Benvenuto Ospite

Forum Entomologi Italiani

www.entomologiitaliani.net/forum
 
Oggi è 23/12/2025, 11:11

Tutti gli orari sono UTC + 1 ora [ ora legale ]

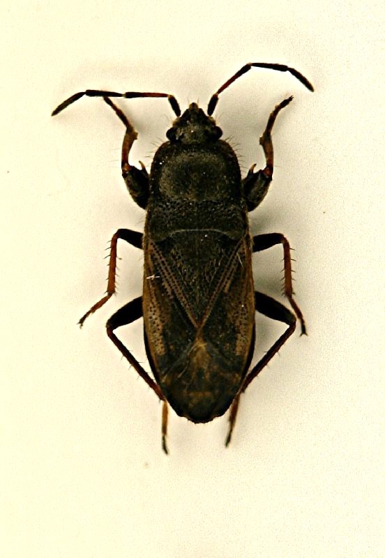
Megalonotus emarginatus (Rey, 1888). Sasso Marconi (BO)

20.III.2010 - ITALIA - Emilia-Romagna - BO, Sasso Marconi - Palazzo Rossi


nuovo argomento
rispondi
Pagina 1 di 1 [ 2 messaggi ]
Autore Messaggio
MessaggioInviato: 22/03/2010, 18:49 
Avatar utente

Iscritto il: 05/02/2009, 17:25
Messaggi: 4894
Località: Zola Predosa (BO)
Nome: Loris Colacurcio
Raccolta anche questa, vagliando tra il fogliame alla base d'un pioppo...

Sasso Marconi (BO) - Palazzo Rossi,20.III.2010
Lunghezza: 5,3 mm. circa
hetero n4.JPG


_________________
Loris


Top
profilo
MessaggioInviato: 13/04/2010, 19:21 
Avatar utente

Iscritto il: 05/02/2009, 17:36
Messaggi: 780
Nome: Attilio Carapezza
Non mi ero accorto di questi due Ligeidi in attesa di determinazione; questo è un Megalonotus emarginatus (Rey, 1888).


Top
profilo
Visualizza ultimi messaggi:  Ordina per  
nuovo argomento
rispondi
Pagina 1 di 1 [ 2 messaggi ]

Tutti gli orari sono UTC + 1 ora [ ora legale ]


Chi c’è in linea

Visitano il forum: Nessuno e 1 ospite


Non puoi aprire nuovi argomenti
Non puoi rispondere negli argomenti
Non puoi modificare i tuoi messaggi
Non puoi cancellare i tuoi messaggi
Non puoi inviare allegati

Cerca per:
Vai a: