Benvenuto Ospite

Forum Entomologi Italiani

www.entomologiitaliani.net/forum
 
Oggi è 01/02/2026, 11:39

Tutti gli orari sono UTC + 1 ora [ ora legale ]

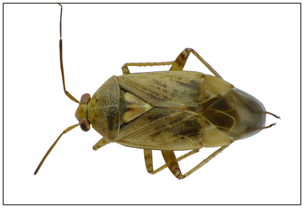
Lygus rugulipennis Poppius, 1911 - Miridae

14.VIII.2015 - POLONIA - EE, Witkowice


nuovo argomento
rispondi
Pagina 1 di 1 [ 3 messaggi ]
Autore Messaggio
MessaggioInviato: 18/11/2015, 13:03 
 

Iscritto il: 02/03/2013, 21:22
Messaggi: 271
Nome: Gierlasinski Grzegorz
Hi,

this mirid looks like L. wagneri, but I am not sure:

575_54 s2 for.jpg


575_54 s1 for.jpg



Length of body: 5,4 mm.

Best regards
Grzegorz

_________________
Papers in PDF format: https://www.researchgate.net/profile/Grzegorz_Gierlasinski3
My site: http://heteroptera.entomo.pl


Top
profilo
 Oggetto del messaggio: Re: Is that L. wagneri?
MessaggioInviato: 19/11/2015, 5:35 
Avatar utente

Iscritto il: 21/09/2014, 11:55
Messaggi: 1561
Località: Istanbul Turkey
Nome: Barış
Miridae: Lygus rugulipennis


Top
profilo
MessaggioInviato: 19/11/2015, 9:51 
 

Iscritto il: 02/03/2013, 21:22
Messaggi: 271
Nome: Gierlasinski Grzegorz
Thanks Baris :)

Yesterday, I was studying a key one more time and I was sure that is not L. wagneri :) And I suspected L. rugulipennis :)

_________________
Papers in PDF format: https://www.researchgate.net/profile/Grzegorz_Gierlasinski3
My site: http://heteroptera.entomo.pl


Top
profilo
Visualizza ultimi messaggi:  Ordina per  
nuovo argomento
rispondi
Pagina 1 di 1 [ 3 messaggi ]

Tutti gli orari sono UTC + 1 ora [ ora legale ]


Chi c’è in linea

Visitano il forum: Nessuno e 2 ospiti


Non puoi aprire nuovi argomenti
Non puoi rispondere negli argomenti
Non puoi modificare i tuoi messaggi
Non puoi cancellare i tuoi messaggi
Non puoi inviare allegati

Cerca per:
Vai a:  
cron