Benvenuto Ospite

Forum Entomologi Italiani

www.entomologiitaliani.net/forum
 
Oggi è 27/03/2026, 18:00

Tutti gli orari sono UTC + 1 ora [ ora legale ]

Deraeocoris (Camptobrochis) serenus D. & Sc.,1868 (Miridae)



nuovo argomento
rispondi
Pagina 1 di 1 [ 4 messaggi ]
Autore Messaggio
MessaggioInviato: 06/04/2009, 23:50 
Avatar utente

Iscritto il: 05/02/2009, 17:25
Messaggi: 4894
Località: Zola Predosa (BO)
Nome: Loris Colacurcio
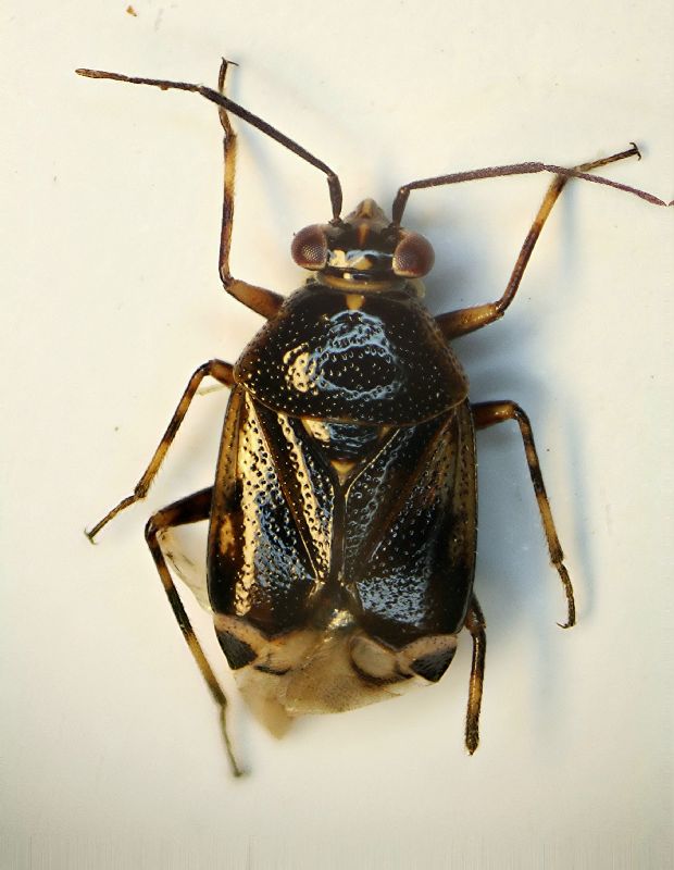
Sasso Marconi (BO) - P.zzo Rossi - 05.IV.2009

A sfalcio...pensavo di averlo rovinato io, me invece è proprio con quest'aspetto "tagliato" :lol:

Loris

Heterottero sfalcio 03.jpg


_________________
Loris


Top
profilo
 Oggetto del messaggio: Re: Heterottero troncato
MessaggioInviato: 07/04/2009, 23:27 
Avatar utente

Iscritto il: 06/02/2009, 9:15
Messaggi: 1468
Località: Vigevano PV
Nome: Danilo Mario Piccolino
:( Bah ! mi fermo solo alla famiglia: Miridae ( e spero di non toppare clamorosamente )

:)

_________________
Danilo


Top
profilo
 Oggetto del messaggio: Re: Heterottero troncato
MessaggioInviato: 08/04/2009, 11:11 
Avatar utente

Iscritto il: 06/02/2009, 8:59
Messaggi: 305
Località: Sassari
Nome: Laura Loru
halobates ha scritto:
:( Bah ! mi fermo solo alla famiglia: Miridae ( e spero di non toppare clamorosamente )

:)

Beh, i miridi si riconoscono per la presenza di due, talvolta una, celle nella membrana emilelitrale. In questo esemplare si distinguono appena :? .
Ad ogni modo, ammesso che di miride si tratti direi che il nostro amico ha una faccia da Deraecoris o quantomeno da Deraeocorinae :roll:
Oltre non vado :?

Ciao Laura


Top
profilo
 Oggetto del messaggio: Re: Heterottero troncato
MessaggioInviato: 08/04/2009, 17:01 
Avatar utente

Iscritto il: 05/02/2009, 17:34
Messaggi: 894
Località: Sondrio - Lombardia - Italia
Nome: Paride Dioli
Deraeocoris (Camptobrochis) serenus Douglas & Scott, 1868.
L'affine D.punctulatus (che assomiglia alle forme scure di D.serenus) è considerato estraneo alla fauna italiana.

_________________
Link: https://www.ndsu.edu/pubweb/~rider/Pentatomoidea/Researchers/Dioli_Paride.htm
Papers in PDF format: https://www.researchgate.net/profile/Paride_Dioli/?ev=hdr_xprf/


Top
profilo
Visualizza ultimi messaggi:  Ordina per  
nuovo argomento
rispondi
Pagina 1 di 1 [ 4 messaggi ]

Tutti gli orari sono UTC + 1 ora [ ora legale ]


Chi c’è in linea

Visitano il forum: Nessuno e 3 ospiti


Non puoi aprire nuovi argomenti
Non puoi rispondere negli argomenti
Non puoi modificare i tuoi messaggi
Non puoi cancellare i tuoi messaggi
Non puoi inviare allegati

Cerca per:
Vai a: