Benvenuto Ospite

Forum Entomologi Italiani

www.entomologiitaliani.net/forum
 
Oggi è 26/03/2026, 10:49

Tutti gli orari sono UTC + 1 ora [ ora legale ]

Oncocephalus squalidus (Rossi 1790), Reduviidae Sardegna



nuovo argomento
rispondi
Pagina 1 di 1 [ 6 messaggi ]
Autore Messaggio
MessaggioInviato: 08/02/2009, 22:29 
Avatar utente

Iscritto il: 04/02/2009, 17:49
Messaggi: 5557
Località: Cagliari
Nome: Daniele Sechi
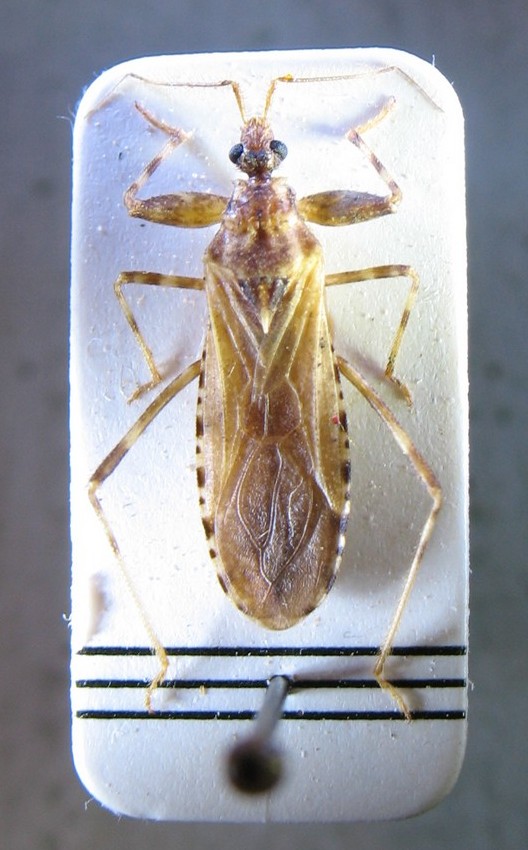
Sardegna (CA) Guspini loc. Sedda Orbadas m.200, 9/IV/1995 legit D.Sechi
Lunghezza 12 mm

IMG_4774.jpg



Cita:
(Dioli,31/12/2008, 02:29)
Oncocephalus squalidus (Rossi 1790).
Si osservi l'assenza di macchie scure sulla membrana e il colore dei connexivi, con punteggiature e linee.

_________________
:hi:
Daniele


Top
profilo
MessaggioInviato: 20/09/2009, 21:31 
Avatar utente

Iscritto il: 05/02/2009, 17:25
Messaggi: 4894
Località: Zola Predosa (BO)
Nome: Loris Colacurcio
Questa bestiola l'ho trovata voltando un'asse di legno dimenticata in mezzo al prato.

Sasso Marconi (BO) - Palazzo Rossi 12.IX.2009

E' un predatore, presumo....

Heterottero 01new.JPG


_________________
Loris


Top
profilo
 Oggetto del messaggio: Re: Heterottero predatore
MessaggioInviato: 21/09/2009, 12:17 
Avatar utente

Iscritto il: 05/02/2009, 17:36
Messaggi: 780
Nome: Attilio Carapezza
Che si tratti di un predatore è un'intuizione corretta: Oncocephalus squalidus (Rossi, 1790), Reduviidae che vive sul terreno e che si rinviene spesso sotto le pietre o altri ripari, soprattutto nei mesi invernali; è anche attratto dalle luci artificiali e a volte capita di vederne sui muri delle case di campagna attorno alle lampade esterne. Appartiene a un genere ricchissimo di specie nelle regioni aride.


Top
profilo
 Oggetto del messaggio: Re: Heterottero predatore
MessaggioInviato: 21/09/2009, 12:23 
Avatar utente

Iscritto il: 05/02/2009, 17:25
Messaggi: 4894
Località: Zola Predosa (BO)
Nome: Loris Colacurcio
Grazie mille, come sempre, per la cortese determinazione... :hi:

Loris

_________________
Loris


Top
profilo
MessaggioInviato: 23/09/2009, 19:42 
Amministratore
Avatar utente

Iscritto il: 02/02/2009, 23:30
Messaggi: 7106
Località: Capaci (Pa)
Nome: Marcello Romano
Nel riunire queste due discussioni, inserite in tempi diversi e riguardanti la stessa specie, non posso però non notare alcune evidenti differenze morfologiche fra i due esemplari postati.
Si tratta, per caso, di dimorfismo sessuale?

_________________
:hi: Marcello Romano


Top
profilo
MessaggioInviato: 18/02/2010, 0:13 
Avatar utente

Iscritto il: 05/02/2009, 17:34
Messaggi: 894
Località: Sondrio - Lombardia - Italia
Nome: Paride Dioli
Un carattere esterno abbastanza costante che mi sento di accreditare come identificativo della specie (non segnalato nelle chiavi classiche dei Reduviidae) è costituito dalla serie di puntini neri, ben distinti, al centro dei paratergiti cioè lungo il bordo esterno dell'addome.

_________________
Link: https://www.ndsu.edu/pubweb/~rider/Pentatomoidea/Researchers/Dioli_Paride.htm
Papers in PDF format: https://www.researchgate.net/profile/Paride_Dioli/?ev=hdr_xprf/


Top
profilo
Visualizza ultimi messaggi:  Ordina per  
nuovo argomento
rispondi
Pagina 1 di 1 [ 6 messaggi ]

Tutti gli orari sono UTC + 1 ora [ ora legale ]


Chi c’è in linea

Visitano il forum: Nessuno e 2 ospiti


Non puoi aprire nuovi argomenti
Non puoi rispondere negli argomenti
Non puoi modificare i tuoi messaggi
Non puoi cancellare i tuoi messaggi
Non puoi inviare allegati

Cerca per:
Vai a: