Benvenuto Ospite

Forum Entomologi Italiani

www.entomologiitaliani.net/forum
 
Oggi è 21/12/2025, 20:00

Tutti gli orari sono UTC + 1 ora [ ora legale ]

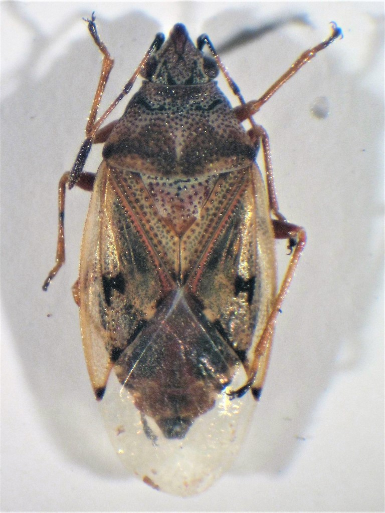
Kleidocerys ericae (Horváth, 1908) (cf.) - Lygaeidae

1.XI.2019 - PORTOGALLO - EE, Azzorre - São Miguel - Furnas


nuovo argomento
rispondi
Pagina 1 di 1 [ 3 messaggi ]
Autore Messaggio
MessaggioInviato: 17/11/2019, 19:34 
Avatar utente

Iscritto il: 23/06/2010, 11:11
Messaggi: 2784
Località: Cagliari
Nome: Gianpaolo Ruzzante
mm 3.5 :hi:


mm 3.5.jpg

Top
profilo
 Oggetto del messaggio: Re: Eterottero
MessaggioInviato: 18/11/2019, 0:06 
Avatar utente

Iscritto il: 31/12/2009, 1:47
Messaggi: 908
Località: Bellano (LC)
Nome: Martino Salvetti
E' sicuramente un Kleydoceris, ma è difficile dire quale. Potrebbe essere il truncatulus, che c'è alle Canarie e Madeira, altrimenti le due specie che ci sono anche sul continente europeo sono K. resedae, presente su diverse piante, e l'ericae, su Erica arborea. Ma qualcuno pensa che si tratti della stessa specie con differenziazioni morfologiche (l'ericae è più piccolo) dovute all'adattamento alla specie ospite.
Su che pianta l'hai raccolto?
Averne uno da vedere de visu sarebbe meglio ;)
:hi:


Top
profilo
 Oggetto del messaggio: Re: Eterottero
MessaggioInviato: 18/11/2019, 11:14 
Avatar utente

Iscritto il: 23/06/2010, 11:11
Messaggi: 2784
Località: Cagliari
Nome: Gianpaolo Ruzzante
marsal ha scritto:
E' sicuramente un Kleydoceris, ma è difficile dire quale. Potrebbe essere il truncatulus, che c'è alle Canarie e Madeira, altrimenti le due specie che ci sono anche sul continente europeo sono K. resedae, presente su diverse piante, e l'ericae, su Erica arborea. Ma qualcuno pensa che si tratti della stessa specie con differenziazioni morfologiche (l'ericae è più piccolo) dovute all'adattamento alla specie ospite.
Su che pianta l'hai raccolto?
Averne uno da vedere de visu sarebbe meglio ;)
:hi:


Grazie Martino,
alle Azzorre viene dato presente solamente il Kleidocerys ericae (Horváth, 1908) ma non si sa mai...
La raccolta per entrambi gli exx è avvenuta fortuitamente, su muretti; l'erica in tutti i casi è presente su tutta l'isola.
I due exx hanno anche allo stereo colorazione molto differenti, ma potrai vederlo personalmente (contattami per MP)
Saluti
Gianpaolo


Top
profilo
Visualizza ultimi messaggi:  Ordina per  
nuovo argomento
rispondi
Pagina 1 di 1 [ 3 messaggi ]

Tutti gli orari sono UTC + 1 ora [ ora legale ]


Chi c’è in linea

Visitano il forum: Nessuno e 1 ospite


Non puoi aprire nuovi argomenti
Non puoi rispondere negli argomenti
Non puoi modificare i tuoi messaggi
Non puoi cancellare i tuoi messaggi
Non puoi inviare allegati

Cerca per:
Vai a: