| Autore |
Messaggio |
|
Loriscola
|
Inviato: 11/03/2009, 21:48 |
|
Iscritto il: 05/02/2009, 17:25 Messaggi: 4894 Località: Zola Predosa (BO)
Nome: Loris Colacurcio
|
|
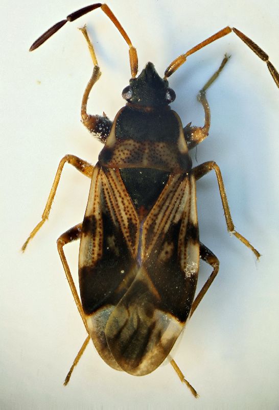
Nelle pozze lungo il fiume Reno, è poi saltato fuori pure questo piccolo Heterottero...ormai stremato.
Sasso Marconi (BO) località Palazzo Rossi: 8 marzo 2009. Lunghezza: circa 4-5 mm.
Loris
_________________ Loris
|
|
| Top |
|
 |
|
Ranatra
|
Inviato: 12/03/2009, 10:33 |
|
Iscritto il: 06/02/2009, 8:59 Messaggi: 305 Località: Sassari
Nome: Laura Loru
|
Ciao loriscola, l'unica cosa che posso dirti è che di certo è un ligeide. Appena l'ho visto mi è venuto in mente il Rhyparochromus (s.str.) vulgaris, ma tranquillo, non è lui  ! Di certo a causa delle dimensioni e della colorazione generale di zampe ed antenne (il R. vulgaris "viaggia" sui 7 mm ed è più scuro). E poi, pensandoci bene, il R. vulgaris ha la membrana nera con una macchia bianca all'apice  ! Ora sono curiosa anche io! Esperti fatevi avanti  ! Laura
|
|
| Top |
|
 |
|
halobates
|
Inviato: 12/03/2009, 12:22 |
|
Iscritto il: 06/02/2009, 9:15 Messaggi: 1468 Località: Vigevano PV
Nome: Danilo Mario Piccolino
|
 Mah ! brancolo un pò al buio anch'io come Laura. le mie certezze sono : Lygaeidae sp. Poi dico senza troppe convinzioni: Scolopostethus sp. ? ma è solo per poter imparare....se non si palesano i propri dubbi non si progredisce. Aspetto ulteriori contributi più qualificati.....sono più curioso di una gazza 
_________________ Danilo
|
|
| Top |
|
 |
|
Ranatra
|
Inviato: 12/03/2009, 12:55 |
|
Iscritto il: 06/02/2009, 8:59 Messaggi: 305 Località: Sassari
Nome: Laura Loru
|
Come dimensioni potrebbe pure essere un Scolopostethus, ma in tal caso credo che non sia lo S. cognatus visto che la colorazione delle antenne non mi sembra proprio la sua ed in cuor mio spero che non lo sia perchè in teoria avrei già dovuto imparare a riconoscerlo visto che l'ho postato in passato halobates ha scritto: ma è solo per poter imparare....se non si palesano i propri dubbi non si progredisce.
Parole sante  ! Ciao Laura P.S. speriamo bene!!!
|
|
| Top |
|
 |
|
clido
|
Inviato: 12/03/2009, 14:31 |
|
| Amministratore |
 |
Iscritto il: 06/02/2009, 9:16 Messaggi: 6919 Località: Portici (Napoli)
Nome: Claudio Labriola
|
Parlo da ignorante in materia, ma controllando un po' di foto in giro e non sapendo quali possano essere i caratteri determinanti mi sono basato sulla colorazione ed ho visto che il colore delle zampe e delle antenne che più somigliano a questo esemplare appartengono a Scolopostethus affinis 
_________________ Claudio LabriolaBuona Vita!!!!
|
|
| Top |
|
 |
|
Ranatra
|
Inviato: 12/03/2009, 16:19 |
|
Iscritto il: 06/02/2009, 8:59 Messaggi: 305 Località: Sassari
Nome: Laura Loru
|
Consultando la FdF leggo a proposito delle antenne dello S. affinis : "articolo III scuro, generalmente più chiaro nella porzione basale, articolo IV scuro". Effettivamente il terzo articolo dell'antenna di destra è più chiaro nella parte basale. Ma mi chiedo se la parte apicale del III antennomero e il IV antennomero del nostro amico sono scuri o neri! E' il mio solito dilemma  , di sicuro amplificato dalla foto...... Osservando sempre nella FdF i disegni delle antenne di 10 specie di Scolopostethus è proprio evidente la differenza tra antennomeri scuri e neri. Infine la FdF lo dà come brachittero, raramente macrottero, ma questo non vuol dire niente! Caro clido, le mie sono solo osservazioni volte ad imparare..........la strada è lunga e piena di tranelli  ! VOGLIO UN ESPERTO!!!!! Ciao Laura P.S. pensa se non fosse neanche uno Scolopostethus sp  . Di certo imparerò la lezione!!! Comunque vada mi sono divertita 
|
|
| Top |
|
 |
|
halobates
|
Inviato: 12/03/2009, 16:32 |
|
Iscritto il: 06/02/2009, 9:15 Messaggi: 1468 Località: Vigevano PV
Nome: Danilo Mario Piccolino
|
Ranatra ha scritto: P.S. pensa se non fosse neanche uno Scolopostethus sp  . Di certo imparerò la lezione!!! Comunque vada mi sono divertita  Stesso mio dubbio e stato d'animo Anche la mia identificazione non possedendo la FdF si è basata solo sulla colorazione e le dimensioni indicate da Loris....un pò troppo poco....a dire il vero ho consultato le tabelle di Tamanini apparse sulle Memorie della SEI ma P.S. un saluto a Laura 
_________________ Danilo
|
|
| Top |
|
 |
|
Dioli
|
Inviato: 13/03/2009, 3:37 |
|
Iscritto il: 05/02/2009, 17:34 Messaggi: 894 Località: Sondrio - Lombardia - Italia
Nome: Paride Dioli
|
|
Chi dice Scolopostethus ha ragione. Un'idea ce l'ho sulla specie, però, per maggior sicurezza, chiedo se il mesosterno di questo esemplare è provvisto di due denti o uncini o se, piuttosto, esso è liscio. Tale particolare divide il genere in due gruppi. Grazie.
|
|
| Top |
|
 |
|
Ranatra
|
Inviato: 13/03/2009, 10:13 |
|
Iscritto il: 06/02/2009, 8:59 Messaggi: 305 Località: Sassari
Nome: Laura Loru
|
Allora, continuo a ragionarci  . Sopportatemi, anche questo è per me un modo per imparare! Sulla base di quanto dice Paride Dioli ha scritto: Un'idea ce l'ho sulla specie, però, per maggior sicurezza, chiedo se il mesosterno di questo esemplare è provvisto di due denti o uncini o se, piuttosto, esso è liscio. Tale particolare divide il genere in due gruppi. Grazie. se i due uncini sono presenti le alternative sono: S. grandis che ha il II antennomero giallo-rossastro e scuro nella porzione apicale e i due successivi scuri. Guardando la foto lo escluderei  e S. affinis che ha il II antennomero completamente giallo-rossastro, l' articolo III scuro, generalmente più chiaro nella porzione basale e l'articolo IV scuro. Mi sembra che faccia al nostro caso  ! se i due uncini sono assenti la scelta è più ampia: escluderei S. thomsoni che ha III e IV antennomero neri e ispessiti e II antennomero nero nella porzione apicale ed escluderei S. cognatus oltre che per il fatto che le antenne sono completamente diverse anche perchè è l'unico Scolopostethus che ho nella mia, al momento piccola, collection e perciò spero bene di aver imparato a determinarlo. A tal punto rimangono ben altre 5 possibili specie. Che fatica! Mi arrendo! Ciao Laura
|
|
| Top |
|
 |
|
clido
|
Inviato: 13/03/2009, 11:47 |
|
| Amministratore |
 |
Iscritto il: 06/02/2009, 9:16 Messaggi: 6919 Località: Portici (Napoli)
Nome: Claudio Labriola
|
Dioli ha scritto: Chi dice Scolopostethus ha ragione. Un'idea ce l'ho sulla specie, però, per maggior sicurezza, chiedo se il mesosterno di questo esemplare è provvisto di due denti o uncini o se, piuttosto, esso è liscio. Tale particolare divide il genere in due gruppi. Grazie. Ranatra ha scritto: ... Che fatica! Mi arrendo! Ciao Laura Non ci resta che aspettare la risposta di Loris che ci dice com'è il mesosterno 
_________________ Claudio LabriolaBuona Vita!!!!
|
|
| Top |
|
 |
|
Loriscola
|
Inviato: 13/03/2009, 22:07 |
|
Iscritto il: 05/02/2009, 17:25 Messaggi: 4894 Località: Zola Predosa (BO)
Nome: Loris Colacurcio
|
Scusate il mio silenzio, ma sono un po' distratto da altri impegni. Per ora non ho la possibilità di integrare con nuove imagini, ma sono comunque riuscito a scollare la bestiola (ed una zampina opplà se ne è andata  ma l'ho ritrovata, quindi poco male) ed ho quindi osservato il ventre dell'heterottero. Se ho capito bene cosa guardare,vi anticpo che ha il mesosterno liscio...non ho visto alcuna spina, collinetta, granulo o altra appendice che possa darmi qualche incertezza. Ho anche ripreso la lunghezza ed è quasi certamente 0,47 mm. Questo può servire per continuare la (dotta ed interessante) discussione ?? Saluti, Loris
_________________ Loris
|
|
| Top |
|
 |
|
eremicus
|
Inviato: 19/03/2009, 21:43 |
|
Iscritto il: 05/02/2009, 17:36 Messaggi: 780
Nome: Attilio Carapezza
|
|
La lunghezza del secondo articolo delle antenne, pari alla larghezza del capo, indica che si tratta di uno Scolopostethus pictus (Schilling, 1829), a cui corrisponde esattamente il disegno dorsale. In questa specie gli articoli delle antenne sono generalmente tutti chiari, ma questo esemplare intensamente pigmentato appartiene alla f. antennalis, in cui i due articoli terminali sono iscuriti.
|
|
| Top |
|
 |
|
Loriscola
|
Inviato: 19/03/2009, 21:49 |
|
Iscritto il: 05/02/2009, 17:25 Messaggi: 4894 Località: Zola Predosa (BO)
Nome: Loris Colacurcio
|
|
Ormai è inflazionato ma...grazie ancora !
Loris
_________________ Loris
|
|
| Top |
|
 |
|