Benvenuto Ospite

Forum Entomologi Italiani

www.entomologiitaliani.net/forum
 
Oggi è 20/03/2026, 11:39

Tutti gli orari sono UTC + 1 ora [ ora legale ]

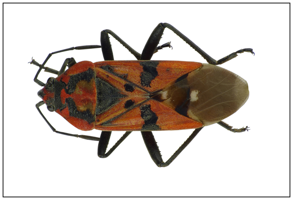
Spilostethus pandurus (Scopoli, 1763) - Lygeidae

26.VIII.2012 - CROAZIA - EE, Orebic


nuovo argomento
rispondi
Pagina 1 di 1 [ 3 messaggi ]
Autore Messaggio
MessaggioInviato: 26/11/2015, 12:45 
 

Iscritto il: 02/03/2013, 21:22
Messaggi: 271
Nome: Gierlasinski Grzegorz
Hello,

this time I have Lygaeus (I think) equestris, but its pronotum looks a little different than my latest L. equestris:

614_130_1for.jpg



Length of body: 13 mm.

Please, confirm my type :)

Best regards
Grzegorz

_________________
Papers in PDF format: https://www.researchgate.net/profile/Grzegorz_Gierlasinski3
My site: http://heteroptera.entomo.pl


Top
profilo
 Oggetto del messaggio: Re: Is that L. equestris too?
MessaggioInviato: 26/11/2015, 12:49 
Avatar utente

Iscritto il: 31/12/2009, 1:47
Messaggi: 948
Località: Bellano (LC)
Nome: Martino Salvetti
:no:

Spilostethus pandurus (Scopoli, 1763)
:hi:


Top
profilo
 Oggetto del messaggio: Re: Is that L. equestris too?
MessaggioInviato: 26/11/2015, 12:53 
 

Iscritto il: 02/03/2013, 21:22
Messaggi: 271
Nome: Gierlasinski Grzegorz
Thanks :)

My doubts was justified :)

_________________
Papers in PDF format: https://www.researchgate.net/profile/Grzegorz_Gierlasinski3
My site: http://heteroptera.entomo.pl


Top
profilo
Visualizza ultimi messaggi:  Ordina per  
nuovo argomento
rispondi
Pagina 1 di 1 [ 3 messaggi ]

Tutti gli orari sono UTC + 1 ora [ ora legale ]


Chi c’è in linea

Visitano il forum: Nessuno e 5 ospiti


Non puoi aprire nuovi argomenti
Non puoi rispondere negli argomenti
Non puoi modificare i tuoi messaggi
Non puoi cancellare i tuoi messaggi
Non puoi inviare allegati

Cerca per:
Vai a: