Forum Entomologi Italiani
https://www.entomologiitaliani.net/public/forum/phpBB3/

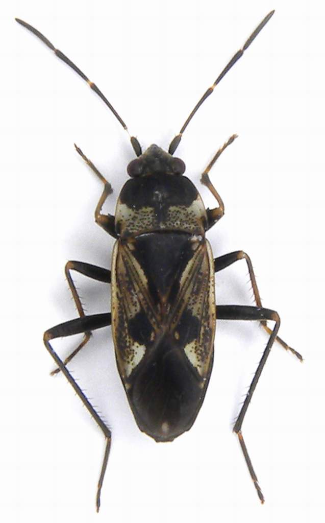
Rhyparochromus vulgaris (Schilling, 1829) - Lygaeidae - Heteroptera
https://www.entomologiitaliani.net/public/forum/phpBB3/viewtopic.php?f=93&t=31839
Pagina 1 di 1

Autore:  ghebo [ 06/03/2012, 19:08 ]
Oggetto del messaggio:  Rhyparochromus vulgaris (Schilling, 1829) - Lygaeidae - Heteroptera

Trovato sotto corteccia di platano.
Dimensioni: mm. 8.
Ciao a tutti
Leonida

Allegati:
SME Nord 5.V.2012 009.jpg

SME Sud 3.V.2012 034a.jpg


Autore:  FORBIX [ 06/03/2012, 19:24 ]
Oggetto del messaggio:  Re: Rhyparochromus vulgaris (Schilling, 1829) - Lygaeidae - Heteroptera

:ok: :ok: :ok:
Ovviamente non ti serviva una conferma....ma semmai ce ne fosse stato bisogno! ;)

Autore:  ghebo [ 06/03/2012, 21:51 ]
Oggetto del messaggio:  Re: Rhyparochromus vulgaris (Schilling, 1829) - Lygaeidae - Heteroptera

Comunque sia ti ringrazio per la risposta
Ciao
leonida

Pagina 1 di 1 Tutti gli orari sono UTC + 1 ora [ ora legale ]
Powered by phpBB® Forum Software © phpBB Group
http://www.phpbb.com/