Benvenuto Ospite

Forum Entomologi Italiani

www.entomologiitaliani.net/forum
 
Oggi è 12/12/2025, 15:34

Tutti gli orari sono UTC + 1 ora [ ora legale ]

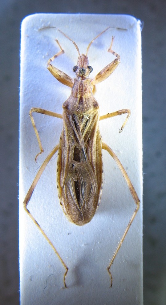
Oncocephalus pilicornis Reuter 1882, Reduviidae Marocco



nuovo argomento
rispondi
Pagina 1 di 1 [ 1 messaggio ]
Autore Messaggio
MessaggioInviato: 08/02/2009, 22:27 
Avatar utente

Iscritto il: 04/02/2009, 17:49
Messaggi: 5514
Località: Cagliari
Nome: Daniele Sechi
Marocco, Taza, 22/VI/1998 legit D.Sechi

IMG_4776.jpg



Cita:
(Dioli,31/12/2008, 02:23)
E' sempre un Oncocephalus pilicornis Reuter 1882

_________________
:hi:
Daniele


Top
profilo
Visualizza ultimi messaggi:  Ordina per  
nuovo argomento
rispondi
Pagina 1 di 1 [ 1 messaggio ]

Tutti gli orari sono UTC + 1 ora [ ora legale ]


Chi c’è in linea

Visitano il forum: Nessuno e 3 ospiti


Non puoi aprire nuovi argomenti
Non puoi rispondere negli argomenti
Non puoi modificare i tuoi messaggi
Non puoi cancellare i tuoi messaggi
Non puoi inviare allegati

Cerca per:
Vai a: