Benvenuto Ospite

Forum Entomologi Italiani

www.entomologiitaliani.net/forum
 
Oggi è 02/05/2026, 2:53

Tutti gli orari sono UTC + 1 ora [ ora legale ]

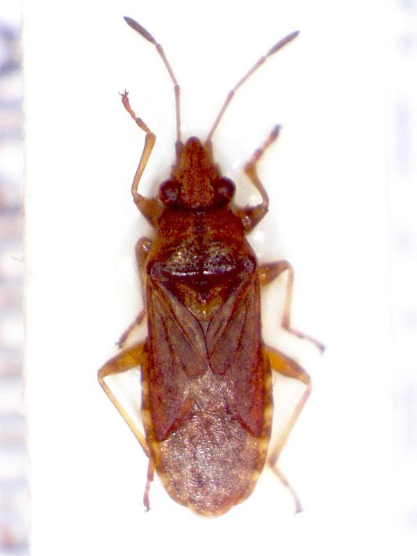
Orsillus sp. (cf.) - Lygaeidae

24.XII.2012 - ITALIA - Sicilia - ME, Capo d' Orlando (10 m s.l.m.)


nuovo argomento
rispondi
Pagina 1 di 1 [ 3 messaggi ]
Autore Messaggio
 Oggetto del messaggio: Orsillus sp. (cf.) - Lygaeidae
MessaggioInviato: 14/03/2013, 21:08 
Avatar utente

Iscritto il: 30/12/2010, 11:51
Messaggi: 4548
Località: San Giovanni Valdarno (AR)
Nome: Giovanni Altadonna
Terzo emittero da determinare.

Sicilia (ME), Capo d' Orlando (10 m s.l.m.), 24/XII/2012, G. Altadonna legit.

Dimensioni: 6 mm

6 mm.jpg


_________________
"L' uomo che è cieco alle bellezze della natura ha perduto metà del piacere di vivere"
Sir Robert Baden Powell

Giovanni Altadonna


Top
profilo
 Oggetto del messaggio: Re: Emittero 3 da id
MessaggioInviato: 15/03/2013, 18:43 
Avatar utente

Iscritto il: 07/02/2011, 21:42
Messaggi: 265
Nome: Alessandro Girodo
Ciao, mi sembra possa essere un Lygaeidae del genere Orsillus . Se così fosse, tra le altre cose, bisognerebbe fare delle foto ventrali per guardare il rostro

_________________
_________
Ale


Top
profilo
 Oggetto del messaggio: Re: Emittero 3 da id
MessaggioInviato: 16/03/2013, 20:20 
Avatar utente

Iscritto il: 30/12/2010, 11:51
Messaggi: 4548
Località: San Giovanni Valdarno (AR)
Nome: Giovanni Altadonna
Grazie per le informazioni. :birra:

_________________
"L' uomo che è cieco alle bellezze della natura ha perduto metà del piacere di vivere"
Sir Robert Baden Powell

Giovanni Altadonna


Top
profilo
Visualizza ultimi messaggi:  Ordina per  
nuovo argomento
rispondi
Pagina 1 di 1 [ 3 messaggi ]

Tutti gli orari sono UTC + 1 ora [ ora legale ]


Chi c’è in linea

Visitano il forum: Nessuno e 2 ospiti


Non puoi aprire nuovi argomenti
Non puoi rispondere negli argomenti
Non puoi modificare i tuoi messaggi
Non puoi cancellare i tuoi messaggi
Non puoi inviare allegati

Cerca per:
Vai a:  
cron