Benvenuto Ospite

Forum Entomologi Italiani

www.entomologiitaliani.net/forum
 
Oggi è 27/03/2026, 23:18

Tutti gli orari sono UTC + 1 ora [ ora legale ]

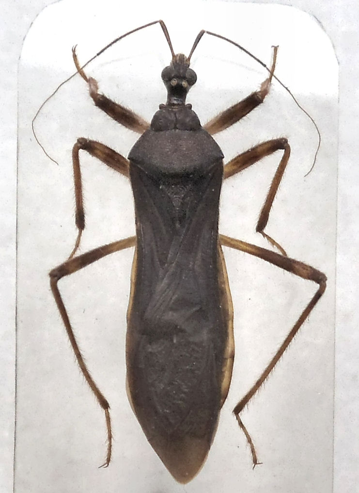
Reduviide sp.

7.I.1991 - TANZANIA, REPUBBLICA UNITA DI - EE, Serengeti, Seronera lodge


nuovo argomento
rispondi
Pagina 1 di 1 [ 1 messaggio ]
Autore Messaggio
 Oggetto del messaggio: Reduviide sp.
MessaggioInviato: 24/03/2014, 10:01 
 

Iscritto il: 08/12/2013, 1:52
Messaggi: 7683
Località: Bagnacavallo (RA)
Nome: Giorgio Pezzi
Ho alcuni exx di questa famiglia (forse alcuni sono Nabidae) per la gioia di Paride & C.. Ecco la prima specie: mm 19, angoli post del torace molto acuti e scutello ad apice spinifome e rivolto in alto, con alcuni peluzzi.
:hi:
reduv seronera prof.jpg



reduv seronera.jpg

Top
profilo
Visualizza ultimi messaggi:  Ordina per  
nuovo argomento
rispondi
Pagina 1 di 1 [ 1 messaggio ]

Tutti gli orari sono UTC + 1 ora [ ora legale ]


Chi c’è in linea

Visitano il forum: Nessuno e 4 ospiti


Non puoi aprire nuovi argomenti
Non puoi rispondere negli argomenti
Non puoi modificare i tuoi messaggi
Non puoi cancellare i tuoi messaggi
Non puoi inviare allegati

Cerca per:
Vai a: