Benvenuto Ospite

Forum Entomologi Italiani

www.entomologiitaliani.net/forum
 
Oggi è 26/04/2026, 1:50

Tutti gli orari sono UTC + 1 ora [ ora legale ]

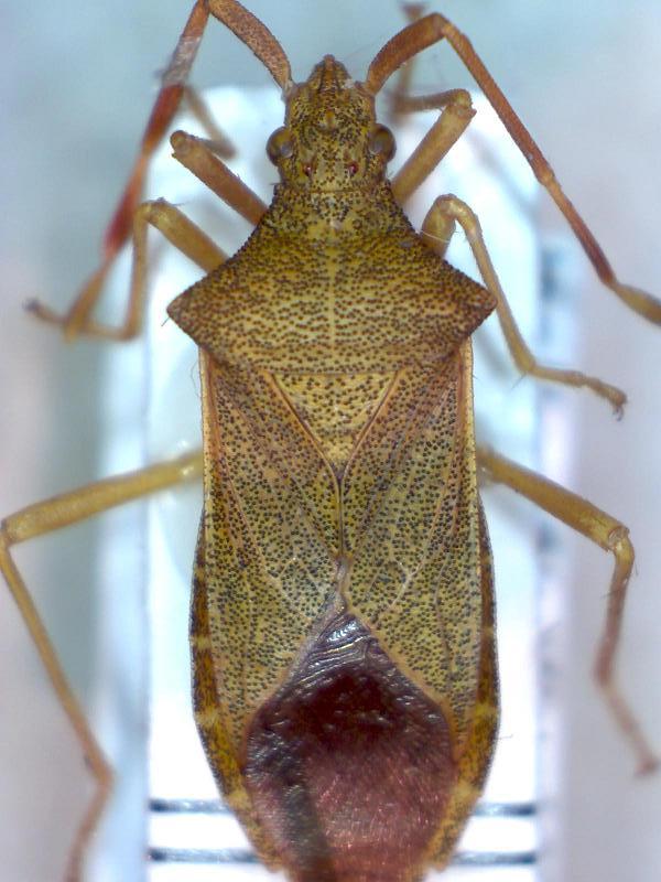
Gonocerus acuteangulatus (Goeze, 1778) - Coreidae

VII.2012 - ITALIA - Sicilia - CT, Etna, Randazzo: Montelaguardia (730 m s.l.m.)


nuovo argomento
rispondi
Pagina 1 di 1 [ 4 messaggi ]
Autore Messaggio
MessaggioInviato: 11/09/2012, 22:18 
Avatar utente

Iscritto il: 30/12/2010, 11:51
Messaggi: 4548
Località: San Giovanni Valdarno (AR)
Nome: Giovanni Altadonna
Grazie in anticipo per l' identificazione. :)

Dimensioni: 13 mm, in trappola a vino su Quercus pubescens, 27/VII/-3/VIII/2012, G. Altadonna leg.

Immagine 469.jpg


Immagine 472.jpg


_________________
"L' uomo che è cieco alle bellezze della natura ha perduto metà del piacere di vivere"
Sir Robert Baden Powell

Giovanni Altadonna


Top
profilo
 Oggetto del messaggio: Re: Hemiptera da ID 1
MessaggioInviato: 12/09/2012, 0:08 
Avatar utente

Iscritto il: 28/05/2011, 21:10
Messaggi: 1981
Nome: Umberto Devincenzo
Per me Gonocerus acuteangulatus (Goeze, 1778) - Coreidae :ok:

_________________
"La compassione e l'empatia per il più piccolo degli animali, è una delle più nobili virtù che un uomo possa ricevere in dono."
Charles Darwin


Top
profilo
 Oggetto del messaggio: Re: Hemiptera da ID 1
MessaggioInviato: 12/09/2012, 5:52 
Avatar utente

Iscritto il: 17/02/2009, 0:05
Messaggi: 8524
Località: Isola d'Elba - Arcipelago Toscano
Nome: Leonardo Forbicioni
Umbro ha scritto:
Per me Gonocerus acuteangulatus (Goeze, 1778) - Coreidae :ok:

Si, è lui! :ok:

_________________
"Stay hungry, stay foolish".
Steve Jobs, 2005
___________________
jjuniper8(at)gmail.com
Twitter: @weevil_forbix
cell. 339/5275910
___________________


Top
profilo
MessaggioInviato: 12/09/2012, 20:36 
Avatar utente

Iscritto il: 30/12/2010, 11:51
Messaggi: 4548
Località: San Giovanni Valdarno (AR)
Nome: Giovanni Altadonna
Grazie mille a entrambi! :birra: :hp: :birra:

_________________
"L' uomo che è cieco alle bellezze della natura ha perduto metà del piacere di vivere"
Sir Robert Baden Powell

Giovanni Altadonna


Top
profilo
Visualizza ultimi messaggi:  Ordina per  
nuovo argomento
rispondi
Pagina 1 di 1 [ 4 messaggi ]

Tutti gli orari sono UTC + 1 ora [ ora legale ]


Chi c’è in linea

Visitano il forum: Nessuno e 2 ospiti


Non puoi aprire nuovi argomenti
Non puoi rispondere negli argomenti
Non puoi modificare i tuoi messaggi
Non puoi cancellare i tuoi messaggi
Non puoi inviare allegati

Cerca per:
Vai a: