Benvenuto Ospite

Forum Entomologi Italiani

www.entomologiitaliani.net/forum
 
Oggi è 26/03/2026, 18:55

Tutti gli orari sono UTC + 1 ora [ ora legale ]

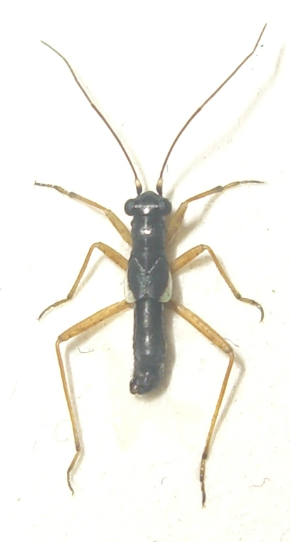
Pithanus maerkelii (Herrich-Schaffer, 1838) ♂ - Miridae - Bovolone (VR)



nuovo argomento
rispondi
Pagina 1 di 1 [ 3 messaggi ]
Autore Messaggio
MessaggioInviato: 11/05/2010, 21:42 
 

Iscritto il: 30/06/2009, 15:17
Messaggi: 331
Località: Bovolone (VR)
Nome: Francesco Sanna
Trovato il 10/05/2010 a Bovolone (VR).
E' possibile identificarlo?

CIMG1187.JPG



Ciao
Francesco


Top
profilo
 Oggetto del messaggio: Re: Eterottero da identificare
MessaggioInviato: 12/05/2010, 8:35 
Avatar utente

Iscritto il: 05/02/2009, 17:36
Messaggi: 780
Nome: Attilio Carapezza
Si può identificare perfettamente; malgrado l'aspetto si tratta di un adulto, in particolare un maschio, di Pithanus maerkelii (Herrich-Schaffer, 1838), Miride dall'aspetto mirmecomorfo, come avviene in diversi gruppi di questa famiglia.


Top
profilo
MessaggioInviato: 13/05/2010, 15:15 
 

Iscritto il: 30/06/2009, 15:17
Messaggi: 331
Località: Bovolone (VR)
Nome: Francesco Sanna
Grazie. :)

Ciao
Francesco


Top
profilo
Visualizza ultimi messaggi:  Ordina per  
nuovo argomento
rispondi
Pagina 1 di 1 [ 3 messaggi ]

Tutti gli orari sono UTC + 1 ora [ ora legale ]


Chi c’è in linea

Visitano il forum: Nessuno e 2 ospiti


Non puoi aprire nuovi argomenti
Non puoi rispondere negli argomenti
Non puoi modificare i tuoi messaggi
Non puoi cancellare i tuoi messaggi
Non puoi inviare allegati

Cerca per:
Vai a: