| Forum Entomologi Italiani https://www.entomologiitaliani.net/public/forum/phpBB3/ |
|
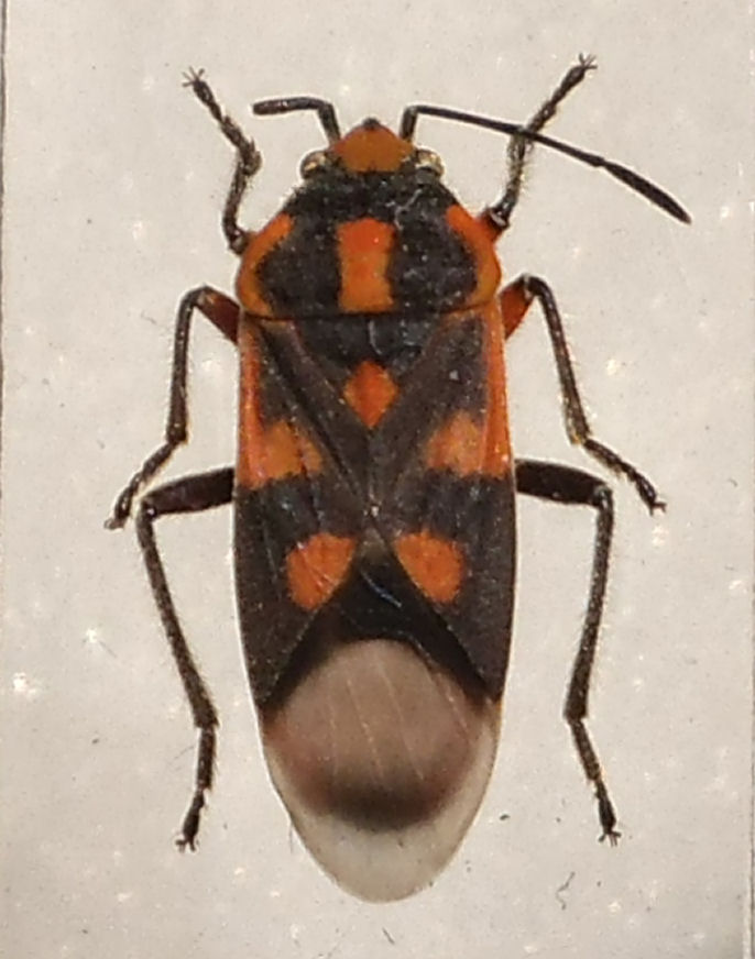
| Lygaeidae sp. https://www.entomologiitaliani.net/public/forum/phpBB3/viewtopic.php?f=93&t=52872 |
Pagina 1 di 1 |
| Autore: | Chalybion [ 22/04/2014, 21:20 ] |
| Oggetto del messaggio: | Lygaeidae sp. |
Vecchio reperto: mm 9.5. ![]() |
|
| Pagina 1 di 1 | Tutti gli orari sono UTC + 1 ora [ ora legale ] |
| Powered by phpBB® Forum Software © phpBB Group http://www.phpbb.com/ |
|