Benvenuto Ospite

Forum Entomologi Italiani

www.entomologiitaliani.net/forum
 
Oggi è 26/03/2026, 15:46

Tutti gli orari sono UTC + 1 ora [ ora legale ]

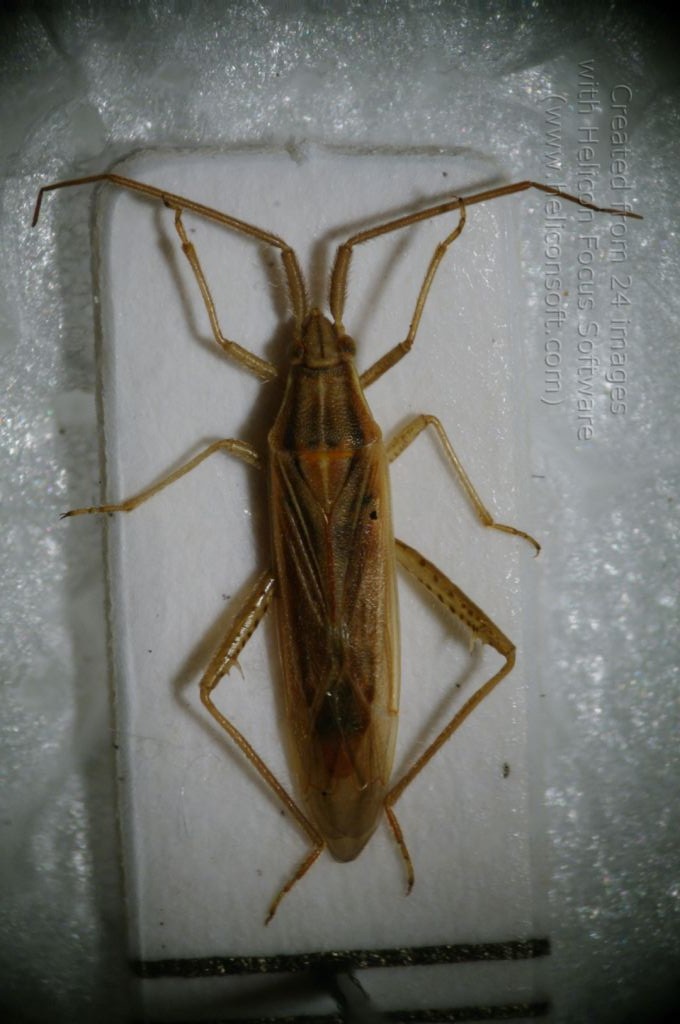
Stenodema ( Brachystira ) calcarata (Fallén, 1807 ) - Miridae

17.X.2017 - ITALIA - Sardegna - CA, Laconi


nuovo argomento
rispondi
Pagina 1 di 1 [ 5 messaggi ]
Autore Messaggio
MessaggioInviato: 05/03/2018, 18:59 
 

Iscritto il: 30/12/2014, 18:57
Messaggi: 1027
Nome: Adriana Lecis
Ciao a tutti! Misura circa 7-8 mm. :roll: :roll: :roll:


2018-02-16 18-25-35 (B,Radius8,Smoothing4).jpg

Top
profilo
 Oggetto del messaggio: Re: determinazione Hemiptera
MessaggioInviato: 06/03/2018, 1:52 
Avatar utente

Iscritto il: 13/06/2015, 13:46
Messaggi: 1681
Località: Milano
Nome: Claudio Leali
La foto è un po' scura, però mi sembra; Megaloceroea recticornis - Miridae.

:hi: Claudio

_________________
"E' ciò che non si vede, non quello che si vede che fa paura."
Christopher Lee


Top
profilo
 Oggetto del messaggio: Re: determinazione Hemiptera
MessaggioInviato: 06/03/2018, 13:22 
 

Iscritto il: 30/12/2014, 18:57
Messaggi: 1027
Nome: Adriana Lecis
Grazie Claudio! Buona giornata! :hi: :hi: :hi: :hi:


Top
profilo
 Oggetto del messaggio: Re: determinazione Hemiptera
MessaggioInviato: 06/03/2018, 22:17 
Avatar utente

Iscritto il: 21/09/2014, 11:55
Messaggi: 1561
Località: Istanbul Turkey
Nome: Barış
Stenodema calcarata


Top
profilo
 Oggetto del messaggio: Re: determinazione Hemiptera
MessaggioInviato: 07/03/2018, 10:19 
 

Iscritto il: 30/12/2014, 18:57
Messaggi: 1027
Nome: Adriana Lecis
Direi che è una Stenodema calcarata, la spina presente nel femore posteriore è molto evidente, grazie Baris 99! :hi: :hi: :hi:


Top
profilo
Visualizza ultimi messaggi:  Ordina per  
nuovo argomento
rispondi
Pagina 1 di 1 [ 5 messaggi ]

Tutti gli orari sono UTC + 1 ora [ ora legale ]


Chi c’è in linea

Visitano il forum: Nessuno e 1 ospite


Non puoi aprire nuovi argomenti
Non puoi rispondere negli argomenti
Non puoi modificare i tuoi messaggi
Non puoi cancellare i tuoi messaggi
Non puoi inviare allegati

Cerca per:
Vai a: