Benvenuto Ospite

Forum Entomologi Italiani

www.entomologiitaliani.net/forum
 
Oggi è 03/03/2026, 11:14

Tutti gli orari sono UTC + 1 ora [ ora legale ]

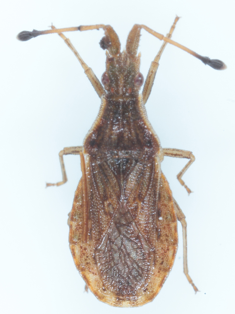
Spathocera sp. - Coreidae

22.II.2022 - ITALIA - Lombardia - MI, Rho


nuovo argomento
rispondi
Pagina 1 di 1 [ 3 messaggi ]
Autore Messaggio
 Oggetto del messaggio: Spathocera sp. - Coreidae
MessaggioInviato: 28/02/2022, 17:28 
 

Iscritto il: 28/03/2013, 18:37
Messaggi: 593
Nome: marco salemi
Ciao a tutti, sui 5mm.
grazie


PAGLIA 010.jpg

Top
profilo
 Oggetto del messaggio: Re: aiuto ID
MessaggioInviato: 28/02/2022, 21:00 
Avatar utente

Iscritto il: 13/06/2015, 13:46
Messaggi: 1675
Località: Milano
Nome: Claudio Leali
E' un Coreidae del genere Spathocera.

:hi:

_________________
"E' ciò che non si vede, non quello che si vede che fa paura."
Christopher Lee


Top
profilo
 Oggetto del messaggio: Re: Spathocera sp. - Coreidae
MessaggioInviato: 01/03/2022, 9:04 
 

Iscritto il: 28/03/2013, 18:37
Messaggi: 593
Nome: marco salemi
grazie Claudio :hi:


Top
profilo
Visualizza ultimi messaggi:  Ordina per  
nuovo argomento
rispondi
Pagina 1 di 1 [ 3 messaggi ]

Tutti gli orari sono UTC + 1 ora [ ora legale ]


Chi c’è in linea

Visitano il forum: Nessuno e 1 ospite


Non puoi aprire nuovi argomenti
Non puoi rispondere negli argomenti
Non puoi modificare i tuoi messaggi
Non puoi cancellare i tuoi messaggi
Non puoi inviare allegati

Cerca per:
Vai a: