Benvenuto Ospite

Forum Entomologi Italiani

www.entomologiitaliani.net/forum
 
Oggi è 13/02/2026, 7:08

Tutti gli orari sono UTC + 1 ora [ ora legale ]

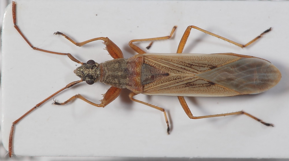
Paromius gracilis (Rambur, 1839) da confermare - Lygaeidae - Toscana - Isola d'Elba

15.VIII.2010 - ITALIA - Toscana - LI, Portoferraio - Monte Orello 200m - Sfalcio su gariga


nuovo argomento
rispondi
Pagina 1 di 1 [ 1 messaggio ]
Autore Messaggio
MessaggioInviato: 24/08/2010, 9:36 
Avatar utente

Iscritto il: 17/02/2009, 0:05
Messaggi: 8524
Località: Isola d'Elba - Arcipelago Toscano
Nome: Leonardo Forbicioni
15.VIII.2010 - Portoferraio (LI) - Monte Orello 200m - Sfalcio su gariga


A me sembra lui :no1: ....ma chiedo conferma! ;)

DA ID37.JPG

DA ID38.JPG


_________________
"Stay hungry, stay foolish".
Steve Jobs, 2005
___________________
jjuniper8(at)gmail.com
Twitter: @weevil_forbix
cell. 339/5275910
___________________


Top
profilo
Visualizza ultimi messaggi:  Ordina per  
nuovo argomento
rispondi
Pagina 1 di 1 [ 1 messaggio ]

Tutti gli orari sono UTC + 1 ora [ ora legale ]


Chi c’è in linea

Visitano il forum: Majestic-12 [Bot] e 2 ospiti


Non puoi aprire nuovi argomenti
Non puoi rispondere negli argomenti
Non puoi modificare i tuoi messaggi
Non puoi cancellare i tuoi messaggi
Non puoi inviare allegati

Cerca per:
Vai a:  
cron