Benvenuto Ospite

Forum Entomologi Italiani

www.entomologiitaliani.net/forum
 
Oggi è 22/05/2026, 20:03

Tutti gli orari sono UTC + 1 ora [ ora legale ]

Kleidocerys resedae (Panzer, 1797) Lygaeidae Trentino



nuovo argomento
rispondi
Pagina 1 di 1 [ 14 messaggi ]
Autore Messaggio
MessaggioInviato: 11/01/2010, 18:46 
Avatar utente

Iscritto il: 06/02/2009, 8:59
Messaggi: 305
Località: Sassari
Nome: Laura Loru
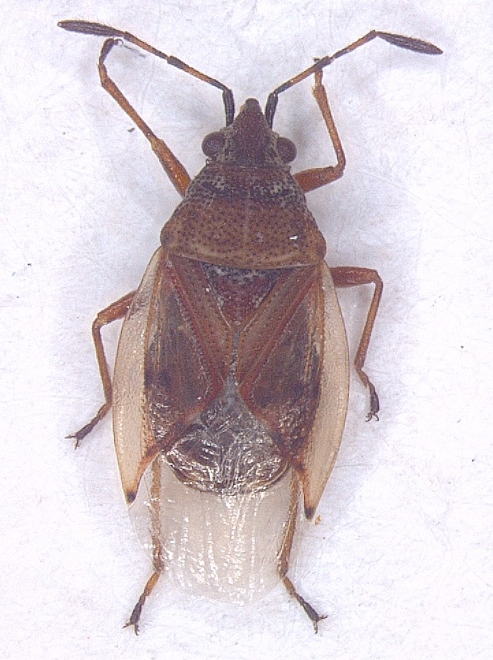
Folgarida (Tn), 15 agosto 2009
Maschio, circa 5 mm compreso l'apice della membrana emielitrale.
Dovrebbe essere Kleidocerys resedae (Panzer, 1797)
Vi è mai capitato di dire "Cara/o torno subito!"?
A me sì durante le vacanze estive, lo scorso ferragosto :) quando ho lasciato mio marito in albergo alle prese con la piccola peste :lol: e sono tornata dopo tre ore :lol1: Questo è uno dei reperti di quel piacevole pomeriggio di caccia!

Laura
Kleidocerys_resedae.jpg



Top
profilo
MessaggioInviato: 11/01/2010, 18:53 
Avatar utente

Iscritto il: 04/02/2009, 17:49
Messaggi: 5558
Località: Cagliari
Nome: Daniele Sechi
Ranatra ha scritto:
Vi è mai capitato di dire "Cara/o torno subito!"?


Mai! Ma per chi ci hai preso?? :mrgreen:

_________________
:hi:
Daniele


Top
profilo
MessaggioInviato: 11/01/2010, 19:07 
Avatar utente

Iscritto il: 06/02/2009, 8:59
Messaggi: 305
Località: Sassari
Nome: Laura Loru
e proprio per te era l'esca :lol: Trentino + retino + luna di miele ti ricordano qualcosa? :lol1:
Laura


Top
profilo
MessaggioInviato: 11/01/2010, 19:11 
Avatar utente

Iscritto il: 25/11/2009, 9:31
Messaggi: 8159
Località: Lecce
Nome: Maurizio Bollino
Ranatra ha scritto:
e proprio per te era l'esca :lol: Trentino + retino + luna di miele ti ricordano qualcosa? :lol1:
Laura

A me ricordano: Bali + retino + luna di miele :lol: :lol: :lol:

_________________
Maurizio Bollino


Top
profilo
MessaggioInviato: 11/01/2010, 19:59 
Amministratore
Avatar utente

Iscritto il: 02/02/2009, 23:30
Messaggi: 7107
Località: Capaci (Pa)
Nome: Marcello Romano
Chi di noi non ha mai scelto la località delle vacanze familiari in base a qualche "leggera" preferenza entomologica, garbatamente velata, scagli la prima pietra :mrgreen:

_________________
:hi: Marcello Romano


Top
profilo
MessaggioInviato: 11/01/2010, 20:12 
Avatar utente

Iscritto il: 25/11/2009, 9:31
Messaggi: 8159
Località: Lecce
Nome: Maurizio Bollino
Velvet Ant ha scritto:
Chi di noi non ha mai scelto la località delle vacanze familiari in base a qualche "leggera" preferenza entomologica, garbatamente velata, scagli la prima pietra :mrgreen:

E quando proprio siamo costretti ad andare sulla spiaggia ad agosto .... tutti malacologi :lol1: :lol1: :lol1:

_________________
Maurizio Bollino


Top
profilo
MessaggioInviato: 11/01/2010, 22:37 
Avatar utente

Iscritto il: 06/02/2009, 9:07
Messaggi: 1706
Località: W-Mediterraneo
Nome: Davide Badano
Maurizio Bollino ha scritto:
Velvet Ant ha scritto:
Chi di noi non ha mai scelto la località delle vacanze familiari in base a qualche "leggera" preferenza entomologica, garbatamente velata, scagli la prima pietra :mrgreen:

E quando proprio siamo costretti ad andare sulla spiaggia ad agosto .... tutti malacologi :lol1: :lol1: :lol1:


C'è anche chi raccoglie insetti in spiaggia (come il sottoscritto)!!! :mrgreen:


Top
profilo
MessaggioInviato: 11/01/2010, 22:44 
Avatar utente

Iscritto il: 05/02/2009, 17:25
Messaggi: 4894
Località: Zola Predosa (BO)
Nome: Loris Colacurcio
Personalmente io proprio non riesco a sopportare le vacanze "alla vecchia maniera" al mare, roba che ti alzi, 4 ore di spiaggia, pranzo, sonnellino altre 4 ore di spiaggia e così via...ma (e c'è un ma, purtroppo), l'aria di mare fa bene ai piccoli, soprattutto se soffrono spesso di raffreddori, faringiti e tonsilliti.

Ed allora tutti gli anni ecco che arriva Cesenatico !! :devil: Ed il mese di giugno, o meglio tutti i fine settimana di giugno (e buona parte di luglio) vanno spesi per andare a salutare mio figlio (e questo non m dispiace affatto, anzi).

Nonostante l'estrema antropizzazione devo però ammettere che giocoforza si trovano ancore delle bestiole interessanti....insomma morale della favola: non importa dove vai in vacanza, l'entomologo è sempre con gli occhi aperti....e la scatolina in tasca !! :gh:

Saluti, Loris

P.S. però agosto è il MIO mese e si va esclusivamente sulle ALPI !! :hp:

_________________
Loris


Top
profilo
MessaggioInviato: 12/01/2010, 18:51 
Avatar utente

Iscritto il: 06/02/2009, 8:59
Messaggi: 305
Località: Sassari
Nome: Laura Loru
Che fervore! Visto il simpatico riscontro suscitato dalla mia domanda mi auguro che alla fine la determinazione sia corretta!
Laura


Top
profilo
MessaggioInviato: 12/01/2010, 20:30 
Avatar utente

Iscritto il: 05/02/2009, 17:36
Messaggi: 781
Nome: Attilio Carapezza
Anzitutto confermo la correttezza della determinazione, ma voglio anch'io aggiungere la mia testimonianza.
A me ricorda Creta + retino + luna di miele = una nuova specie di Miride: Orthotylus (Parapachylops) mariagratiae, Carapezza, ovviamente dedicata a mia moglie.


Top
profilo
MessaggioInviato: 12/01/2010, 21:19 
Avatar utente

Iscritto il: 06/02/2009, 9:03
Messaggi: 6381
Località: Bubano di Mordano (Bologna)
Nome: Augusto Degiovanni
Cita:
Personalmente io proprio non riesco a sopportare le vacanze "alla vecchia maniera" al mare, roba che ti alzi, 4 ore di spiaggia, pranzo, sonnellino altre 4 ore di spiaggia


Sono d'accordo con te Loris :ok: , infatti io vado a Pineto degli Abruzzi :p , solo una settimana :cry: , ma torno a casa "rosso" solo nelle braccia e nel collo :? :gh: , perchè lascio moglie e figlia in spiaggia :gh: , e io parto per la montagna (Majella, Gran Sasso, Sibillini, e Gorzano) :hp: dalla mattina alle 7.00 e ritorno per cena :mrgreen: :mrgreen: :mrgreen: :mrgreen: felici loro felice io :ok: .

Haaa!! dimenticavo, anche a me ricorda l'allora Jugoslavia (Plitvic, Zara, Kerso) + corda e casco + zappetto + vaglio + luna di miele :gh: :gh: .

