|
Tutti gli orari sono UTC + 1 ora [ ora legale ] |

|
| Autore | Messaggio | |||
|---|---|---|---|---|
| claudio sola |
|
|||
|
Iscritto il: 20/11/2009, 0:34 Messaggi: 571 Località: Vignola (Mo) Nome: Claudio Sola |
|
|||
| Top |
|
|||
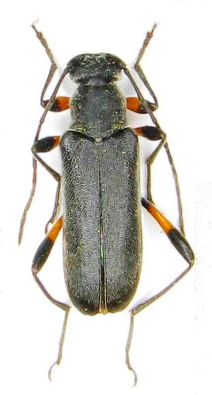
| Limonium calabrum |
|
|||
|
Iscritto il: 14/10/2011, 14:54 Messaggi: 226 Località: Castelnuovo Bocca d'Adda (LO) Nome: Luciano Arcorace |
|
|||
| Top |
|
|||
| Xylosteus |
|
|||
|
Iscritto il: 13/09/2009, 18:04 Messaggi: 881 Nome: Pierpaolo Rapuzzi |
|
|||
| Top |
|
|||
|
Tutti gli orari sono UTC + 1 ora [ ora legale ] |
Chi c’è in linea |
Visitano il forum: Bing [Bot] e 9 ospiti |
Non puoi aprire nuovi argomenti Non puoi rispondere negli argomenti Non puoi modificare i tuoi messaggi Non puoi cancellare i tuoi messaggi Non puoi inviare allegati |