Forum Entomologi Italiani
https://www.entomologiitaliani.net/public/forum/phpBB3/

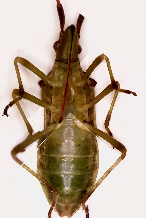
Gonocerus juniperi Herrich-Schäffer, 1839 - Coreidae
https://www.entomologiitaliani.net/public/forum/phpBB3/viewtopic.php?f=99&t=77697
Pagina 1 di 1

Autore:  ALEXBRAMO [ 21/11/2017, 10:58 ]
Oggetto del messaggio:  Gonocerus juniperi Herrich-Schäffer, 1839 - Coreidae

vi propongo qusto emittero raccolto nella stessa località di quello precedente :D :no1:
dovrebbe essere Gonocerus juniperi !!?

Allegati:
visioone dorsale.jpg

capo e pronoto.png

cimice allundada ventrale.jpg


Autore:  Palaemonetes [ 21/11/2017, 15:53 ]
Oggetto del messaggio:  Re: Hemiptera Heteroptera - Coreidae

ALEXBRAMO ha scritto:
Gonocerus juniperi
:ok:

Autore:  ALEXBRAMO [ 21/11/2017, 16:31 ]
Oggetto del messaggio:  Re: Hemiptera Heteroptera - Coreidae

:hp: ok! :hp:

Pagina 1 di 1 Tutti gli orari sono UTC + 1 ora [ ora legale ]
Powered by phpBB® Forum Software © phpBB Group
http://www.phpbb.com/