Benvenuto Ospite

Forum Entomologi Italiani

www.entomologiitaliani.net/forum
 
Oggi è 27/04/2026, 20:53

Tutti gli orari sono UTC + 1 ora [ ora legale ]

Filtro località

Filtro località

In questo pannello è possibile effettuare delle ricerche mirate in base alle località inserite nel forum.

Statistiche

Statistiche
In totale ci sono 90114 taxa:
- 86169 taxa con dati completi
- 2740 taxa con dati parziali, riconducibili ad un paese
- 1205 taxa con dati incompleti


escludi dalla ricerca i subforum
Distribuzione in Europa
Distribuzione in Italia
Filtro applicato: ITALIA - Emilia-Romagna

Pagina 1 di 1 [ 12 messaggi ]

# A B C D E F G H I J K L M N O P Q R S T U V W X Y Z
 Argomenti   Autore   Risposte   Visite    Ultimo messaggio 
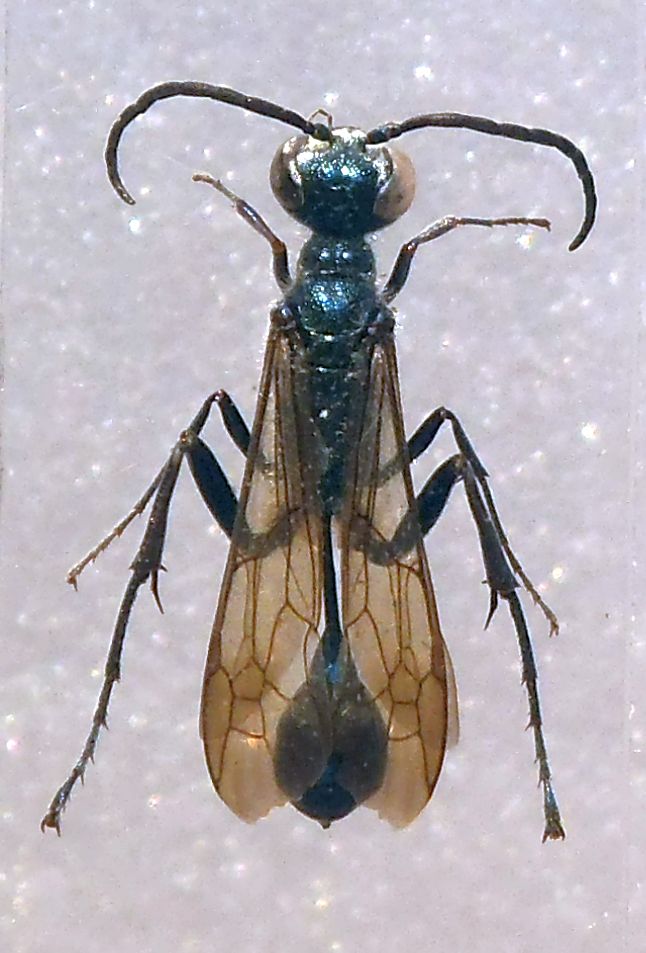
Ammophila heydeni Dahlbom, 1845 (cf.) - Sphecidae
2.VI.2022 - ITALIA - Emilia-Romagna - PR, Parco del Taro, su fioriture di Sedum acre
Allegato(i)
Ammophila heydeni Dahlbom, 1845 (cf.) - Sphecidae

in Sphecidae


Dati di raccolta: 2.VI.2022 - ITALIA - Emilia-Romagna - PR, Parco del Taro, su fioriture di Sedum acre

picollo

2

639

04/06/2022, 16:42

picollo Vedi ultimo messaggio

Chalybion bengalense (Dahlbom, 1845) - Sphecidae
5.VIII.2012 - ITALIA - Emilia-Romagna - BO, Bubano
Allegato(i)
Chalybion bengalense (Dahlbom, 1845) - Sphecidae

[ Vai alla pagina: 1, 2 ]

in Sphecidae


Dati di raccolta: 5.VIII.2012 - ITALIA - Emilia-Romagna - BO, Bubano

Notoxus59

16

3786

27/11/2012, 22:10

Umbro Vedi ultimo messaggio

Chalybion bengalense (Dahlbom, 1845) - Sphecidae
1.IX.2015 - ITALIA - Emilia-Romagna - RA, Mezzano (RA) ZPS "Vasche ex Zuccherificio"
Allegato(i)
Chalybion bengalense (Dahlbom, 1845) - Sphecidae

in Sphecidae


Dati di raccolta: 1.IX.2015 - ITALIA - Emilia-Romagna - RA, Mezzano (RA) ZPS "Vasche ex Zuccherificio"