_________________
CIAO :hi: Augusto Degiovanni

http://anthicidaeecarabidae.altervista.org


Top
profilo
MessaggioInviato: 12/01/2010, 21:39 
Avatar utente

Iscritto il: 06/02/2009, 8:59
Messaggi: 305
Località: Sassari
Nome: Laura Loru
eremicus ha scritto:
A me ricorda Creta + retino + luna di miele = una nuova specie di Miride: Orthotylus (Parapachylops) mariagratiae, Carapezza, ovviamente dedicata a mia moglie.

Che fortuna Attilio! Così tua moglie non ha potuto rinfacciarti a vita di esserti fatto distrarre dai miridi anche durante la luna di miele :lol1:
Laura


Top
profilo
MessaggioInviato: 15/01/2010, 2:24 
Avatar utente

Iscritto il: 05/02/2009, 17:34
Messaggi: 894
Località: Sondrio - Lombardia - Italia
Nome: Paride Dioli
Al contrario... mia moglie e mia figlia riconoscono sempre che, grazie agli insetti, hanno visitato luoghi che altrimenti non avrebbero mai visto.
Inoltre non ho mai sacrificato la famiglia agli insetti perché, avendo le ferie in agosto-settembre, sino a pochi anni fa, sono sempre andato in giro al mattino presto, dalle 6 alle 10 mentre loro dormivano. Ciò mi ha permesso di trovare specie molto interessanti che, in agosto ci sono anche nelle zone mediterranee, ma che, durante il giorno, stanno nascoste ed escono solo prestissimo, in genere tra le 7 e le 9.

_________________
Link: https://www.ndsu.edu/pubweb/~rider/Pentatomoidea/Researchers/Dioli_Paride.htm
Papers in PDF format: https://www.researchgate.net/profile/Paride_Dioli/?ev=hdr_xprf/


Top
profilo
MessaggioInviato: 15/01/2010, 11:33 
Avatar utente

Iscritto il: 06/02/2009, 9:01
Messaggi: 5005
Località: Castel Mella (Brescia)
Nome: Livio Mola
Dioli ha scritto:
Al contrario... mia moglie e mia figlia riconoscono sempre che, grazie agli insetti, hanno visitato luoghi che altrimenti non avrebbero mai visto.

:lol: :ok:

Dioli ha scritto:
Inoltre non ho mai sacrificato la famiglia agli insetti perché, avendo le ferie in agosto-settembre, sino a pochi anni fa, sono sempre andato in giro al mattino presto, dalle 6 alle 10 mentre loro dormivano.

Fino ad un paio d'anni fa riuscivo a dedicare alla famiglia un paio di settimane di vacanza al mare. Come per Paride, non ho avuto la necessità di sottrarre "tempo" alla famiglia perchè
1. La sera, mentre nel villaggio quasi tutti erano impegnati in "balli di gruppo" o attività simili cui partecipavano divertite anche le mie donne, sgattaiolavo via, torcia in mano, per perlustrare spiaggia e lampioni vari. Nemmeno si accorgevano delle mie scorribande.
2. Il periodo delle ferie lo sceglievo alla fine di giugno, quando le giornate iniziano stupendamente prestissimo: alle 4,30 ero già in giro, per rientrare alle 9 e svegliare moglie e figlia per la colazione, consumata finalmente tutti insieme. A quell'ora non c'è ancora in giro nessuno e la sabbia della spiaggia è segnata solo dall'attività notturna di bestie con più di due zampe.
Grazie a quelle piacevoli "levatacce", ho potuto assistere a spettacoli indimenticabili (... e fare buona caccia ;)).
Mi manca :cry:

_________________
L'oca è ritenuto l'animale simbolo della stupidità, a causa delle sciocchezze che gli uomini hanno scritto con le sue penne.


Top
profilo
Visualizza ultimi messaggi:  Ordina per  
nuovo argomento
rispondi
Pagina 1 di 1 [ 14 messaggi ]

Tutti gli orari sono UTC + 1 ora [ ora legale ]


Chi c’è in linea

Visitano il forum: Nessuno e 1 ospite


Non puoi aprire nuovi argomenti
Non puoi rispondere negli argomenti
Non puoi modificare i tuoi messaggi
Non puoi cancellare i tuoi messaggi
Non puoi inviare allegati

Cerca per:
Vai a: