Benvenuto Ospite

Forum Entomologi Italiani

www.entomologiitaliani.net/forum
 
Oggi è 30/11/2025, 13:31

Tutti gli orari sono UTC + 1 ora [ ora legale ]

Filtro località

Filtro località

In questo pannello è possibile effettuare delle ricerche mirate in base alle località inserite nel forum.

Statistiche

Statistiche
In totale ci sono 89681 taxa:
- 85757 taxa con dati completi
- 2732 taxa con dati parziali, riconducibili ad un paese
- 1192 taxa con dati incompleti


escludi dalla ricerca i subforum
Distribuzione in Europa
Distribuzione in Italia
Filtro applicato: SPAGNA

Pagina 1 di 1 [ 2 messaggi ]

# A B C D E F G H I J K L M N O P Q R S T U V W X Y Z
 Argomenti   Autore   Risposte   Visite    Ultimo messaggio 
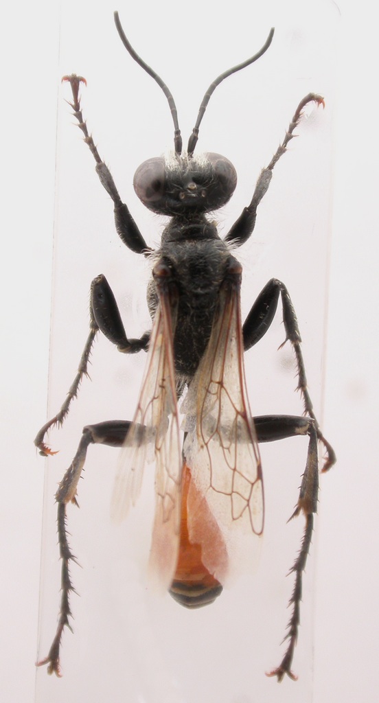
Prionyx lividocinctus (A. Costa, 1858) - Sphecidae
7.VIII.2016 - SPAGNA - EE, isole Baleari, Minorca, Son Saura (pineta di), R. Rattu leg.
Allegato(i)
Prionyx lividocinctus (A. Costa, 1858) - Sphecidae

in Sphecidae


Dati di raccolta: 7.VIII.2016 - SPAGNA - EE, isole Baleari, Minorca, Son Saura (pineta di), R. Rattu leg.

Fumea crassiorella

5

1002

21/08/2016, 17:32

Pietro Niolu Vedi ultimo messaggio

Sphex sp. - Sphecidae (in volo)
12.VI.2012 - SPAGNA - EE, Truijllio
Allegato(i)
Sphex sp. - Sphecidae (in volo)

in Sphecidae indeterminati


Dati di raccolta: 12.VI.2012 - SPAGNA - EE, Truijllio

carlos

3

1160

22/06/2012, 21:36

Marco Ferrante Vedi ultimo messaggio


Inserisci un link per questa ricerca

Inserisci un link per questa ricerca URL
BBCode
HTML
Vai a: