Benvenuto Ospite

Forum Entomologi Italiani

www.entomologiitaliani.net/forum
 
Oggi è 02/04/2026, 14:59

Tutti gli orari sono UTC + 1 ora [ ora legale ]

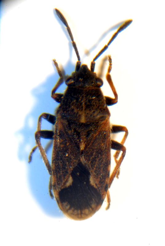
Lygaeosoma sardeum Spinola, 1837 - Lygaeidae

7.V.2014 - ITALIA - Sardegna - CA, Sinnai, loc. Bau Arrexini, R. Rattu leg.


nuovo argomento
rispondi
Pagina 1 di 1 [ 4 messaggi ]
Autore Messaggio
MessaggioInviato: 10/05/2014, 11:56 
Avatar utente

Iscritto il: 01/11/2009, 9:51
Messaggi: 2332
Nome: Andrea Rattu
Raccolto sfalciando la vegetazione erbosa (prevalentemente Graminaceae e Juncaceae) di un campo umido. mm 3,8. Di chi si tratta? Grazie a tutti.


1.JPG


_________________
Se gettassi su di un piatto della bilancia tutto ciò che ho imparato a comprendere in quelle ore di meditazione di fronte all'acquario, e sull'altro tutto ciò che ho ricavato dai libri, come rimarrebbe leggero il secondo!
Konrad Lorenz
Top
profilo
 Oggetto del messaggio: Re: Lygaeidae 1 da ID
MessaggioInviato: 10/05/2014, 16:49 
Avatar utente

Iscritto il: 01/11/2009, 9:51
Messaggi: 2332
Nome: Andrea Rattu
Provo a rispondermi: Lygaeosoma sardeum?

_________________
Se gettassi su di un piatto della bilancia tutto ciò che ho imparato a comprendere in quelle ore di meditazione di fronte all'acquario, e sull'altro tutto ciò che ho ricavato dai libri, come rimarrebbe leggero il secondo!
Konrad Lorenz


Top
profilo
 Oggetto del messaggio: Re: Lygaeidae 1 da ID
MessaggioInviato: 11/05/2014, 23:23 
Avatar utente

Iscritto il: 31/12/2009, 1:47
Messaggi: 952
Località: Bellano (LC)
Nome: Martino Salvetti
esatto! anche se non è esclusivo della Sardegna, nonostante il nome, ma presente anche nella penisola. Al nord è abbastanza comune in alcuni biotopi, per esempio nei terreni terrazzati delle vigne della provincia di Sondrio, mentre sul versante lecchese del lago di Como non l'ho mai trovato....


Top
profilo
 Oggetto del messaggio: Re: Lygaeidae 1 da ID
MessaggioInviato: 12/05/2014, 12:14 
Avatar utente

Iscritto il: 01/11/2009, 9:51
Messaggi: 2332
Nome: Andrea Rattu
Ottimo! :hp: Grazie per la conferma Martino :) .

_________________
Se gettassi su di un piatto della bilancia tutto ciò che ho imparato a comprendere in quelle ore di meditazione di fronte all'acquario, e sull'altro tutto ciò che ho ricavato dai libri, come rimarrebbe leggero il secondo!
Konrad Lorenz


Top
profilo
Visualizza ultimi messaggi:  Ordina per  
nuovo argomento
rispondi
Pagina 1 di 1 [ 4 messaggi ]

Tutti gli orari sono UTC + 1 ora [ ora legale ]


Chi c’è in linea

Visitano il forum: Majestic-12 [Bot] e 2 ospiti


Non puoi aprire nuovi argomenti
Non puoi rispondere negli argomenti
Non puoi modificare i tuoi messaggi
Non puoi cancellare i tuoi messaggi
Non puoi inviare allegati

Cerca per:
Vai a: