messaggi: 31564
Località: Roma
Nome: Maurizio Gigli
Ecco dove l'avevo visto! E mica me lo ricordavo!
Poi, c'è da dire che il nome di questa famiglia si trova scritto in non so quanti modi diversi.

_________________
Maurizio Gigli
http://utenti.romascuola.net/bups
http://bup.xoom.it/


Top
profilo
 Oggetto del messaggio: Re: Coleottero filippino
MessaggioInviato: 21/03/2015, 19:39 
 

Iscritto il: 08/12/2013, 1:52
Messaggi: 7621
Località: Bagnacavallo (RA)
Nome: Giorgio Pezzi
Bello il tuo maschio: ora riconosco la famiglia in quello da me postato (femmina) un po' troppo lontani per essere parenti stretti. Comunque, singolare aver postato assieme (stesso istante) due exx di tale famiglia! :hi:
:birra:


Top
profilo
 Oggetto del messaggio: Re: Coleottero filippino
MessaggioInviato: 21/03/2015, 19:44 
Avatar utente

Iscritto il: 09/11/2009, 14:12
Messaggi: 5189
Località: Hradec Kralove,Czech republik
Nome: Jan Matějíček
Elateriformia Crowson, 1960
superfamily: Byrrhoidea Latreille, 1804
family: Callirhipidae Emden, 1924
genus: Callirhipis Latreille, 1829

_________________
Research Fields
Taxonomy, ecology, biomonitoring , faunistic of Staphylinidae


Top
profilo
 Oggetto del messaggio: Re: Callirhipis sp. - Callirhipidae
MessaggioInviato: 21/03/2015, 20:16 
 

Iscritto il: 02/11/2010, 22:33
Messaggi: 991
Nome: Aleksei Kovalev
http://rghost.ru/7CNqtN2cH
http://rghost.ru/92q5QJwTc
:hi:


Top
profilo
 Oggetto del messaggio: Re: Callirhipis sp. - Callirhipidae
MessaggioInviato: 21/03/2015, 22:23 
Avatar utente

Iscritto il: 30/12/2009, 22:20
Messaggi: 31564
Località: Roma
Nome: Maurizio Gigli
Thank you very much for those papers!

_________________
Maurizio Gigli
http://utenti.romascuola.net/bups
http://bup.xoom.it/


Top
profilo
Visualizza ultimi messaggi:  Ordina per  
nuovo argomento
rispondi
Pagina 1 di 1 [ 8 messaggi ]

Tutti gli orari sono UTC + 1 ora [ ora legale ]


Chi c’è in linea

Visitano il forum: Nessuno e 3 ospiti


Non puoi aprire nuovi argomenti
Non puoi rispondere negli argomenti
Non puoi modificare i tuoi messaggi
Non puoi cancellare i tuoi messaggi
Non puoi inviare allegati

Cerca per:
Vai a: