Benvenuto Ospite

Forum Entomologi Italiani

www.entomologiitaliani.net/forum
 
Oggi è 31/01/2026, 13:12

Tutti gli orari sono UTC + 1 ora [ ora legale ]

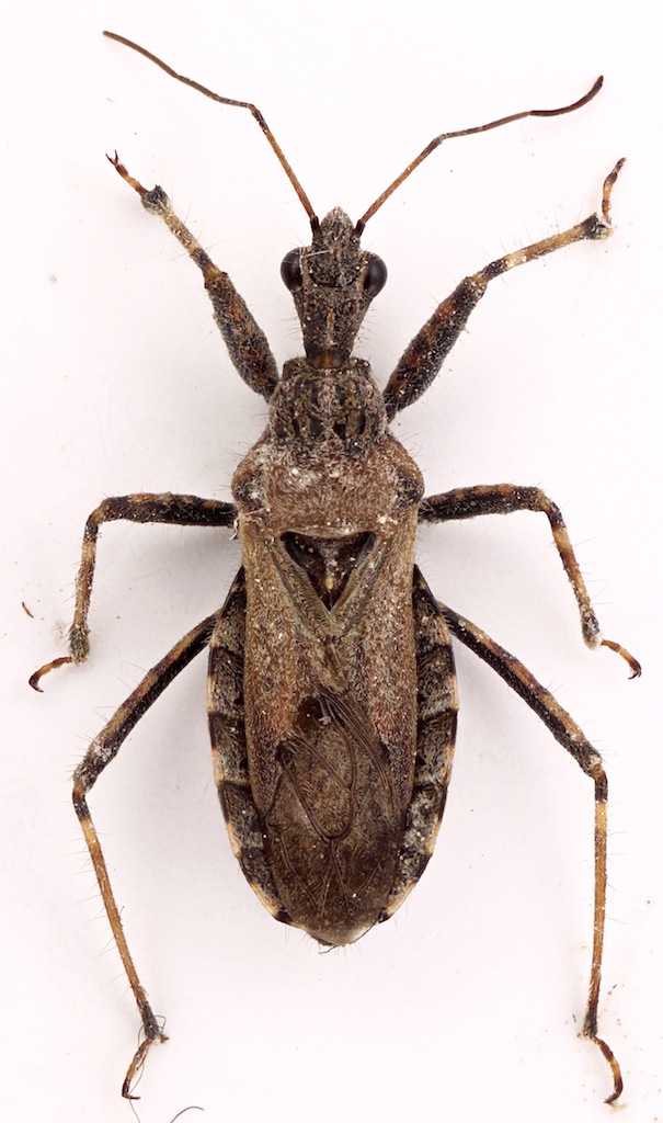
Coranus (Coranus) kerzhneri P.V. Putshkov, 1982 - Reduviidae Harpactorinae Harpactorini

16.X.2015 - ITALIA - Toscana - FI, Località Le Fonti,scandicci


nuovo argomento
rispondi
Pagina 1 di 1 [ 5 messaggi ]
Autore Messaggio
MessaggioInviato: 25/10/2015, 19:08 
Avatar utente

Iscritto il: 21/04/2015, 21:43
Messaggi: 413
Località: Firenze
Nome: Lorenzo Pancini
Ciao :hi:
Trovato in giardino.
Misura: 11 mm
Mi sembra Coranus kerzhneri :roll:
Grazie per un aiuto...


2015-10-25-11_Fotor.jpg


_________________
Lorenzo
Top
profilo
 Oggetto del messaggio: Re: Reduviidae sp.
MessaggioInviato: 25/10/2015, 19:12 
Avatar utente

Iscritto il: 21/09/2014, 11:55
Messaggi: 1561
Località: Istanbul Turkey
Nome: Barış
Lateral view please ? :)


Top
profilo
 Oggetto del messaggio: Re: Reduviidae sp.
MessaggioInviato: 25/10/2015, 22:02 
Avatar utente

Iscritto il: 21/04/2015, 21:43
Messaggi: 413
Località: Firenze
Nome: Lorenzo Pancini
:hi:


2015-10-25-20_Fotor.jpg


_________________
Lorenzo
Top
profilo
 Oggetto del messaggio: Re: Reduviidae sp.
MessaggioInviato: 26/10/2015, 4:50 
Avatar utente

Iscritto il: 21/09/2014, 11:55
Messaggi: 1561
Località: Istanbul Turkey
Nome: Barış
I agree. :)


Top
profilo
 Oggetto del messaggio: Re: Reduviidae sp.
MessaggioInviato: 26/10/2015, 7:37 
Avatar utente

Iscritto il: 21/04/2015, 21:43
Messaggi: 413
Località: Firenze
Nome: Lorenzo Pancini
Thank's :hi:

_________________
Lorenzo


Top
profilo
Visualizza ultimi messaggi:  Ordina per  
nuovo argomento
rispondi
Pagina 1 di 1 [ 5 messaggi ]

Tutti gli orari sono UTC + 1 ora [ ora legale ]


Chi c’è in linea

Visitano il forum: Nessuno e 4 ospiti


Non puoi aprire nuovi argomenti
Non puoi rispondere negli argomenti
Non puoi modificare i tuoi messaggi
Non puoi cancellare i tuoi messaggi
Non puoi inviare allegati

Cerca per:
Vai a: