Benvenuto Ospite

Forum Entomologi Italiani

www.entomologiitaliani.net/forum
 
Oggi è 24/05/2026, 13:31

Tutti gli orari sono UTC + 1 ora [ ora legale ]

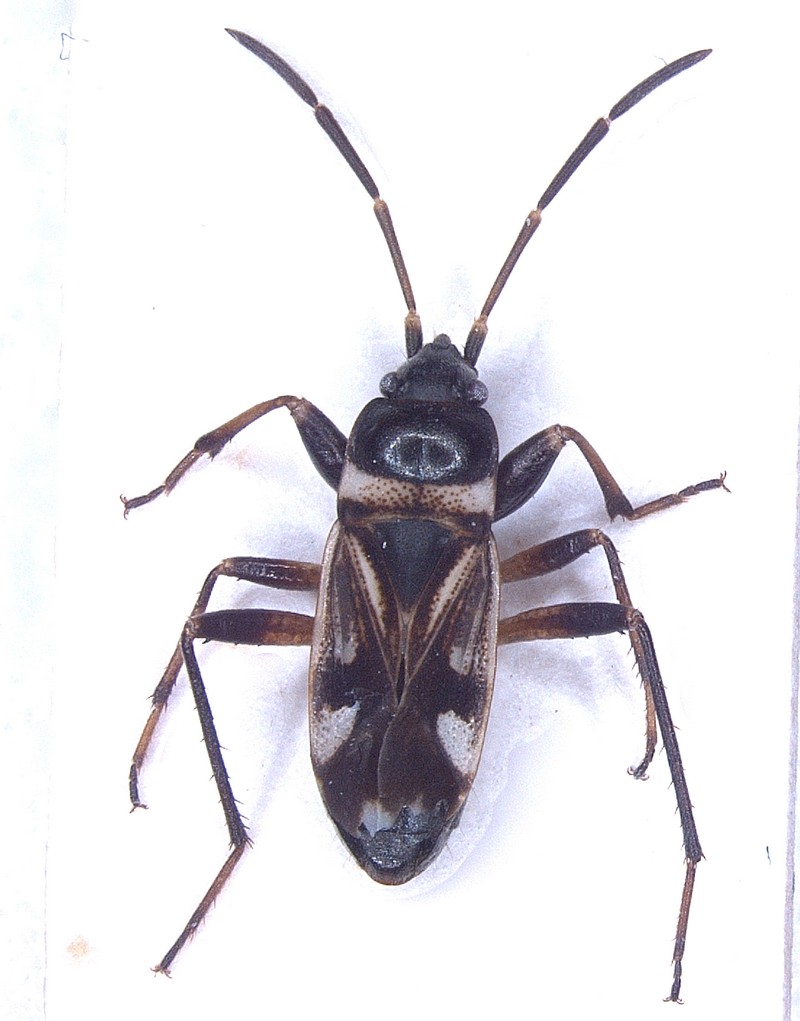
Rhyparochromus (Raglius) alboacuminatus (Goeze, 1778), Lygaeidae. Sardegna.



nuovo argomento
rispondi
Pagina 1 di 1 [ 5 messaggi ]
Autore Messaggio
MessaggioInviato: 08/10/2009, 13:31 
Avatar utente

Iscritto il: 06/02/2009, 8:59
Messaggi: 305
Località: Sassari
Nome: Laura Loru
Belvì (Nu) 05/09/2006
Trappola a caduta in noccioleto
Circa 5 mm. N.B. Manca l'addome quindi la misura può essere imprecisa.
Mi sento di dire che è un Rhyparocromus, ma non il Rhyparocromus (s str) vulgaris che è l'unico che ho!
Mi butto dicendo che assomiglia al Rhyparocromus walkeri ma è giusto per fare un nome :lol1: Sto toppando?
Siate clementi.....

Grazie Laura


Lyg_2.jpg

Top
profilo
MessaggioInviato: 08/10/2009, 20:41 
Avatar utente

Iscritto il: 05/02/2009, 17:36
Messaggi: 781
Nome: Attilio Carapezza
Rhyparochromus (Raglius) alboacuminatus (Goeze, 1778), specie piuttosto variabile nella colorazione. L'esemplare presenta un interessante caso - non infrequente nei Lygaeidae - di oligomeria antennale sul lato sinistro.


Top
profilo
MessaggioInviato: 27/10/2009, 22:23 
Avatar utente

Iscritto il: 06/02/2009, 8:59
Messaggi: 305
Località: Sassari
Nome: Laura Loru
Tonara (Nu), 30/08/2007
Trappola a caduta in noceto
Maschio di circa 6 mm.
Grazie Laura


Lyg_1.jpg

Top
profilo
MessaggioInviato: 28/10/2009, 14:36 
Avatar utente

Iscritto il: 05/02/2009, 17:36
Messaggi: 781
Nome: Attilio Carapezza
Cara Laura, avevo già identificato per te questa specie piuttosto di recente. Penso che puoi perfettamente individuare qual'è.


Top
profilo
MessaggioInviato: 28/10/2009, 15:51 
Avatar utente

Iscritto il: 06/02/2009, 8:59
Messaggi: 305
Località: Sassari
Nome: Laura Loru
Ora, con la stessa velocità con cui ho postato l'esemplare senza fare una diagnosi scontata, mi scaverò un fosso!
:ses :ses :ses :ses :ses :ses :ses :ses :ses :ses :ses :ses :ses :ses :ses :ses :ses :ses :ses :ses
E vorrà dire che sarà la volta buona che sostituisco la foto di mio marito nel portafoto d'argento sul comò di camera da letto con quella del Rhyparochromus (Raglius) alboacuminatus

Chiedo venia

Laura


Top
profilo
Visualizza ultimi messaggi:  Ordina per  
nuovo argomento
rispondi
Pagina 1 di 1 [ 5 messaggi ]

Tutti gli orari sono UTC + 1 ora [ ora legale ]


Chi c’è in linea

Visitano il forum: Nessuno e 3 ospiti


Non puoi aprire nuovi argomenti
Non puoi rispondere negli argomenti
Non puoi modificare i tuoi messaggi
Non puoi cancellare i tuoi messaggi
Non puoi inviare allegati

Cerca per:
Vai a: