Benvenuto Ospite

Forum Entomologi Italiani

www.entomologiitaliani.net/forum
 
Oggi è 20/03/2026, 11:39

Tutti gli orari sono UTC + 1 ora [ ora legale ]

Adelphocoris insignis Horvath, 1898 - Miridae

18.VII.2016 - TURCHIA - EE, Karaman


nuovo argomento
rispondi
Pagina 1 di 1 [ 4 messaggi ]
Autore Messaggio
MessaggioInviato: 25/05/2017, 16:38 
Avatar utente

Iscritto il: 21/09/2014, 11:55
Messaggi: 1561
Località: Istanbul Turkey
Nome: Barış
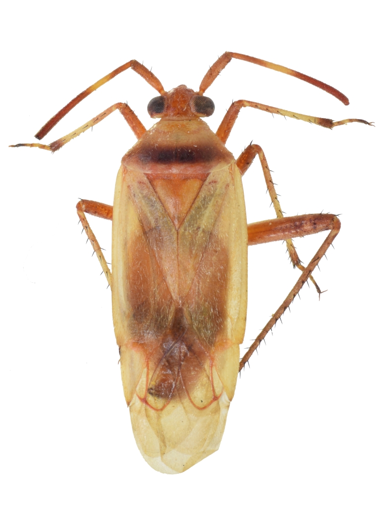
It was among a series of A. insignis specimens. It distinguishes from A. insignis specimens with its smaller size ( only 7 mm) and the dark band on the posterior part of the pronotum. I couldn't see any difference in the male genitalia...


The specimen in the left is a normal A. insignis.
Adelphocoris sp6.jpg

Adelphocoris sp5.jpg

Top
profilo
MessaggioInviato: 31/05/2017, 18:54 
Avatar utente

Iscritto il: 21/09/2014, 11:55
Messaggi: 1561
Località: Istanbul Turkey
Nome: Barış
Male genitalia


Adelphocoris genitalia3.jpg

Adelphocoris genitalia2.jpg

Adelphocoris genitalia.jpg

Top
profilo
MessaggioInviato: 01/06/2017, 19:51 
Avatar utente

Iscritto il: 05/02/2009, 17:36
Messaggi: 780
Nome: Attilio Carapezza
It is just a small specimen of A. insignis, as confirmed by the male genitalia; the coloration is a bit unusual, but not surprising considering that a dark preapical band is a common feature in the genus.


Top
profilo
MessaggioInviato: 01/06/2017, 20:55 
Avatar utente

Iscritto il: 21/09/2014, 11:55
Messaggi: 1561
Località: Istanbul Turkey
Nome: Barış
Thank you alot for the confirmation, it is rather interesting that such a black band can occur in A. insignis since the absence of this feature is used to differentiate it from other species.


Top
profilo
Visualizza ultimi messaggi:  Ordina per  
nuovo argomento
rispondi
Pagina 1 di 1 [ 4 messaggi ]

Tutti gli orari sono UTC + 1 ora [ ora legale ]


Chi c’è in linea

Visitano il forum: Nessuno e 5 ospiti


Non puoi aprire nuovi argomenti
Non puoi rispondere negli argomenti
Non puoi modificare i tuoi messaggi
Non puoi cancellare i tuoi messaggi
Non puoi inviare allegati

Cerca per:
Vai a: