Benvenuto Ospite

Forum Entomologi Italiani

www.entomologiitaliani.net/forum
 
Oggi è 21/05/2026, 12:52

Tutti gli orari sono UTC + 1 ora [ ora legale ]

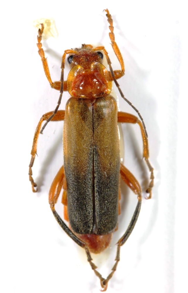
Cantharis (Cantharis) livida Linnaeus, 1758 - Cantharidae

24.V.2015 - ITALIA - Lazio - RM, Comune di Roma, M.te d'Oro e dintorni, adiacente Via di Marco Simone


nuovo argomento
rispondi
Pagina 1 di 1 [ 4 messaggi ]
Autore Messaggio
MessaggioInviato: 09/06/2015, 16:49 
Avatar utente

Iscritto il: 29/06/2010, 22:51
Messaggi: 830
Località: Fonte Nuova (RM)
Nome: Davide Brocchieri
questo è il terzo, 13 mm
IMG_0061.JPG


_________________
Ciao
Davide :hi:


Top
profilo
 Oggetto del messaggio: Re: Cantharidae
MessaggioInviato: 09/06/2015, 18:40 
 
Cantharis (Cantharis) livida Linnaeus, 1758


Top
 Oggetto del messaggio: Re: Cantharidae
MessaggioInviato: 09/06/2015, 21:07 
Avatar utente

Iscritto il: 29/06/2010, 22:51
Messaggi: 830
Località: Fonte Nuova (RM)
Nome: Davide Brocchieri
Grazie per le determinazioni Fabrizio
:lov2:

_________________
Ciao
Davide :hi:


Top
profilo
 Oggetto del messaggio: Re: Cantharidae
MessaggioInviato: 09/06/2015, 21:14 
 
di nulla, figurati
:lov2: :lov2:


Top
Visualizza ultimi messaggi:  Ordina per  
nuovo argomento
rispondi
Pagina 1 di 1 [ 4 messaggi ]

Tutti gli orari sono UTC + 1 ora [ ora legale ]


Chi c’è in linea

Visitano il forum: Nessuno e 2 ospiti


Non puoi aprire nuovi argomenti
Non puoi rispondere negli argomenti
Non puoi modificare i tuoi messaggi
Non puoi cancellare i tuoi messaggi
Non puoi inviare allegati

Cerca per:
Vai a: