Benvenuto Ospite

Forum Entomologi Italiani

www.entomologiitaliani.net/forum
 
Oggi è 30/03/2026, 10:38

Tutti gli orari sono UTC + 1 ora [ ora legale ]

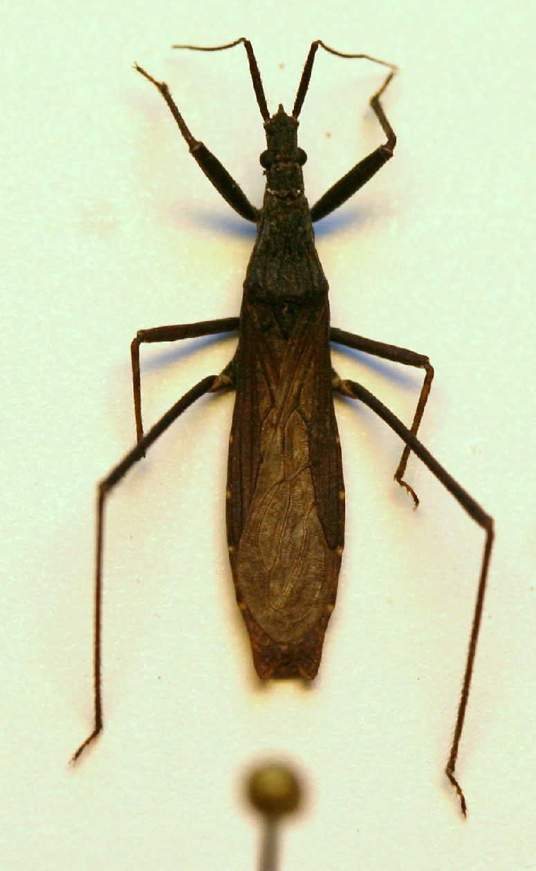
Pygolampis bidentata (Goeze, 1778) - Reduviidae

7.VII.2011 - ITALIA - Emilia-Romagna - BO, Sasso Marconi - Palazzo Rossi


nuovo argomento
rispondi
Pagina 1 di 1 [ 3 messaggi ]
Autore Messaggio
MessaggioInviato: 08/08/2011, 22:44 
Avatar utente

Iscritto il: 05/02/2009, 17:25
Messaggi: 4894
Località: Zola Predosa (BO)
Nome: Loris Colacurcio
Altra bestiola da lampada, in questo caso si tratta di un qualche heterottero che mi ha subito colpito per la forma; non sono riuscito a capire se si tratta di una specie acquatica o meno...azi non sono riuscito a capire alcunché ! :oops:

Lunghezza: 13 mm. circa

Heterottero 13mm P.Rossi 07.7.11.JPG


_________________
Loris


Top
profilo
MessaggioInviato: 08/08/2011, 22:46 
Avatar utente

Iscritto il: 06/02/2009, 9:07
Messaggi: 1706
Località: W-Mediterraneo
Nome: Davide Badano
E' un ben terrestre Reduvide!

Pygolampis bidentata (Goeze, 1778)

:hi:


Top
profilo
MessaggioInviato: 08/08/2011, 23:01 
Avatar utente

Iscritto il: 17/02/2009, 0:05
Messaggi: 8524
Località: Isola d'Elba - Arcipelago Toscano
Nome: Leonardo Forbicioni
Bellissima bestiola!!! ;)
Mai trovata.......ma la troverò!! :mrgreen: :mrgreen:

_________________
"Stay hungry, stay foolish".
Steve Jobs, 2005
___________________
jjuniper8(at)gmail.com
Twitter: @weevil_forbix
cell. 339/5275910
___________________


Top
profilo
Visualizza ultimi messaggi:  Ordina per  
nuovo argomento
rispondi
Pagina 1 di 1 [ 3 messaggi ]

Tutti gli orari sono UTC + 1 ora [ ora legale ]


Chi c’è in linea

Visitano il forum: Nessuno e 1 ospite


Non puoi aprire nuovi argomenti
Non puoi rispondere negli argomenti
Non puoi modificare i tuoi messaggi
Non puoi cancellare i tuoi messaggi
Non puoi inviare allegati

Cerca per:
Vai a: