Benvenuto Ospite

Forum Entomologi Italiani

www.entomologiitaliani.net/forum
 
Oggi è 22/04/2026, 18:59

Tutti gli orari sono UTC + 1 ora [ ora legale ]

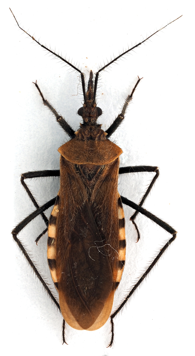
Holotrichius denudatus A. Costa, 1842 - Reduviidae

31.V.2015 - ITALIA - Abruzzo - PE, Colle della Cività, Roccamorice


nuovo argomento
rispondi
Pagina 1 di 1 [ 4 messaggi ]
Autore Messaggio
MessaggioInviato: 20/08/2015, 20:18 
Avatar utente

Iscritto il: 10/05/2009, 15:30
Messaggi: 7183
Località: Ancona
Nome: Giacomo Giovagnoli
Holotrichius denudatus A. Costa, 1842

Colle della Cività, Roccamorice (Pescara); 31.V.2015.

Trovati nel bellissimo week-end trascorso da Alessio (Alessio89)!!! :lov2: :lov1:

[grazie zio per le foto!!! :birra: ]

Maschio; dimensioni: 17mm (dal rostro)
Comb1706_11zF8cr.jpg


Comb1707_20zF8c.jpg


Comb1708_33zF8cr.jpg


Comb1709_28zF3cr.jpg


Comb1710_39zF3cr.jpg



Femmina; dimensioni: 18mm (dal rostro)
Comb1701_13zF8cr.jpg


Comb1702_29zF8cr.jpg


Comb1703_56zF8cr.jpg


Comb1704_72zF8cr.jpg


Comb1705_51zF8cr.jpg



Ciao :)

_________________
Immagine Giacomo


Top
profilo
MessaggioInviato: 21/08/2015, 13:56 
 

Iscritto il: 10/07/2010, 14:42
Messaggi: 4869
Nome: Giuseppe Pace
Bellissime foto che mettono in evidenza moltissimi particolari.
Specialmente del maschio che ancora non conosco direttamente.
:ok:

Ciao
Giuseppe


Top
profilo
MessaggioInviato: 21/08/2015, 18:49 
Avatar utente

Iscritto il: 23/06/2010, 19:05
Messaggi: 2591
Località: Pescara
Nome: Alessio Morelli
giuseppe55 ha scritto:
Bellissime foto che mettono in evidenza moltissimi particolari.

Quoto :ok: . Ancora complimenti allo zio fotografo :birra: .

Le foto mettono in evidenza anche lo spaventoso rostro, con cui, per fortuna, l'insetto non mi ha punto :mrgreen: .


Top
profilo
MessaggioInviato: 24/08/2015, 16:06 
Avatar utente

Iscritto il: 31/12/2009, 1:47
Messaggi: 952
Località: Bellano (LC)
Nome: Martino Salvetti
mi associo ai complimenti, davvero bella bestia e belle foto :ok:


Top
profilo
Visualizza ultimi messaggi:  Ordina per  
nuovo argomento
rispondi
Pagina 1 di 1 [ 4 messaggi ]

Tutti gli orari sono UTC + 1 ora [ ora legale ]


Chi c’è in linea

Visitano il forum: Nessuno e 1 ospite


Non puoi aprire nuovi argomenti
Non puoi rispondere negli argomenti
Non puoi modificare i tuoi messaggi
Non puoi cancellare i tuoi messaggi
Non puoi inviare allegati

Cerca per:
Vai a: