| Forum Entomologi Italiani https://www.entomologiitaliani.net/public/forum/phpBB3/ |
|
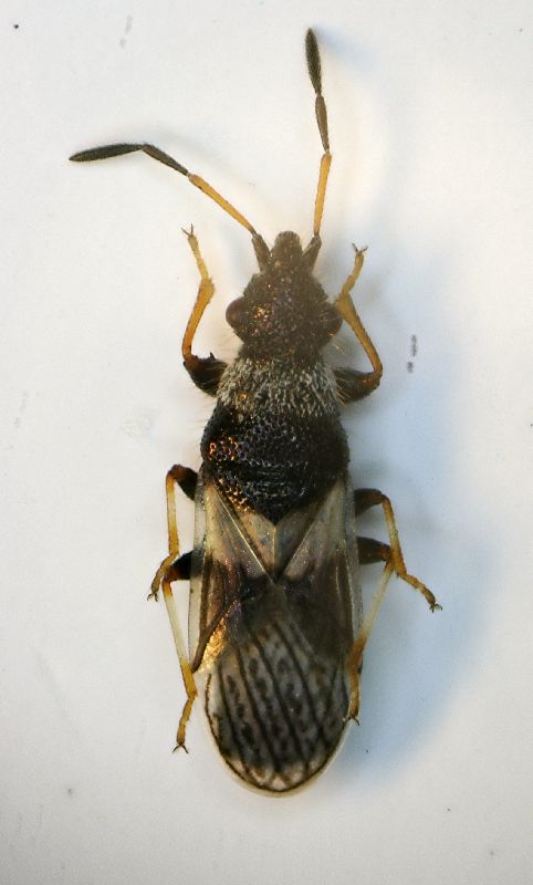
| Microplax albofasciata (A. Costa, 1847) - Lygaeidae - Sasso Marconi (BO) https://www.entomologiitaliani.net/public/forum/phpBB3/viewtopic.php?f=93&t=5566 |
Pagina 1 di 1 |
| Autore: | Loriscola [ 20/02/2010, 21:28 ] |
| Oggetto del messaggio: | Microplax albofasciata (A. Costa, 1847) - Lygaeidae - Sasso Marconi (BO) |
Lo avevo giĆ presentato in uno dei resoconti di caccia.... Raccolto unicamente battendo l'edera cresciuta su alcuni Pinus, non sull'Acacia, non sul Pioppo e neanche sul Platano, ma solo "sull'edera di Pinus". Sasso Marconi (BO) - Palazzo Rossi, 15.II.2010 Lunghezza: ...4-5 mm. |
|
| Autore: | Dioli [ 21/02/2010, 3:29 ] |
| Oggetto del messaggio: | Re: Heterottero edera Sasso Marconi (BO) |
Microplax albofasciata (A. Costa 1847) |
|
| Autore: | Loriscola [ 21/02/2010, 14:37 ] |
| Oggetto del messaggio: | Re: Heterottero edera Sasso Marconi (BO) |
Grazie mille !
|
|
| Pagina 1 di 1 | Tutti gli orari sono UTC + 1 ora [ ora legale ] |
| Powered by phpBB® Forum Software © phpBB Group http://www.phpbb.com/ |
|