| Forum Entomologi Italiani https://www.entomologiitaliani.net/public/forum/phpBB3/ |
|
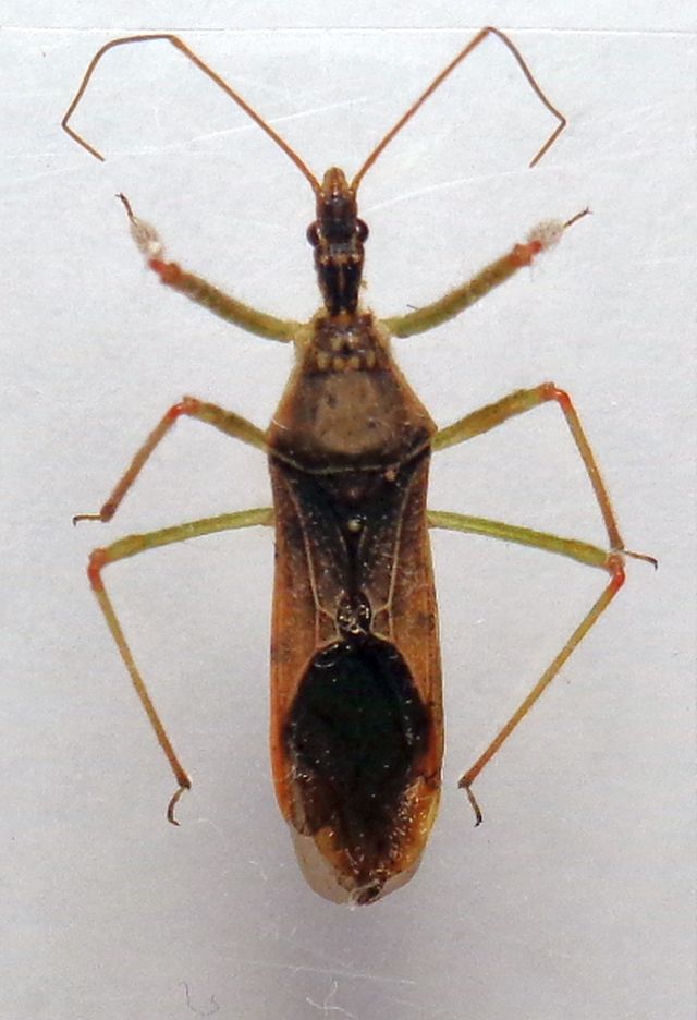
| Zelus renardii Kolenati, 1856 - Reduviidae Harpactorini https://www.entomologiitaliani.net/public/forum/phpBB3/viewtopic.php?f=96&t=98493 |
Pagina 1 di 1 |
| Autore: | Chalybion [ 29/04/2022, 22:28 ] | ||
| Oggetto del messaggio: | Zelus renardii Kolenati, 1856 - Reduviidae Harpactorini | ||
L'esemplare รจ quello di questo topic https://www.naturamediterraneo.com/foru ... _ID=339431 gentilmente donatomi da Sergio e che dovrebbe essere la prima documentazione in Romagna della specie, a meno che qualcuno mi smentisca. Leg. Sergio Melandri di Mezzano (RA). ![]()
|
|||
| Pagina 1 di 1 | Tutti gli orari sono UTC + 1 ora [ ora legale ] |
| Powered by phpBB® Forum Software © phpBB Group http://www.phpbb.com/ |
|