Chalybion

0

746

11/09/2015, 10:37

Chalybion Vedi ultimo messaggio

Chalybion bengalense (Dahlbom, 1845) (cf.) - Sphecidae
28.VIII.2013 - ITALIA - Emilia-Romagna - BO, Medicina - loc. Fossatone
Allegato(i)
Chalybion bengalense (Dahlbom, 1845) (cf.) - Sphecidae

in Sphecidae


Dati di raccolta: 28.VIII.2013 - ITALIA - Emilia-Romagna - BO, Medicina - loc. Fossatone

Loriscola

6

1651

12/02/2014, 23:14

Chalybion Vedi ultimo messaggio

Chalybion bengalense (Dahlboom, 1845) (cf.) - Sphecidae
22.VI.2019 - ITALIA - Emilia-Romagna - BO, san giovanni in persiceto
Allegato(i)
Chalybion bengalense (Dahlboom, 1845) (cf.) - Sphecidae

in Sphecidae


Dati di raccolta: 22.VI.2019 - ITALIA - Emilia-Romagna - BO, san giovanni in persiceto

emmebix

1

1053

05/04/2020, 21:07

Chalybion Vedi ultimo messaggio

Prionyx subfuscatus (Dahlbom, 1945) - Sphecidae Sphecinae
12.IX.2023 - ITALIA - Emilia-Romagna - RA, Piangipane
Allegato(i)
Prionyx subfuscatus (Dahlbom, 1945) - Sphecidae Sphecinae

in Sphecidae


Dati di raccolta: 12.IX.2023 - ITALIA - Emilia-Romagna - RA, Piangipane

Chalybion

0

678

17/09/2023, 11:40

Chalybion Vedi ultimo messaggio

Sceliphron caementarium (Drury, 1773) ♀ - Sphecidae
16.VII.2025 - ITALIA - Emilia-Romagna - PR, Torrente Parma a Pastorello (400 m)
Allegato(i)
Sceliphron caementarium (Drury, 1773) ♀ - Sphecidae

in Sphecidae


Dati di raccolta: 16.VII.2025 - ITALIA - Emilia-Romagna - PR, Torrente Parma a Pastorello (400 m)

picollo

4

620

20/07/2025, 11:31

picollo Vedi ultimo messaggio

Sceliphron curvatum (F. Smith, 1870) - Sphecidae - Analisi nido pedotrofico
VIII.2014 - ITALIA - Emilia-Romagna - BO, Bargi - Camugnano
Allegato(i)
Sceliphron curvatum (F. Smith, 1870) - Sphecidae - Analisi nido pedotrofico

in Sphecidae


Dati di raccolta: VIII.2014 - ITALIA - Emilia-Romagna - BO, Bargi - Camugnano

alessio

1

1174

17/02/2015, 17:01

elleelle Vedi ultimo messaggio

Sphex flavipennis Fabricius, 1793 (cf.) - Sphecidae
22.VIII.2022 - ITALIA - Emilia-Romagna - PR, Monte Prinzera, praterie xerofitiche, su Echinops ritro
Allegato(i)
Sphex flavipennis Fabricius, 1793 (cf.) - Sphecidae

in Sphecidae


Dati di raccolta: 22.VIII.2022 - ITALIA - Emilia-Romagna - PR, Monte Prinzera, praterie xerofitiche, su Echinops ritro

picollo

4

803

24/08/2022, 13:20

Chalybion Vedi ultimo messaggio

Sphex funerarius (Gussakovskij, 1934) - Sphecidae
18.VI.2014 - ITALIA - Emilia-Romagna - BO, Castel Maggiore
Allegato(i)
Sphex funerarius (Gussakovskij, 1934) - Sphecidae

in Sphecidae


Dati di raccolta: 18.VI.2014 - ITALIA - Emilia-Romagna - BO, Castel Maggiore

Mammut

4

908

22/06/2014, 23:11

Mammut Vedi ultimo messaggio

Sphex funerarius Gussakovskij, 1934 - Sphecidae
15.VIII.2016 - ITALIA - Emilia-Romagna - BO, monteveglio
Allegato(i)
Sphex funerarius Gussakovskij, 1934 - Sphecidae

in Sphecidae


Dati di raccolta: 15.VIII.2016 - ITALIA - Emilia-Romagna - BO, monteveglio

emmebix

5

1649

16/07/2017, 21:28

Chalybion Vedi ultimo messaggio

Sphex sp. - Sphecidae
22.VI.2018 - ITALIA - Emilia-Romagna - PC, Bobbio
Allegato(i)
Sphex sp. - Sphecidae

in Sphecidae indeterminati


Dati di raccolta: 22.VI.2018 - ITALIA - Emilia-Romagna - PC, Bobbio

Antonio Pareto

1

1023

08/07/2018, 7:56

elleelle Vedi ultimo messaggio


Inserisci un link per questa ricerca

Inserisci un link per questa ricerca URL
BBCode
HTML
Vai a: