Benvenuto Ospite

Forum Entomologi Italiani

www.entomologiitaliani.net/forum
 
Oggi è 20/04/2026, 16:10

Tutti gli orari sono UTC + 1 ora [ ora legale ]

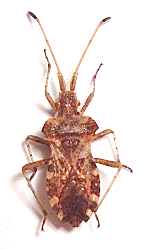
Centrocoris spiniger (Fabricius, 1781) (cf.) - Coreidae

25.X.2011 - ITALIA - Lazio - RM, Pomezia


nuovo argomento
rispondi
Pagina 1 di 1 [ 8 messaggi ]
Autore Messaggio
MessaggioInviato: 16/11/2011, 20:03 
Avatar utente

Iscritto il: 19/06/2011, 12:39
Messaggi: 1355
Nome: Fabio turchetti
Trovato dopo un temporale,

Lunghezza 10 mm

DSC01554.JPG


DSC01553.JPG


DSC01553b.jpg


DSC01553a.jpg


_________________
Fabio Turchetti


Top
profilo
 Oggetto del messaggio: Re: Identificazione emittero
MessaggioInviato: 16/11/2011, 20:11 
Avatar utente

Iscritto il: 28/05/2011, 21:10
Messaggi: 1981
Nome: Umberto Devincenzo
Centrocoris variegatus (Kolenati, 1845) - Coreidae
oppure
Centrocoris spiniger (Fabricius 1781)
Aspetta conferme da esperti!! ;)

_________________
"La compassione e l'empatia per il più piccolo degli animali, è una delle più nobili virtù che un uomo possa ricevere in dono."
Charles Darwin


Top
profilo
 Oggetto del messaggio: Re: Identificazione emittero
MessaggioInviato: 16/11/2011, 21:02 
Avatar utente

Iscritto il: 19/06/2011, 12:39
Messaggi: 1355
Nome: Fabio turchetti
:ok: Per il momento grazie, Umberto

Guardando qualche immagine sul forum mi sembra più il variegatus

_________________
Fabio Turchetti


Top
profilo
 Oggetto del messaggio: Re: Identificazione emittero
MessaggioInviato: 16/11/2011, 21:25 
Avatar utente

Iscritto il: 28/05/2011, 21:10
Messaggi: 1981
Nome: Umberto Devincenzo
Di niente! :ok: Anche a me sembrava il variegatus, ma non essendo esperto ho preferito non sbagliare e citarle tutte e due.. ;)

_________________
"La compassione e l'empatia per il più piccolo degli animali, è una delle più nobili virtù che un uomo possa ricevere in dono."
Charles Darwin


Top
profilo
 Oggetto del messaggio: Re: Identificazione emittero
MessaggioInviato: 08/12/2011, 23:33 
Avatar utente

Iscritto il: 19/06/2011, 12:39
Messaggi: 1355
Nome: Fabio turchetti
Up :D è possibile arrivare ad una conclusione?

_________________
Fabio Turchetti


Top
profilo
 Oggetto del messaggio: Re: Identificazione emittero
MessaggioInviato: 09/12/2011, 11:47 
Avatar utente

Iscritto il: 17/02/2009, 0:05
Messaggi: 8524
Località: Isola d'Elba - Arcipelago Toscano
Nome: Leonardo Forbicioni
Si, ci si potrebbe arrivare. :ok:
Considerate anche le misure che indichi, per me si tratta di Centrocoris spiniger (Fabricius, 1781).
Controlla questi caratteri:

1) Margini laterali del pronoto dentati e dentellati;
2) Capo munito di denti aguzzi;
3) Primo articolo antennale con un dente più o meno aguzzo all’estremità;
4) Denti posteriori del pronoto che superano il quarto dello scutello;
5) Dente terminale del primo articolo antennale aguzzo e prominente;
6) Fronte, vista di lato, munita di denti nettamente prominenti sulla sommità.
7) Il rostro raggiunge le anche intermedie, ma non le posteriori.

In particolare devi osservare il carattere descritto al punto 6.
Controlla se sono presenti spine sul tylus! ;)
...se ci sono....è un C. variegatus :birra:

P.S. - Per farti meglio capire di cosa sto parlando, dai una occhiata a QUESTA discussione su NM, dove Martino ha perfettamente messo in evidenza il carattere che ti ho indicato. :hi: :hi:

_________________
"Stay hungry, stay foolish".
Steve Jobs, 2005
___________________
jjuniper8(at)gmail.com
Twitter: @weevil_forbix
cell. 339/5275910
___________________


Top
profilo
 Oggetto del messaggio: Re: Centrocoris sp. - Coreidae
MessaggioInviato: 09/12/2011, 18:18 
Avatar utente

Iscritto il: 19/06/2011, 12:39
Messaggi: 1355
Nome: Fabio turchetti
ok grazie Leonardo, domani controllo i caratteri che mi hai indicato e spero di arrivare ad una determinazione definitiva :ok:

_________________
Fabio Turchetti


Top
profilo
 Oggetto del messaggio: Re: Centrocoris sp. - Coreidae
MessaggioInviato: 13/12/2011, 21:13 
Avatar utente

Iscritto il: 05/02/2009, 17:34
Messaggi: 894
Località: Sondrio - Lombardia - Italia
Nome: Paride Dioli
Leonardo ha ragione.

_________________
Link: https://www.ndsu.edu/pubweb/~rider/Pentatomoidea/Researchers/Dioli_Paride.htm
Papers in PDF format: https://www.researchgate.net/profile/Paride_Dioli/?ev=hdr_xprf/


Top
profilo
Visualizza ultimi messaggi:  Ordina per  
nuovo argomento
rispondi
Pagina 1 di 1 [ 8 messaggi ]

Tutti gli orari sono UTC + 1 ora [ ora legale ]


Chi c’è in linea

Visitano il forum: Nessuno e 1 ospite


Non puoi aprire nuovi argomenti
Non puoi rispondere negli argomenti
Non puoi modificare i tuoi messaggi
Non puoi cancellare i tuoi messaggi
Non puoi inviare allegati

Cerca per:
Vai a: