Benvenuto Ospite

Forum Entomologi Italiani

www.entomologiitaliani.net/forum
 
Oggi è 23/03/2026, 23:45

Tutti gli orari sono UTC + 1 ora [ ora legale ]

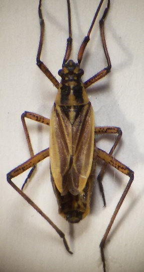
Leptoterna dolabrata (Linnaeus, 1758) - Miridae

27.VI.2016 - ITALIA - Veneto - TV, Liedolo di San Zenone degli Ezzelini -TV-


nuovo argomento
rispondi
Pagina 1 di 1 [ 3 messaggi ]
Autore Messaggio
MessaggioInviato: 01/07/2016, 16:07 
 

Iscritto il: 19/04/2009, 12:09
Messaggi: 355
Nome: stefano tasca
Ciao a tutti,
ho provato a girovagare per il forum, ma non riesco a trovare nulla che torni con questa bestiolina.
Le antenne sono molto più lunghe, non ci stavano nella foto.
Su inflorescenze, attorno ai 10 millimetri, senza antenne.
Grazie
Stefano


20160701_155450.jpg

Top
profilo
 Oggetto del messaggio: Re: Hemiptera
MessaggioInviato: 01/07/2016, 19:34 
Avatar utente

Iscritto il: 03/04/2016, 15:25
Messaggi: 648
Località: Creazzo (VI)
Nome: Giulio Montanaro
Ciao! Io ho degli esemplari simili provenienti dall'altopiano di Asiago, che avevo determinati come Leptoterna dolabrata (Linnaeus, 1758) - Miridae... ma aspetta pareri autorevoli! :oops:

_________________
:hi:

Giulio


Top
profilo
 Oggetto del messaggio: Re: Hemiptera
MessaggioInviato: 02/07/2016, 16:26 
 

Iscritto il: 19/04/2009, 12:09
Messaggi: 355
Nome: stefano tasca
Ciao, perfetto!
Ho visto che l'unica altra specie possibile, L. ferrugata, avrebbe il rapporto tra i segmenti delle antenne diverso.
E' lei.
Grazie Giulio.
Stefano


Top
profilo
Visualizza ultimi messaggi:  Ordina per  
nuovo argomento
rispondi
Pagina 1 di 1 [ 3 messaggi ]

Tutti gli orari sono UTC + 1 ora [ ora legale ]


Chi c’è in linea

Visitano il forum: Nessuno e 1 ospite


Non puoi aprire nuovi argomenti
Non puoi rispondere negli argomenti
Non puoi modificare i tuoi messaggi
Non puoi cancellare i tuoi messaggi
Non puoi inviare allegati

Cerca per:
Vai a: