Benvenuto Ospite

Forum Entomologi Italiani

www.entomologiitaliani.net/forum
 
Oggi è 22/05/2026, 20:27

Tutti gli orari sono UTC + 1 ora [ ora legale ]

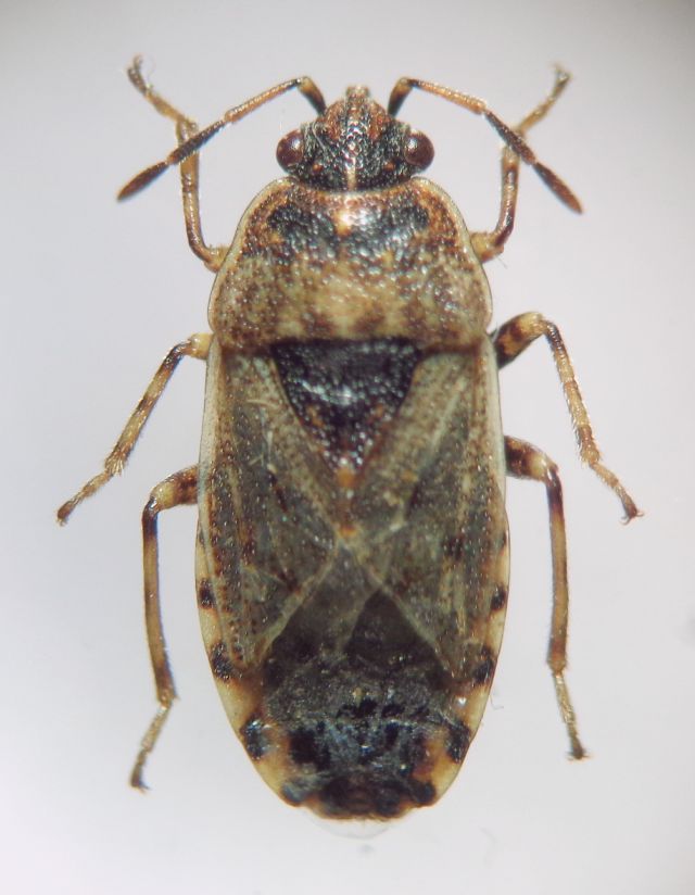
Platyplax salviae (Schilling, 1829) - Lygaeidae

15.VII.2019 - ITALIA - Friuli-Venezia Giulia - GO, dint.Passo di Tanamea, 850 m


nuovo argomento
rispondi
Pagina 1 di 1 [ 3 messaggi ]
Autore Messaggio
MessaggioInviato: 14/03/2020, 21:31 
 

Iscritto il: 08/12/2013, 1:52
Messaggi: 7722
Località: Bagnacavallo (RA)
Nome: Giorgio Pezzi
Credo un Lygaeidae: mm 6. Si riesce a dire la specie? Grazie. :hi:
DSC02279.JPG



DSC02280.JPG

DSC02281.JPG

Top
profilo
 Oggetto del messaggio: Re: Emittero da Id
MessaggioInviato: 15/03/2020, 23:39 
Avatar utente

Iscritto il: 01/11/2009, 9:51
Messaggi: 2332
Nome: Andrea Rattu
Proverei a confrontarlo con Platyplax salviae...

_________________
Se gettassi su di un piatto della bilancia tutto ciò che ho imparato a comprendere in quelle ore di meditazione di fronte all'acquario, e sull'altro tutto ciò che ho ricavato dai libri, come rimarrebbe leggero il secondo!
Konrad Lorenz


Top
profilo
 Oggetto del messaggio: Re: Emittero da Id
MessaggioInviato: 16/03/2020, 19:25 
 

Iscritto il: 08/12/2013, 1:52
Messaggi: 7722
Località: Bagnacavallo (RA)
Nome: Giorgio Pezzi
Oh sì! Sono stato pigro: confrontato con altro materiale di Canale Raccolana (det. Dioli P.). Grazie Andrea. :hi:


Top
profilo
Visualizza ultimi messaggi:  Ordina per  
nuovo argomento
rispondi
Pagina 1 di 1 [ 3 messaggi ]

Tutti gli orari sono UTC + 1 ora [ ora legale ]


Chi c’è in linea

Visitano il forum: Nessuno e 2 ospiti


Non puoi aprire nuovi argomenti
Non puoi rispondere negli argomenti
Non puoi modificare i tuoi messaggi
Non puoi cancellare i tuoi messaggi
Non puoi inviare allegati

Cerca per:
Vai a: