Benvenuto Ospite

Forum Entomologi Italiani

www.entomologiitaliani.net/forum
 
Oggi è 21/05/2026, 23:28

Tutti gli orari sono UTC + 1 ora [ ora legale ]

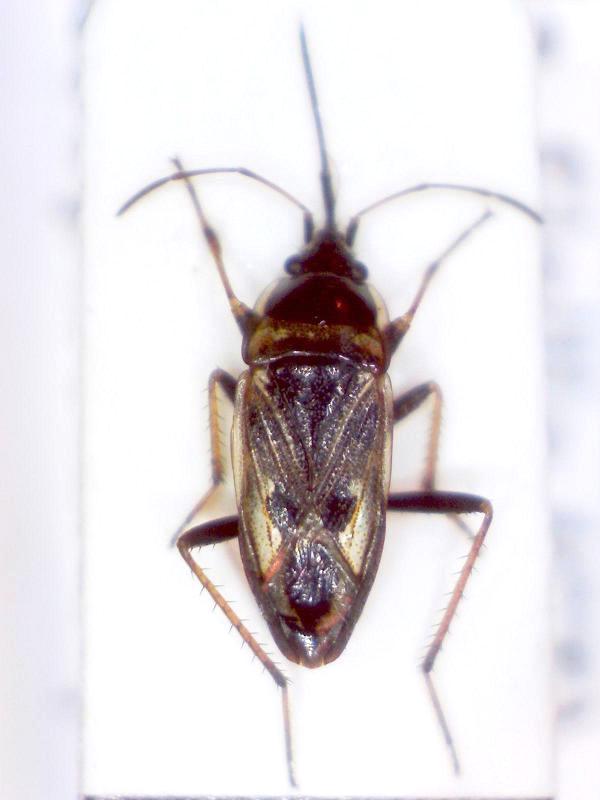
Rhyparochromus (Xantochilus) minusculus (Reuter, 1885) - Lygaeidae

6.I.2013 - ITALIA - Sicilia - CT, Etna - Castiglione di Sicilia, Passopisciaro (700 m s.l.m.)


nuovo argomento
rispondi
Pagina 1 di 1 [ 3 messaggi ]
Autore Messaggio
MessaggioInviato: 13/03/2013, 21:08 
Avatar utente

Iscritto il: 30/12/2010, 11:51
Messaggi: 4548
Località: San Giovanni Valdarno (AR)
Nome: Giovanni Altadonna
Continuo con gli emitteri, questo viene dall' Etna.

Sicilia (CT), Etna - Castiglione di Sicilia, Passopisciaro (700 m s.l.m.), 6/I/2013, sotto corteccia di Prunus dulcis, G. Altadonna legit.

Dimensioni: 6 mm

6. mm.jpg



Ambiente di raccolta

IMG_4788.JPG


_________________
"L' uomo che è cieco alle bellezze della natura ha perduto metà del piacere di vivere"
Sir Robert Baden Powell

Giovanni Altadonna


Top
profilo
 Oggetto del messaggio: Re: Lygaeidae?
MessaggioInviato: 19/03/2013, 20:58 
Avatar utente

Iscritto il: 05/02/2009, 17:36
Messaggi: 781
Nome: Attilio Carapezza
Rhyparochromus (Xantochilus) minusculus (Reuter, 1885)


Top
profilo
MessaggioInviato: 20/03/2013, 21:42 
Avatar utente

Iscritto il: 30/12/2010, 11:51
Messaggi: 4548
Località: San Giovanni Valdarno (AR)
Nome: Giovanni Altadonna
Grazie Attilio! :birra: :hi:

_________________
"L' uomo che è cieco alle bellezze della natura ha perduto metà del piacere di vivere"
Sir Robert Baden Powell

Giovanni Altadonna


Top
profilo
Visualizza ultimi messaggi:  Ordina per  
nuovo argomento
rispondi
Pagina 1 di 1 [ 3 messaggi ]

Tutti gli orari sono UTC + 1 ora [ ora legale ]


Chi c’è in linea

Visitano il forum: Nessuno e 1 ospite


Non puoi aprire nuovi argomenti
Non puoi rispondere negli argomenti
Non puoi modificare i tuoi messaggi
Non puoi cancellare i tuoi messaggi
Non puoi inviare allegati

Cerca per:
Vai a: