Benvenuto Ospite

Forum Entomologi Italiani

www.entomologiitaliani.net/forum
 
Oggi è 26/03/2026, 22:52

Tutti gli orari sono UTC + 1 ora [ ora legale ]

Horistus (Primihoristus) orientalis (Gmelin, 1790) - Miridae



nuovo argomento
rispondi
Pagina 1 di 1 [ 3 messaggi ]
Autore Messaggio
MessaggioInviato: 04/12/2009, 17:19 
Avatar utente

Iscritto il: 06/02/2009, 8:59
Messaggi: 305
Località: Sassari
Nome: Laura Loru
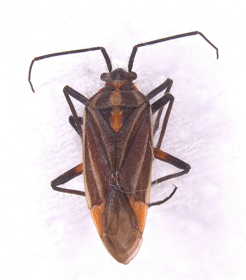
Isola Asinara, Porto Torres (SS) 08/04/2004
Trappola a caduta
Maschio circa 7 mm

E' Horistus (Primihoristus) orientalis?

Grazie Laura
Horistus.jpg



Top
profilo
MessaggioInviato: 05/12/2009, 12:59 
Avatar utente

Iscritto il: 05/02/2009, 17:36
Messaggi: 780
Nome: Attilio Carapezza
La determinazione è corretta: Horistus (Primihoristus) orientalis (Gmelin, 1790); è stato merito dell'eterotterologo belga Frédéric Chérot, in un importante lavoro del 1997, chiarire che le due entità lineolatus e cingulatus, la cui distinzione era spesso problematica, appartenevano in realtà ad un'unica variabilissima specie, caratterizzata da popolazioni spesso molto diverse tra loro.


Top
profilo
MessaggioInviato: 07/12/2009, 22:33 
Avatar utente

Iscritto il: 06/02/2009, 8:59
Messaggi: 305
Località: Sassari
Nome: Laura Loru
Effettivamente sia con il volume della Faune de France che con il Tamanini ho incontrato non poche difficoltà. Alla fine mi sono "buttata" nell'identificazione confrontando il mio esemplare con questo viewtopic.php?f=95&t=2582
Piuttosto Attilio, se potessi darmi il riferimento bibliografico completo del lavoro che citi, te ne sarei grata!

Grazie Laura


Top
profilo
Visualizza ultimi messaggi:  Ordina per  
nuovo argomento
rispondi
Pagina 1 di 1 [ 3 messaggi ]

Tutti gli orari sono UTC + 1 ora [ ora legale ]


Chi c’è in linea

Visitano il forum: Nessuno e 3 ospiti


Non puoi aprire nuovi argomenti
Non puoi rispondere negli argomenti
Non puoi modificare i tuoi messaggi
Non puoi cancellare i tuoi messaggi
Non puoi inviare allegati

Cerca per:
Vai a: