Forum Entomologi Italiani
https://www.entomologiitaliani.net/public/forum/phpBB3/

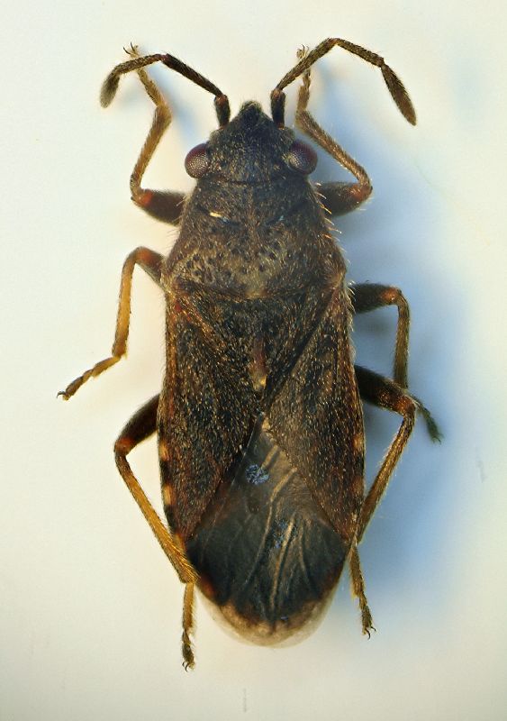
Lygaeosoma sardeum Spinola, 1837 - Lygaeidae
https://www.entomologiitaliani.net/public/forum/phpBB3/viewtopic.php?f=93&t=2581
Pagina 1 di 1

Autore:  Loriscola [ 24/09/2009, 21:55 ]
Oggetto del messaggio:  Lygaeosoma sardeum Spinola, 1837 - Lygaeidae

Il folto gruppo di Entomodena non si è mai riposato !! :ok:

Anche stremato ed affamato non ha certo dimenticato i suoi interessi e nell'infinita attesa di un meritata pizza :birra: , ha speso alcuni momenti in una mini-spedizione entomologica. :p

Così, sulla schiena di uno di noi (non ricordo più di chi), abbiamo potuto raccogliere questo superbo esemplare di Heterottero....cosa sarà ?? :?

Di certo avrà uno dei legit. più lunghi nella storia dell'entomologia. :hp:

Campogalliano (MO) nei prezzi della pizzeria...Tropicana ?? 19.IX.2009

Heterottero Entomodena.JPG


Autore:  Velvet Ant [ 25/09/2009, 7:49 ]
Oggetto del messaggio:  Re: Doverosamente da determinare

[quote="Loriscola"]Campogalliano (MO) nei prezzi della pizzeria...Tropicana ?? 19.IX.2009

...raccolto mentre andava a spasso, in compagnia di un Apion sp., sulla camicia bianca di Rinaldo Nicoli Aldini ;)

Autore:  eremicus [ 25/09/2009, 18:42 ]
Oggetto del messaggio:  Re: Eterottero doverosamente da determinare

Con questa determinazione mi unisco idealmente al gruppo presente ad Entomodena: Lygaeosoma sardeum Spinola, 1837, ligeide xerico a distribuzione turanico-euromediterranea.

Pagina 1 di 1 Tutti gli orari sono UTC + 1 ora [ ora legale ]
Powered by phpBB® Forum Software © phpBB Group
http://www.phpbb.com/