Benvenuto Ospite

Forum Entomologi Italiani

www.entomologiitaliani.net/forum
 
Oggi è 27/12/2025, 10:10

Tutti gli orari sono UTC + 1 ora [ ora legale ]

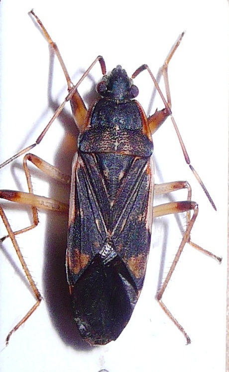
Dieuches armatipes (Walker, 1872) - Lygaeidae

29.I.2012 - ITALIA - Sardegna - CA, Domus de Maria – P.ta su Pisu – m 30 - G.Ruzzante leg.


nuovo argomento
rispondi
Pagina 1 di 1 [ 5 messaggi ]
Autore Messaggio
MessaggioInviato: 30/01/2012, 11:46 
Avatar utente

Iscritto il: 23/06/2010, 11:11
Messaggi: 2784
Località: Cagliari
Nome: Gianpaolo Ruzzante
Ogni volta che prendo una fascina da mettere sul camino è tutto un fuggi fuggi di queste bestiole...
:hi:


P1050360.JPG

Top
profilo
 Oggetto del messaggio: Re: Emittero - Sardegna
MessaggioInviato: 30/01/2012, 15:50 
Avatar utente

Iscritto il: 01/11/2009, 9:51
Messaggi: 2330
Nome: Andrea Rattu
Dovrebbe trattarsi di Dieuches armatipes, un lygeide che, se non ricordo male, è presente solo in Sicilia e Sardegna. Attendiamo conferme o smentite.

_________________
Se gettassi su di un piatto della bilancia tutto ciò che ho imparato a comprendere in quelle ore di meditazione di fronte all'acquario, e sull'altro tutto ciò che ho ricavato dai libri, come rimarrebbe leggero il secondo!
Konrad Lorenz


Top
profilo
 Oggetto del messaggio: Re: Emittero - Sardegna
MessaggioInviato: 30/01/2012, 16:03 
Avatar utente

Iscritto il: 23/06/2010, 11:11
Messaggi: 2784
Località: Cagliari
Nome: Gianpaolo Ruzzante
Palaemonetes ha scritto:
Dovrebbe trattarsi di Dieuches armatipes, un lygeide che, se non ricordo male, è presente solo in Sicilia e Sardegna. Attendiamo conferme o smentite.

Grazie Andrea :hi:


Top
profilo
 Oggetto del messaggio: Re: Emittero - Sardegna
MessaggioInviato: 30/01/2012, 18:22 
Avatar utente

Iscritto il: 17/02/2009, 0:05
Messaggi: 8521
Località: Isola d'Elba - Arcipelago Toscano
Nome: Leonardo Forbicioni
Non sono in grado di dare certezze, ma anche secondo me si tratta di Dieuches armatipes.
Bel bestione!! :D :D

_________________
"Stay hungry, stay foolish".
Steve Jobs, 2005
___________________
jjuniper8(at)gmail.com
Twitter: @weevil_forbix
cell. 339/5275910
___________________


Top
profilo
 Oggetto del messaggio: Re: Emittero - Sardegna
MessaggioInviato: 01/02/2012, 17:43 
Avatar utente

Iscritto il: 05/02/2009, 17:34
Messaggi: 894
Località: Sondrio - Lombardia - Italia
Nome: Paride Dioli
Confermo, la specie è quella ed è ben nota di Sardegna :sma:

_________________
Link: https://www.ndsu.edu/pubweb/~rider/Pentatomoidea/Researchers/Dioli_Paride.htm
Papers in PDF format: https://www.researchgate.net/profile/Paride_Dioli/?ev=hdr_xprf/


Top
profilo
Visualizza ultimi messaggi:  Ordina per  
nuovo argomento
rispondi
Pagina 1 di 1 [ 5 messaggi ]

Tutti gli orari sono UTC + 1 ora [ ora legale ]


Chi c’è in linea

Visitano il forum: Nessuno e 2 ospiti


Non puoi aprire nuovi argomenti
Non puoi rispondere negli argomenti
Non puoi modificare i tuoi messaggi
Non puoi cancellare i tuoi messaggi
Non puoi inviare allegati

Cerca per:
Vai a: