Benvenuto Ospite

Forum Entomologi Italiani

www.entomologiitaliani.net/forum
 
Oggi è 15/05/2026, 16:23

Tutti gli orari sono UTC + 1 ora [ ora legale ]

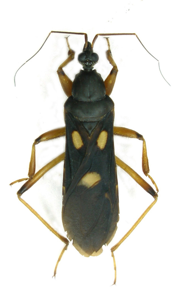
Ectomocoris maculicrus (Fairmaire, 1858) - Reduviidae - Zambia

14.XII.2008 - ZAMBIA - EE, Zambia, Western Province: 18 km W Kaoma, 1167m, 7/14.XII.2008


nuovo argomento
rispondi
Pagina 1 di 1 [ 6 messaggi ]
Autore Messaggio
MessaggioInviato: 15/03/2011, 19:13 
Avatar utente

Iscritto il: 05/09/2009, 7:56
Messaggi: 3445
Località: Cesena
Nome: Gianfranco Sama
Hemiptera da determinare
Lunghezza 24
Hemiptera 3  Zambia_2008_Kaoma 008.jpg

mm
Zambia, Western province: 18 km W Kaoma, 1167m, 7/14.XII.2008, alla luce

_________________
Gianfranco Sama

"Benedetto colui che ti aiuta a correggere i tuoi errori invece di scagliarteli contro"
___________________________________
Gershom Sholem


Top
profilo
 Oggetto del messaggio: Re: Hemiptera - 3
MessaggioInviato: 15/03/2011, 19:40 
Avatar utente

Iscritto il: 06/02/2009, 9:07
Messaggi: 1706
Località: W-Mediterraneo
Nome: Davide Badano
Reduviidae


Top
profilo
 Oggetto del messaggio: Re: Hemiptera - 3
MessaggioInviato: 04/04/2011, 23:22 
 

Iscritto il: 09/06/2010, 16:41
Messaggi: 3
Nome: a
All are Peiratinae maybe Peirates?
If you have access try to check http://www.ingentaconnect.com/content/b ... 1/art00003


Top
profilo
 Oggetto del messaggio: Re: Hemiptera - 3
MessaggioInviato: 05/04/2011, 8:08 
Avatar utente

Iscritto il: 05/09/2009, 7:56
Messaggi: 3445
Località: Cesena
Nome: Gianfranco Sama
hetero ha scritto:
All are Peiratinae maybe Peirates?
If you have access try to check http://www.ingentaconnect.com/content/b ... 1/art00003

Thanks, but, sorry, no access to Ingenta for me :ok:

_________________
Gianfranco Sama

"Benedetto colui che ti aiuta a correggere i tuoi errori invece di scagliarteli contro"
___________________________________
Gershom Sholem


Top
profilo
 Oggetto del messaggio: Re: Hemiptera - 3
MessaggioInviato: 26/04/2011, 17:24 
Avatar utente

Iscritto il: 05/02/2009, 17:34
Messaggi: 894
Località: Sondrio - Lombardia - Italia
Nome: Paride Dioli
Scusandomi per il ritardo nell'esame dei reduvidi africani pubblicati sul forum, incomincio da questo esemplare appartenente alla specie Ectomocoris maculicrus (Fairmaire, 1858), un taxon molto variabile, talora con raddoppio delle due macchie del corio anche sul clavo negli esemplari più chiari (typus di E.flavopustulatus Stal).
Presnte in Guinea, Sierra Leone, Costa d'Avorio, Cameroun, Zaire, Angola ecc., in pratica tutta l'Africa intertropicale.

_________________
Link: https://www.ndsu.edu/pubweb/~rider/Pentatomoidea/Researchers/Dioli_Paride.htm
Papers in PDF format: https://www.researchgate.net/profile/Paride_Dioli/?ev=hdr_xprf/


Top
profilo
 Oggetto del messaggio: Re: Hemiptera - 3
MessaggioInviato: 26/04/2011, 17:42 
Avatar utente

Iscritto il: 05/09/2009, 7:56
Messaggi: 3445
Località: Cesena
Nome: Gianfranco Sama
Grazie anche per questo :ok:

_________________
Gianfranco Sama

"Benedetto colui che ti aiuta a correggere i tuoi errori invece di scagliarteli contro"
___________________________________
Gershom Sholem


Top
profilo
Visualizza ultimi messaggi:  Ordina per  
nuovo argomento
rispondi
Pagina 1 di 1 [ 6 messaggi ]

Tutti gli orari sono UTC + 1 ora [ ora legale ]


Chi c’è in linea

Visitano il forum: Nessuno e 3 ospiti


Non puoi aprire nuovi argomenti
Non puoi rispondere negli argomenti
Non puoi modificare i tuoi messaggi
Non puoi cancellare i tuoi messaggi
Non puoi inviare allegati

Cerca per:
Vai a: