Benvenuto Ospite

Forum Entomologi Italiani

www.entomologiitaliani.net/forum
 
Oggi è 27/03/2026, 16:33

Tutti gli orari sono UTC + 1 ora [ ora legale ]

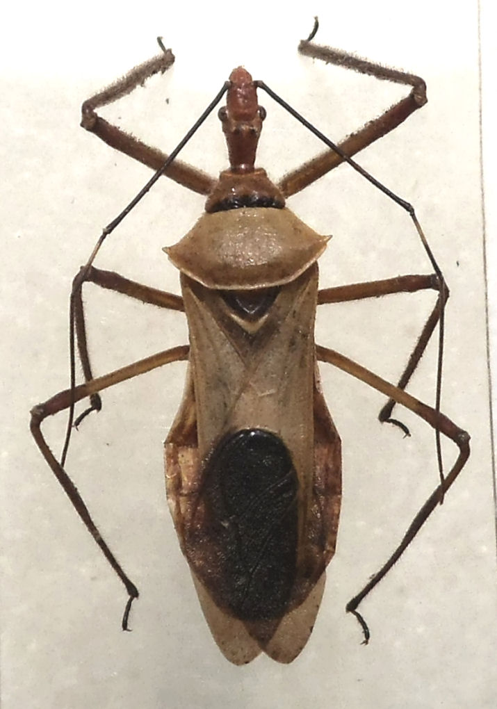
Reduviide sp.

21.VII.1995 - VENEZUELA - EE, E.do Miranda, PN Guatopo


nuovo argomento
rispondi
Pagina 1 di 1 [ 1 messaggio ]
Autore Messaggio
 Oggetto del messaggio: Reduviide sp.
MessaggioInviato: 25/03/2014, 10:01 
 

Iscritto il: 08/12/2013, 1:52
Messaggi: 7683
Località: Bagnacavallo (RA)
Nome: Giorgio Pezzi
mm 16 :hi:
reduv di profilo.jpg



reduvide guatopo 2.jpg

Top
profilo
Visualizza ultimi messaggi:  Ordina per  
nuovo argomento
rispondi
Pagina 1 di 1 [ 1 messaggio ]

Tutti gli orari sono UTC + 1 ora [ ora legale ]


Chi c’è in linea

Visitano il forum: Nessuno e 1 ospite


Non puoi aprire nuovi argomenti
Non puoi rispondere negli argomenti
Non puoi modificare i tuoi messaggi
Non puoi cancellare i tuoi messaggi
Non puoi inviare allegati

Cerca per:
Vai a: