| Autore |
Messaggio |
|
gian
|
Oggetto del messaggio: Galle Inviato: 23/11/2011, 23:00 |
|
Iscritto il: 30/07/2009, 21:12 Messaggi: 97 Località: Sarroch
Nome: Giancarlo Dessì
|
|
| Top |
|
 |
|
Hemerobius
|
Inviato: 23/11/2011, 23:30 |
|
Iscritto il: 02/02/2009, 23:32 Messaggi: 5645 Località: da Ferrara ad Alghero
Nome: Roberto A. Pantaleoni
|
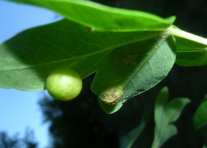
La prima sicuramente Cinipide (forse Andricus sa anche la specie) in un'ammucchiata insolita, la seconda mi sembra più l'opera di un minatore fogliare (che non conosco), le ultime tre perfetto  . Ciao Roberto 
_________________ verum stabile cetera fumus
|
|
| Top |
|
 |
|
Andricus
|
Inviato: 23/11/2011, 23:37 |
|
Iscritto il: 01/07/2010, 22:26 Messaggi: 5665 Località: Viterbo
Nome: Marco Selis
|
La forma a fungo stellato, la colorazione rossa e il fatto che ci sono oggetti appiccicati portano a Andricus dentimitratus (Balas, 1940) - Cynipidae 
|
|
| Top |
|
 |
|
Marchino
|
Inviato: 17/01/2012, 22:00 |
|
Iscritto il: 29/08/2011, 18:58 Messaggi: 230 Località: Viareggio (LU)
Nome: Marco Fornaciari
|
Queste tre galle provengono tutte dalla stessa località: TOSCANA(LU)Pescaglia Loc.Monsagrati Alto
|
|
| Top |
|
 |
|
Andricus
|
Inviato: 17/01/2012, 22:05 |
|
Iscritto il: 01/07/2010, 22:26 Messaggi: 5665 Località: Viterbo
Nome: Marco Selis
|
Quella grande e quella media sono Andricus quercustozae. Quella più piccola non lo so, mi sembra quasi una ghianda 
|
|
| Top |
|
 |
|
Maura
|
Inviato: 18/01/2012, 0:08 |
|
Iscritto il: 09/07/2011, 13:43 Messaggi: 2210 Località: Marmirolo (MN)
Nome: Maura Bocci
|
Queste per cominciare... Tutte in Loc. Il Marchigiano, Scheggia e Pascelupo (PG)
1 - Su Acer campestre (12/10/2011)
2 - Ancora su Acer campestre, ma solo lungo le nervature (18/06/2011)
3 - Su Acer monspessulanum, su picciolo (26/06/2011)
4 - Sulla stessa pianta di Acer monspessulanum, sulla pagina inferiore della foglia (26/06/2011)
_________________ Maura (Mitakuye oyasin)
|
|
| Top |
|
 |
|
Maura
|
Inviato: 18/01/2012, 0:32 |
|
Iscritto il: 09/07/2011, 13:43 Messaggi: 2210 Località: Marmirolo (MN)
Nome: Maura Bocci
|
Per continuare...
5 - Su Fagus sylvatica - Valle Scappuccia, Genga (AN) - (25/09/2010)
6 - Su Populus sp. - Loc. Il Sasso, Scheggia e Pascelupo (PG) - (05/07/2010)
7 - Su Urtica sp. - Loc. Il Marchigiano, Scheggia e Pascelupo (PG) - (17/09/2010)
8 - Su radice di... non ricordo, lungo l'argine del torrente - Loc. Il Marchigiano, Scheggia e Pascelupo (PG) - 31/08/2011
Su giovane ramo di Quercus sp. - Valle del Vernino, Serra S.Quirico (AN) - (25/06/2011)
_________________ Maura (Mitakuye oyasin)
|
|
| Top |
|
 |
|
Raubmilbe
|
Inviato: 18/01/2012, 11:08 |
|
Iscritto il: 10/03/2011, 22:48 Messaggi: 530 Località: Bollate (Milano)
Nome: Massimo Plumari
|
Ciao Maura, inizio a dirti che le galle su Acer monspessulanum sono probabilmente quelle di Pediaspis aceri (Gmelin, 1790) - Hymenoptera Cynipidae, un cinipide ancora poco conosciuto in Italia. Quando salvo (il nostro esperto di Cinipidi) si collegherà...potrà confermarlo. Eventualmente siamo interessati ad avere qualche galla di questa specie, visto che in Nord Italia non l'abbiamo ancora trovata. L'ultima galla è quella di un altro cinipide, Andricus lucidus (Hartig, 1843) - Hymenoptera Cynipidae. La galla su faggio è invece quella di Mikiola fagi (Hartig, 1839) - Diptera Cecidomyiidae. Per le altre ti sapremo dire qualcosa in un secondo tempo. Per quella su radice sarebbero utili le dimensioni. 
_________________ Massimo Plumari ________________________________________
Rerum natura nusquam magis quam in minimis tota est - Plinio il vecchio (Hist. Nat., XI, 1)
|
|
| Top |
|
 |
|
Maura
|
Inviato: 18/01/2012, 11:36 |
|
Iscritto il: 09/07/2011, 13:43 Messaggi: 2210 Località: Marmirolo (MN)
Nome: Maura Bocci
|
Giancarlo hai avuto veramente una bella idea ad aprire questa discussione, è davvero interessante! Raubmilbe ha scritto: Ciao Maura, inizio a dirti che le galle su Acer monspessulanum sono probabilmente quelle di Pediaspis aceri (Gmelin, 1790) - Hymenoptera Cynipidae, un cinipide ancora poco conosciuto in Italia. Quando salvo (il nostro esperto di Cinipidi) si collegherà...potrà confermarlo. Eventualmente siamo interessati ad avere qualche galla di questa specie, visto che in Nord Italia non l'abbiamo ancora trovata. L'ultima galla è quella di un altro cinipide, Andricus lucidus (Hartig, 1843) - Hymenoptera Cynipidae. La galla su faggio è invece quella di Mikiola fagi (Hartig, 1839) - Diptera Cecidomyiidae. Per le altre ti sapremo dire qualcosa in un secondo tempo. Per quella su radice sarebbero utili le dimensioni.  Entrambe le galle su A. monspessulanum sono dovute alla stessa specie di imenottero? Cercherò sicuramente di procurartene... se la stessa pianta viene parassitizzata ogni anno allora è facile, ricordo l'albero in cui stavano le galle... in caso contrario controllerò comunque intorno Per la galla su radice, non è facile dire le dimensioni a memoria... erano circa quelle di un pugno. Ma nel caso di questa galla legnosa sarà facile rintracciarla e dirti poi con più precisione Ciao! 
_________________ Maura (Mitakuye oyasin)
|
|
| Top |
|
 |
|
Raubmilbe
|
Inviato: 18/01/2012, 14:38 |
|
Iscritto il: 10/03/2011, 22:48 Messaggi: 530 Località: Bollate (Milano)
Nome: Massimo Plumari
|
Mi sono accorto di aver fatto un errore, il nome giusto è Pediaspis acerisMaura ha scritto: Entrambe le galle su A. monspessulanum sono dovute alla stessa specie di imenottero? Cercherò sicuramente di procurartene... se la stessa pianta viene parassitizzata ogni anno allora è facile, ricordo l'albero in cui stavano le galle... in caso contrario controllerò comunque intorno Sì, sono galle della stessa specie. Ora non ricordo bene la fenologia, ma con buona probabilità troverai le galle sulla stessa pianta o comunque nella stessa zona anche quest'anno. Cita: Per la galla su radice, non è facile dire le dimensioni a memoria... erano circa quelle di un pugno. Ma nel caso di questa galla legnosa sarà facile rintracciarla e dirti poi con più precisione Già avevo più di un dubbio, ma con queste dimensioni probabilmente si tratta di una formazione neoplastica e non di una galla. 
_________________ Massimo Plumari ________________________________________
Rerum natura nusquam magis quam in minimis tota est - Plinio il vecchio (Hist. Nat., XI, 1)
|
|
| Top |
|
 |
|
Maura
|
Inviato: 19/01/2012, 19:27 |
|
Iscritto il: 09/07/2011, 13:43 Messaggi: 2210 Località: Marmirolo (MN)
Nome: Maura Bocci
|
Raubmilbe ha scritto: Già avevo più di un dubbio, ma con queste dimensioni probabilmente si tratta di una formazione neoplastica e non di una galla. Credo che tu abbia ragione, in effetti la consistenza era proprio legnosa. Mi stavo domandando se l'aspetto "pustoloso" della radice faccia parte dell'anomalia o sia una cosa diversa. Inserisco anche un altro dettaglio, dove si vede (in alto) una porzione della radice su cui era attaccata la neoformazione. Cosa ne pensi?
_________________ Maura (Mitakuye oyasin)
|
|
| Top |
|
 |
|
hutia
|
Inviato: 19/01/2012, 21:24 |
|
|
|
|
quella su ortica dovrebbe essere del cecidomide Dasineura urticae
semplice appassionato Fabrizio
|
|
| Top |
|
 |
|
salvo
|
Inviato: 19/01/2012, 23:20 |
|
Iscritto il: 15/02/2009, 2:13 Messaggi: 206 Località: Cinisello Balsamo
Nome: salvatore sottile
|
Guarda, guarda che bella “carrellata gallesca” è sorta in questo post E tutte sono direi correttamente determinate… Posso solo aggiungere che la galla di marchino alla destra della grossa Andricus quercustozae, è una Andricus kollari (Hartig,1843) si distingue bene per le dimensioni, la colorazione, mentre la piccola ghianda con foro di farfallamento non mi sembra lavoro di un galligeno ma di un qualche insetto,forse curculionide! A seguire con le foro di Maura su acero 1 e 2 si osservano due specie di acari eriofidi del genere Aceria – forse A. macrochela (Nalepa, 1891) e A.cephalonea (Nalepa, 1922) rispettivamente, le foto 3 e 4 sembrano proprio produzioni del cinipide Pediaspis aceris, galle interessanti che come accennava Massimo non abbiamo raccolto nelle nostre zone e che tanto ci piacerebbe studiare. La foto 6 penso si tratti di un una grossa formazione provocata da Pemphigus bursarius (Linnaeus,1758) Alle prossima…  Salvo
_________________ Salvatore Sottile
|
|
| Top |
|
 |
|
Raubmilbe
|
Inviato: 19/01/2012, 23:47 |
|
Iscritto il: 10/03/2011, 22:48 Messaggi: 530 Località: Bollate (Milano)
Nome: Massimo Plumari
|
Maura ha scritto: Credo che tu abbia ragione, in effetti la consistenza era proprio legnosa. Mi stavo domandando se l'aspetto "pustoloso" della radice faccia parte dell'anomalia o sia una cosa diversa. Inserisco anche un altro dettaglio, dove si vede (in alto) una porzione della radice su cui era attaccata la neoformazione. Cosa ne pensi? Per quello che ne capisco io posso solo dire che mi sembra qualcosa di simile a un tumore vegetale, ma occorrerebbe il parere di qualcuno esperto in patologia vegetale. Non so se salvo vuole aggiungere qualcosa. 
_________________ Massimo Plumari ________________________________________
Rerum natura nusquam magis quam in minimis tota est - Plinio il vecchio (Hist. Nat., XI, 1)
|
|
| Top |
|
 |
|
Maura
|
Inviato: 20/01/2012, 0:53 |
|
Iscritto il: 09/07/2011, 13:43 Messaggi: 2210 Località: Marmirolo (MN)
Nome: Maura Bocci
|
salvo ha scritto: Guarda, guarda che bella “carrellata gallesca” è sorta in questo post Una vera e propria GALLEria! salvo ha scritto: La foto 6 penso si tratti di un una grossa formazione provocata da Pemphigus bursarius (Linnaeus,1758) Volevo chiedere se le galle di Pemphigus bursarius si sviluppano solo su foglie e piccioli... o anche sui fusti? Mi pare di ricordare (la memoria vacilla, ma le foto sembrano confermare) che queste galle crescessero soprattutto lungo i fusti principali, oppure sui rametti dell'anno. Dovrei aggiungere che la galla della foto 6 non era un'eccezione come forma e dimensioni, i giovani pioppi della zona ne erano pieni Grazie per tutte le precisissime informazioni 
_________________ Maura (Mitakuye oyasin)
|
|
| Top |
|
 |
|