Benvenuto Ospite

Forum Entomologi Italiani

www.entomologiitaliani.net/forum
 
Oggi è 30/03/2026, 1:07

Tutti gli orari sono UTC + 1 ora [ ora legale ]

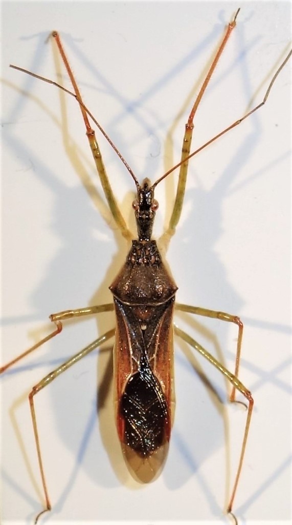
Zelus renardii (Kolenati, 1856) (cf.) - Reduviidae

21.III.2019 - GRECIA - EE, Isole Ionie - Kefalonia - Sami dintorni - G.Ruzzante legit


nuovo argomento
rispondi
Pagina 1 di 1 [ 3 messaggi ]
Autore Messaggio
MessaggioInviato: 26/05/2019, 11:57 
Avatar utente

Iscritto il: 23/06/2010, 11:11
Messaggi: 2784
Località: Cagliari
Nome: Gianpaolo Ruzzante
mm 13 :hi:


DSC02527.JPG

Top
profilo
 Oggetto del messaggio: Re: Reduviidae ?
MessaggioInviato: 26/05/2019, 12:03 
Avatar utente

Iscritto il: 19/06/2012, 14:35
Messaggi: 5666
Località: Alfonsine (RA)
Nome: Marco Villani
Sembra il nostro Zelus renardii Kolenati, 1856.
Marco :hi:


Top
profilo
 Oggetto del messaggio: Re: Reduviidae ?
MessaggioInviato: 26/05/2019, 15:34 
Avatar utente

Iscritto il: 23/06/2010, 11:11
Messaggi: 2784
Località: Cagliari
Nome: Gianpaolo Ruzzante
marco villa ha scritto:
Sembra il nostro Zelus renardii Kolenati, 1856.
Marco :hi:

Grazie Marco, Semrerebbe proprio lei :hi:


Top
profilo
Visualizza ultimi messaggi:  Ordina per  
nuovo argomento
rispondi
Pagina 1 di 1 [ 3 messaggi ]

Tutti gli orari sono UTC + 1 ora [ ora legale ]


Chi c’è in linea

Visitano il forum: Nessuno e 3 ospiti


Non puoi aprire nuovi argomenti
Non puoi rispondere negli argomenti
Non puoi modificare i tuoi messaggi
Non puoi cancellare i tuoi messaggi
Non puoi inviare allegati

Cerca per:
Vai a:  
cron