| Forum Entomologi Italiani https://www.entomologiitaliani.net/public/forum/phpBB3/ |
|
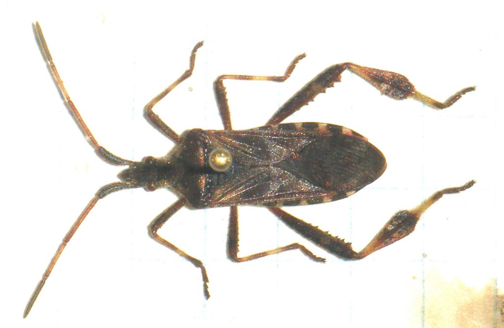
| Leptoglossus occidentalis Heidemann, 1910 - Coreidae https://www.entomologiitaliani.net/public/forum/phpBB3/viewtopic.php?f=99&t=27783 |
Pagina 1 di 1 |
| Autore: | Seth [ 18/10/2011, 0:48 ] |
| Oggetto del messaggio: | Leptoglossus occidentalis Heidemann, 1910 - Coreidae |
| Pagina 1 di 1 | Tutti gli orari sono UTC + 1 ora [ ora legale ] |
| Powered by phpBB® Forum Software © phpBB Group http://www.phpbb.com/ |
|