Forum Entomologi Italiani
https://www.entomologiitaliani.net/public/forum/phpBB3/

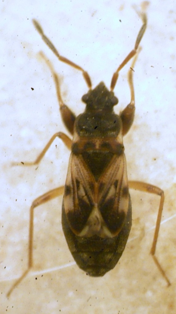
Scolopostethus affinis (Schilling, 1829) - Lygaeidae
https://www.entomologiitaliani.net/public/forum/phpBB3/viewtopic.php?f=93&t=35474
Pagina 1 di 1

Autore:  marco paglialunga [ 18/06/2012, 9:36 ]
Oggetto del messaggio:  Scolopostethus affinis (Schilling, 1829) - Lygaeidae

4.1 mm

Allegati:
Scolopostethus affinis (Schilling, 1829) -Lygaeidae - Lygaeidae Rhyparochrominae Drymini.JPG


Autore:  FORBIX [ 18/06/2012, 10:45 ]
Oggetto del messaggio:  Re: Scolopostethus affinis (Schilling, 1829) -Lygaeidae

Collina Baratoff sembra essere infestata da cimiciazze! :lol:
Se non chiedi conferma, allora vuol dire che hai già controllato i due tubercoli mesosternali, come chiesto tempo fa da Attilio per questa specie! :lol1: :lol1: :lol1:
Stai diventando il mago delle cimici!!
Ma i Curchi si tengono alla larga dai tuoi rettili??....ne vedo pochi ultimamente con il tuo legit. :mrgreen:

Autore:  marco paglialunga [ 19/06/2012, 8:04 ]
Oggetto del messaggio:  Re: Scolopostethus affinis (Schilling, 1829) -Lygaeidae

Già, arrivano solo cimiciazze mentre spacco legna :gh: e per prenderle coi guanti gli spacco pure le gambine :|
Pensa che l'altro giorno mi è pure arrivato uno Stephanidae. Ci siam guardati, io coi guanti, senza neanche l'ombra di un barattolino, appeso a una pianta di traverso e con la motosega in mano...mi son sentito perso :( ...e se ne è andato :cry:
I curchi pochi e piacciono molto ai Draghi barbuti :mrgreen: (quelli più carini l'ho impacchettati ;) )

Tornando al cimiciazzo, per determinare questo, ho fatto affidamento solo sui primi due articoli antennali rossicci e allo scarso sviluppo delle ali.

Pagina 1 di 1 Tutti gli orari sono UTC + 1 ora [ ora legale ]
Powered by phpBB® Forum Software © phpBB Group
http://www.phpbb.com/